Ciclone Hamish
| Ciclone Hamish | |
| Ciclone tropical severo categoria 5 (Escala Aus) | |
|---|---|
| Ciclone tropical categoria 4 (SSHWS) | |
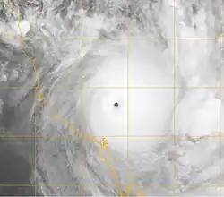
O ciclone Hamish em 7 de março de 2009 | |
| Formação | 4 de março de 2009 |
| Dissipação | 11 de março de 2009 |
| Ventos mais fortes | sustentado 10 min.: 215 km/h (130 mph) sustentado 1 min.: 240 km/h (150 mph) |
| Pressão mais baixa | 925 hPa (mbar); 27.32 inHg |
| Fatalidades | 2 diretas |
| Danos | No mínimo 200.000 dólares (valores em 2009) |
| Áreas afectadas | Austrália (Queensland) |
| Parte da Temporada de ciclones na região da Austrália de 2008-2009 | |
O ciclone tropical severo Hamish (designação do JTWC: 18P, conhecido simplesmente como ciclone Hamish) foi um intenso ciclone tropical que afetou a costa do estado australiano de Queensland em meados de março de 2009. Sendo o décimo sétimo ciclone tropical, o oitavo sistema dotado de nome e o segundo ciclone tropical severo da temporada de ciclones na região da Austrália de 2008-2009, Hamish formou-se de uma área de perturbações meteorológicas ao sul de Papua-Nova Guiné em 4 de março. O sistema se organizou rapidamente e se tornou o ciclone tropical Hamish no dia seguinte. O Joint Typhoon Warning Center (JTWC) também classificou o sistema como um ciclone tropical significativo em 5 de março. A partir de então, Hamish começou a sofrer intensificação explosiva assim que seguia para sudeste, paralelamente à costa de Queensland. Em menos de 24 horas, Hamish tornou-se o segundo ciclone tropical severo da temporada, e 24 horas mais tarde, seus ventos máximos sustentados alcançaram 240 km/h, segundo o JTWC, ou 215 km/h, segundo o Centro de Aviso de Ciclone Tropical (CACT) de Brisbane. Após a intensificação explosiva, que aumentou os ventos máximos sustentados em 210 km/h em apenas 48 horas, Hamish começou a se enfraquecer gradualmente devido à ação das condições meteorológicas mais hostis. Hamish deixou de ser um ciclone tropical severo, segundo o CACT de Brisbane, em 11 de março. O forte cisalhamento do vento causou a dissipação total das bandas de tempestade associadas ainda naquele dia. Com isso, o CACT de Brisbane desclassificou Hamish para uma baixa tropical e emitiu seu aviso final. O JTWC fez o mesmo durante a madrugada (UTC) de 12 de março.
Hamish causou indiretamente um dos maiores desastres ambientais da história do estado de Queensland. Um navio que enfrentou a forte ondulação causada pelo ciclone teve seu casco danificado quando contêineres mal-amarrados perfuraram o casco do navio em dois pontos. Além disso, os contêineres, contendo nitrato de amônio, foram lançados ao oceano pela forte ondulação. Cerca de 600 toneladas de nitrato de amônio e 250 toneladas de óleo combustíveis e lubrificantes foram lançadas ao mar. O óleo atingiu cerca de 60 km da costa sudeste de Queensland, além de várias outras ilhas adjacentes.
Além disso, três pescadores desapareceram após enfrentar a tempestade em seu barco pesqueiro. Um dos pescadores foi achado vivos dias depois, mas as equipes de busca encerraram o trabalho em 16 de março e considerou mortos os dois pescadores ainda desaparecidos. No geral, os danos se limitaram à erosão marinha causada pela forte ressaca provocada pelo ciclone.
História meteorológica

Hamish formou-se de uma área de perturbações meteorológicas ao sul da Papua-Nova Guiné, em 4 de março. Imediatamente, o Centro de Aviso de Ciclone Tropical (CACT) de Brisbane classificou o sistema como uma fraca baixa tropical.[1] Inicialmente, o sistema estava situado numa região com condições meteorológicas favoráveis para o seu desenvolvimento, tais como o baixo cisalhamento do vento, temperatura da superfície do mar ideal, e boa difluência atmosférica de altos níveis. As condições favoráveis permitiram a formação de áreas de convecção profunda associadas ao sistema.[2] O sistema continuou a se organizar enquanto seguia para sudoeste sobre o mar de Coral. Com isso, o CACT de Brisbane classificou o sistema para uma baixa tropical plena durante a madrugada (UTC) de 5 de março.[3] As condições meteorológicas favoráveis persistiram, e o centro ciclônico de baixos níveis começou a se consolidar rapidamente com a formação de um anticiclone de altos níveis sobre o sistema, que começou a prover excelentes fluxos de saída, auxiliando na rápida formação de áreas de convecção profunda. Além disso, a atmosfera estava ideal para a formação de um sistema tropical de grande porte da região. Com isso, o Joint Typhoon Warning Center (JTWC) emitiu um Alerta de Formação de Ciclone Tropical (AFCT) sobre o sistema, que significava que a perturbação poderia se tornar um ciclone tropical significativo dentro de um período de 12 a 24 horas.[4] Horas depois, o CACT de Brisbane classificou a baixa tropical para um ciclone tropical significativo, e lhe atribuiu o nome "Hamish".[5] Ainda durante a tarde daquele dia (UTC), o JTWC também classificou o sistema para um ciclone tropical significativo, e lhe atribuiu a designação "18P".[6]
.jpg)
Seguindo para sudoeste através da periferia oeste de uma alta subtropical que estava sobre o Pacífico sul,[6] Hamish começou a sofrer intensificação explosiva. O CACT de Brisbane classificou Hamish para um ciclone de categoria 2 na escala australiana durante o começo da noite de 5 de março, momento no qual o ciclone começou a seguir para sudeste.[5] A tendência de rápida intensificação continuou em 6 de março, e um olho com 45 quilômetros de diâmetro formou-se no centro das áreas de convecção profunda associadas ao ciclone.[7] Ao meio-dia (UTC) de 6 de março, o CACT de Brisbane classificou Hamish para o segundo ciclone tropical severo da temporada assim que Hamish alcançou a intensidade equivalente a um ciclone de categoria 3 na escala australiana.[8] A rápida intensificação continuou, o que foi demonstrado pela contração do olho de Hamish, cujo diâmetro encolheu de 45 para 25 quilômetros. Estudos climatológicos indicam que a contração do olho de um ciclone tropical reflete uma grande intensificação do ciclone.[9] Com isso, o CACT de Brisbane classificou Hamish para um ciclone de categoria 4 na escala australiana durante a madrugada (UTC) de 7 de março.[10] A tendência de rápida intensificação foi mais severa em 7 de março, e o CACT de Brisbane classificou Hamish para um ciclone de categoria 5 na escala australiana, a mais alta categoria de classificação suportada pela escala, ainda naquele dia. Hamish é o primeiro ciclone tropical de categoria 5 na escala australiana na região da Austrália desde o ciclone George durante a temporada de 2006-2007.[11] Hamish atingiu seu pico de intensidade ainda em 7 de março, com ventos máximos sustentados de 240 km/h, segundo o JTWC,[12] ou 215 km/h, segundo o CACT de Brisbane.[13]

Hamish manteve seu pico de intensidade por cerca de 12 horas. A partir da madrugada de 8 de março, Hamish começou a ser atingido por cisalhamento do vento moderado associado ao jato subtropical. Além disso, o ciclone começou a encontrar águas mais frias. Com condições meteorológicas mais desfavoráveis, Hamish começou a se enfraquecer gradualmente. Com isso, o CACT de Brisbane desclassificou Hamish para um ciclone de categoria 4 na escala australiana ainda naquela madrugada.[14] Hamish continuou a se enfraquecer gradualmente durante o restante daquele dia, e em 9 de março. Seu olho começou a se expandir, indicando o enfraquecimento do ciclone. Além disso, nuvens cirrus começaram a encobrir seu olho. A interação do ciclone com ventos do oeste favoreceu a tendência de enfraquecimento de Hamish. Com isso, o CACT de Brisbane desclassificou Hamish para um ciclone de categoria 3 na escala australiana durante as primeiras horas (UTC) de 10 de março.[15] A partir da noite (UTC) de 10 de março, uma alta subtropical começou a se formar a oeste e ao sul de Hamish, com isso, o ciclone começou a seguir bruscamente para oeste. Ao mesmo tempo, o cisalhamento do vento aumentou e deslocou praticamente todas as áreas de convecção profunda para o quadrante oeste da circulação ciclônica, provocando um enfraquecimento mais acentuado de Hamish.[16] Com isso, o CACT de Brisbane desclassificou Hamish para um simples ciclone tropical de categoria 2 na escala australiana durante as primeiras horas de 11 de março.[17] Ainda em 11 de março, Hamish perdeu todas as suas áreas de convecção profunda associadas devido ao forte cisalhamento do vento. Ao mesmo tempo, o ciclone começou a seguir para norte como resultado da intensificação de uma alta subtropical sobre a Austrália. Devido à ausência de áreas de convecção profunda, o CACT de Brisbane desclassificou Hamish para uma baixa tropical e emitiu seu aviso final sobre o sistema ainda em 11 de março.[18] O JTWC também emitiu seu aviso final sobre Hamish durante a madrugada (UTC) de 12 de março.[19]
Preparativos
Logo após a formação de Hamish como uma baixa tropical em 4 de março, um alerta de ciclone tropical foi emitido para a costa de Queensland, Austrália, entre as cidades de Cape Melville e Bowen.[20] Durante o início da manhã seguinte, o alerta foi substituído por um aviso de ciclone, que ficou em efeito para a costa australiana entre Cape Melville e Cardwell. A costa entre Cardwell e Ilha Hayman também ficou sob o efeito do alerta de ciclone.[21] Mais tarde, o alerta foi estendido para Mackay,[22] e para St. Lawrence.[23] Assim que Hamish seguia paralelamente à costa de Queensland, os alertas e avisos também foram transferidos para mais ao sul. O aviso de ciclone tropical entre Cape Melville e Cape Flattery foi cancelado em 6 de março. Porém, novos avisos de ciclone ficaram em efeito entre Cape Flattery e Lucinda.[24] Por causa das bandas externas de tempestade associadas a Hamish, alertas de enchente foram declaradas para a região costeira entre Cooktown e Townsville.[25]
A governadora de Queensland, Anna Bligh, assinou uma Declaração de Situação de Desastre no qual permite autoridades australianas a evacuar as áreas de maior risco de ser impactado pelo ciclone.[26] As pessoas foram avisadas para tomarem todas as ações necessárias para a chegada da tempestade, e para estarem prontas para deixarem suas residências no menor tempo possível.[27] Apesar de estar exatamente na trajetória do ciclone, nenhuma medida para evacuar Ilha Hayman foi tomada, porém, os 500 residentes e turistas que estavam na ilhas foram levados para abrigos de emergência. Os 5.000 residentes e turistas da Ilha Hamilton foram avisadas para que completassem as medidas precautivas até a noite antecessora da passagem do ciclone.[28] A maior parte das embarcações ancoradas na ilha foram levados para locais distantes da costa, a fim de se evitar os danos que poderiam acontecer devido às fortes ondas.[29] A maior parte dos turistas e pessoas não-necessárias das ilhas de Ilha South Molle e Longa foram retiradas.[30] Em Whitsundays, todos os residentes também foram levados para abrigos emergenciais.[28] Foi declarado estado de emergência para as áreas costeiras que possivelmente seriam afetadas pelo ciclone.[31] Em 8 de março, cerca de 1.000 pessoas foram retiradas da Ilha Fraser. Outras evacuações aconteceram na Ilha Lady Elliot e na Ilha Heron.[32] As linhas de trem entre Cairns e Brisbane foram suspensas por vários dias também devido à ameaça do ciclone.[33]
Impactos
Como uma baixa tropical, Hamish produziu chuvas fortes sobre o Extremo norte de Queensland; em algumas áreas isoladas, a precipitação acumulada ultrapassou a 300 mm de chuva. A cidade de Cairns, que foi atingida por bandas externas de tempestade de Hamish, recebeu mais de 92 mm de chuva.[28][34][35] Entre 0:00 e 14:00, horário local, a cidade de Mackay recebeu mais de 148 mm de chuva.[28] A cidade também registrou 136 mm de chuva no dia seguinte.[35] Um barco pesqueiro foi carregado pelas fortes ondulações marítimas; três pescadores ficaram desaparecidos, e as equipes de busca não puderam iniciar imediatamente a busca pelos desaparecidos também devido à passagem do ciclone; somente a partir de 10 de março as equipes de busca conseguiram iniciar suas atividades.[36] Juntamente com a maré alta lunar, Hamish produziu uma maré de tempestade de mais de 6,3 m na cidade de Mackay, a maré alta produziu inundações costeiras que atingiram algumas ruas da cidade. Nenhuma pessoa foi vitimada pelas altas marés, mas escombros foram vistos na praia depois que maré baixou.[37] Cerca de 2.000 pessoas ficaram sem o fornecimento de eletricidade na costa sudeste de Queensland.[38] A forte ressaca feriu gravemente um membro da Guarda Costeira da Austrália quando fazia sua patrulha em Noosa; uma forte onda virou seu bote. Três de suas costelas, uma vértebra e dois dedos dos pés foram quebrados, e ele teve um corte profundo de mais de 15 centímetros de extensão ao longo de seu braço.[39]
A maré de tempestade, com cerca de 4,5 m de altura, inundou partes da cidade de Yeppoon, mas ninguém ficou ferido.[40] As autoridades em Mackay disseram que os prejuízos causados pelo ciclone na cidade podem chegar a dezenas de milhar de dólares australianos.[41] A ressaca partiu em dois a Ilha Bribie; uma passagem de mar foi criada com a ressaca, que dá acesso à passagem de Pumicestone.[42] O diretor da Associação do Progresso de Golden Beach disse que se isto realmente aconteceu, uma grande mudança deverá acontecer na infraestrutura da ilha, e na passagem recém-formada.[43] Na região da Costa de Discovery, a ressaca derrubou várias árvores e destruiu algumas calçadas para pedestre; segundo autoridades locais, milhões de toneladas de escombros foram levados para o mar.[44] As buscas pelo barco pesqueiro desaparecido foram encerradas três dias depois, após a descoberta de jaquetas e de um barco salva-vidas vazio.[45] A forte ressaca também deixou quase inacessível a parte norte da Ilha Fraser; as fortes ondas levaram praticamente toda a areia que servia de pavimento para o acesso à parte norte da ilha, deixando apenas grandes pedras expostas. O acesso à região norte da ilha ficou restrita para o momento da maré baixa.[46]
Derramamento de óleo
O navio MV Pacific Adventure navegava de Newcastle para o Porto de Brisbane, na baía de Moreton. Durante a navegação, o navio começou a enfrentar forte ondulação causada pelo ciclone. Assim que as fortes onda começaram a atingir o navio, a sua carga, que estava mal fixada, começou a tombar, danificando outros contêineres. Os contêineres continham substâncias químicas que vazaram para o oceano. O navio foi danificado no seu casco na altura da linha da água e abaixo dela. Pelos furos no casco começou vazar óleo combustível e óleo lubrificante. Durante os dias seguintes, o óleo derramado afetou mais de 60 km de costa. Numa entrevista, os membros da tripulação disseram que o capital foi o culpado pelo incidente. O capital decidiu manter o navio em seu curso, mesmo com a ameaça do ciclone. Assim que o navio começou a encontrar grandes swells, os tripulantes foram para um compartimento abaixo do convés. Às 03:12 horário local, uma grande onda arrebentou as amarrações de cerca de 31 contêineres. Segundo as autoridades de segurança marinha de Queensland, o navio estava a uma inclinação de 25° no momento no qual os contêineres caíram. Assim que o navio retornou a sua posição original, um dos contêineres danificou seu casco. Assim que o próprio contêiner rolou para o outro lado, bateu num outro contêiner, que criou um grande buraco no casco sob a água, que não foi percebido até a chegada do navio em Brisbane.[47]
A empresa de transporte marítimo, a Swire Shipping, disse inicialmente que somente 20 toneladas de óleo foram derramadas no oceano. Porém, a quantidade de óleo foi revisada para 30 toneladas, e para 100 toneladas logo depois.[48] Mais tarde, foi dito que 230 toneladas foram derramadas no oceano.[49] Porém, estimativas mais recentes dizem que mais de 250 toneladas de óleo foram derramadas no oceano.[50] O governo de Queensland começou imediatamente as tentativas de conter a mancha de óleo. No entanto, o governo trabalhou com as estimativas iniciais fornecidas pela empresa de transporte marítimo, de 20 toneladas. Logo, as tentativas de conter a mancha de óleo se mostraram inúteis, e boa parte do óleo alcançou a costa. O governo foi severamente criticado pelo incidente, que foi acusado de não tomar providências imediatamente.[51] Após a inspeção do navio, foram achados dois buracos. O primeiro, localizado logo acima do nível da água, tinha cerca de 150 mm² de área. O segundo buraco, que era maior, estava localizado sob o nível da água. O buraco media cerca de 3.000 mm² de área.[30]
Áreas afetadas e a limpeza
Nos dias após o derramamento de óleo, mais de 60 km de costa foram afetadas. A maior parte destas áreas foram declaradas como áreas impróprias e o público em geral não obteve acesso às áreas afetadas. Radares meteorológicos por satélite que tinham como função capturar o progresso do ciclone também capturaram a mancha de óleo no oceano antes de afetar a costa..[52] As regiões da Costa de Sunshine, da baía de Moreton e da foz do rio Brisbane foram as mais afetadas
Após o derramamento do óleo, a governadora de Queensland, Anna Bligh, declarou duas ilhas e partes da região da Costa de Sunshine como áreas de desastre.[53] O trabalho de limpeza ficou estimado em 100.000 dólares australianos por dia. Segundo previsões, a mancha de óleo poderia afetar a costa da região por mais de uma semana. Várias equipes de busca foram despachados para a área para tentar encontrar materiais potencialmente explosivos que caíram dos 31 contêineres. Segundo a imprensa local, o nitrato de amônio derramado dos contêineres com o óleo combustível poderia causar uma grande explosão. Mesmo se o nitrato de amônio não entrar em contanto com o óleo combustível, a substância química poderia acarretar numa tragédia de grandes proporções na vida marinha da região, já que o nitrato de amônio favorece a superreprodução de algas marinhas.[54] Em 15 de março, o custo da limpeza do óleo tinha saltado para 6,6 milhões de dólares australianos.[55] Uma equipe de 88 pessoas foi enviada para ajudar no trabalho de limpeza. 58 pessoas se juntaram mais tarde à equipe nos dias seguintes.[56] Em 16 de março, a Marinha Australiana começou as buscas pelos 31 contêineres que caíram ao mar, que carregavam nitrato de amônio. Assim que os contêineres foram localizados, um navio extrator foi enviado para a região para tentar extrair o nitrato de amônio dos contêineres, e assim evitar o crescimento da tragédia ambiental.[57]
O trabalho da retirada do óleo das praias foi uma operação delicada, já que as praias tinham sofrido erosão marítima causada pela forte ondulação. A maré alta carregou novamente o óleo já depositado na praia de volta para o oceano. Em 15 de março, cerca de 125 km de óleo já tinham sido recuperados, segundo o governo da Austrália. Naquele mesmo dia, 95% do óleo da Ilha Bribie, 85% do óleo da região da Costa de Sunshine e 25% do óleo na Ilha Moreton tinham sido removidos.[58] Na Ilha Moreton, 290 pessoas estavam trabalhando para a retirada do óleo, tendo como foco as regiões do Cabo Moreton e do Middle Creek.[50] Mesmo com centenas de pessoas trabalhando na retirada do óleo, cerca de 1 km de costa era limpa por dia. Neste ritmo, o trabalho da retirada do óleo poderá levar mais de dois meses.[59] O governo federal australiano prometeu liberar 2 milhões de dólares australianos para ajudar no trabalho de limpeza.[60]
Declaração de desastre e a economia local
Logo após a chegada do óleo à costa, o governo de Queensland declarou estado de emergência.[61] A declaração de desastre restringiu o acesso do público em geral às praias afetadas e permite o acesso irrestrito às equipes de limpeza. A declaração de desastre cobriu toda a Ilha Moreton, as águas costeiras e as praias da região da Costa de Sunshine e o sul da Ilha Bribie até o Ponto Arkwright.
Vários restaurantes locais que recebem o fornecimento de peixes das águas da costa de Queensland se recusaram a aceitar novos carregamentos de peixe devido ao derramamento de óleo. A operação de limpeza também afetou a economia dos locais afetados, sendo que os prejuízos totais podem somar 10 milhões de dólares australianos.[55] O governo australiano prove 750.000 dólares australianos para ajudar a reaquecer o turismo na região. Após uma semana de trabalho, 14 das 19 praias da região da Costa de Sunshine foram reabertas.[62]
Multas, implicações legais e o meio-ambiente
Espera-se que a empresa marítima e o capitão do navio receba uma multa de 2 milhões,[57] e 500.000 dólares australianos, respectivamente. Além disso, a governadora de Queensland disse que: "Se há algum argumento para a condenação deste navio e dos seus proprietários, não hesitaremos em tomar a ação necessária" e "estaremos perseguindo-os pela compensação reclamada, já que estamos fazendo uma grande limpeza da costa, e queremos que os proprietários daquele navio nos reembolse.[61] Após o desastre ambiental, a multa da empresa marítima poderá aumentar para 248,6 milhões de dólares australianos.[63] Após o atracamento do navio no Porto de Brisbane, o passaporte do capitão do navio foi confiscado e ele deve permanecer em Brisbane por pelo menos duas semanas para auxiliar na investigação.[64]
A Agência de Proteção Ambiental de Queensland disse que o total dos danos sofridos pelo meio-ambiente ainda tem que ser calculados. "Os efeitos do derramamento de óleo podem ser grandes", de acordo com o porta-voz da agência. "Os impactos em longo prazo ainda têm que ser analisados". Vários pássaros foram encontrados cobertos de óleo.[61] Em 17 de março, cerca de 30 animais foram encontrados com os corpos cobertos por óleo. Todos os animais encontrados foram imediatamente tratados e limpos.[64]
Após a tempestade

As autoridades de saúde pública de Queensland disseram que as chuvas associadas a Hamish poderiam reduzir o surto de dengue na região. Porém, na maior parte da costa de Queensland choveu pouco, contribuindo ainda mais para o surto da doença.[65] Em 10 de março, após a melhora do tempo, equipes de busca retomaram as atividades para tentar encontrar três pescadores. Durante a segunda tentativa de resgate, um dos pescadores foi encontrado vivo, mas sozinho a cerca de 260 km a nordeste de Yeppon.[66] Inicialmente, pensou-se que o objeto de cor laranja no mar fosse mais uma mancha de óleo, mas foi notado que se tratava de uma boia com um homem vivo nela. Porém, o pescador que se salvou disse que os outros pescadores desaparecidos não tinham boias semelhantes a dele.[67] Em 16 de março, as equipes de busca encerraram as atividades e consideraram os dois pescadores desaparecidos como mortos. Cerca de 200 pessoas que conheciam os pescadores realizaram um memorial em homenagem a eles à beira da praia ainda em 16 de março.[68]
Ver também
Referências
- ↑ «Weak Tropical Low Warning». Centro de Aviso de Ciclone Tropical (CACT) de Brisbane (em inglês). 4 de março de 2009. Consultado em 27 de março de 2009
- ↑ «SIGNIFICANT TROPICAL WEATHER ADVISORY FOR THE WESTERN AND SOUTH PACIFIC». Joint Typhoon Warning Center (em inglês). 4 de março de 2009. Consultado em 27 de março de 2009
- ↑ «Tropical Low Warning». Centro de Aviso de Ciclone Tropical (CACT) de Brisbane (em inglês). 5 de março de 2009. Consultado em 27 de março de 2009
- ↑ «TROPICAL CYCLONE FORMATION ALERT». Joint Typhoon Warning Center (em inglês). 5 de março de 2009. Consultado em 27 de março de 2009
- ↑ a b «Tropical Cyclone "Hamish" Warning». Centro de Aviso de Ciclone Tropical (CACT) de Brisbane (em inglês). 5 de março de 2009. Consultado em 27 de março de 2009
- ↑ a b «TROPICAL CYCLONE 18P WARNING 001». Joint Typhoon Warning Center (em inglês). 5 de março de 2009. Consultado em 27 de março de 2009
- ↑ «TROPICAL CYCLONE 18P WARNING 003». Joint Typhoon Warning Center (em inglês). 6 de março de 2009. Consultado em 27 de março de 2009
- ↑ «Severe Tropical Cyclone "Hamish" Warning». Centro de Aviso de Ciclone Tropical (CACT) de Brisbane (em inglês). 5 de março de 2009. Consultado em 27 de março de 2009
- ↑ «TROPICAL CYCLONE 18P WARNING 004». Joint Typhoon Warning Center (em inglês). 6 de março de 2009. Consultado em 27 de março de 2009
- ↑ «Severe Tropical Cyclone "Hamish" Warning». Centro de Aviso de Ciclone Tropical (CACT) de Brisbane (em inglês). 7 de março de 2009. Consultado em 27 de março de 2009
- ↑ «Severe Tropical Cyclone "Hamish" Warning». Centro de Aviso de Ciclone Tropical (CACT) de Brisbane (em inglês). 7 de março de 2009. Consultado em 27 de março de 2009
- ↑ «TROPICAL CYCLONE 18P WARNING 005». Joint Typhoon Warning Center (em inglês). 6 de março de 2009. Consultado em 27 de março de 2009
- ↑ «Severe Tropical Cyclone "Hamish" Warning». Centro de Aviso de Ciclone Tropical (CACT) de Brisbane (em inglês). 7 de março de 2009. Consultado em 27 de março de 2009
- ↑ «Severe Tropical Cyclone "Hamish" Warning». Centro de Aviso de Ciclone Tropical (CACT) de Brisbane (em inglês). 8 de março de 2009. Consultado em 27 de março de 2009
- ↑ «Severe Tropical Cyclone "Hamish" Warning». Centro de Aviso de Ciclone Tropical (CACT) de Brisbane (em inglês). 10 de março de 2009. Consultado em 27 de março de 2009
- ↑ «TROPICAL CYCLONE 18P WARNING 010». Joint Typhoon Warning Center (em inglês). 11 de março de 2009. Consultado em 27 de março de 2009
- ↑ «Tropical Cyclone "Hamish" Warning». Centro de Aviso de Ciclone Tropical (CACT) de Brisbane (em inglês). 11 de março de 2009. Consultado em 27 de março de 2009
- ↑ «Tropical Low ex-"Hamish" Warning». Centro de Aviso de Ciclone Tropical (CACT) de Brisbane (em inglês). 11 de março de 2009. Consultado em 27 de março de 2009
- ↑ «TROPICAL CYCLONE 18P WARNING 014». Joint Typhoon Warning Center (em inglês). 12 de março de 2009. Consultado em 27 de março de 2009
- ↑ «Tropical Cyclone Advice Number 1». Australian Government Bureau of Meteorology (em inglês). 5 de março de 2009. Consultado em 7 de março de 2009
- ↑ «Tropical Cyclone Advice Number 3». Australian Government Bureau of Meteorology (em inglês). 6 de março de 2009. Consultado em 7 de março de 2009
- ↑ «Tropical Cyclone Advice Number 4». Australian Government Bureau of Meteorology (em inglês). 6 de março de 2009. Consultado em 7 de março de 2009
- ↑ «Tropical Cyclone Advice Number 5». Australian Government Bureau of Meteorology (em inglês). 6 de março de 2009. Consultado em 7 de março de 2009
- ↑ «Tropical Cyclone Advice Number 7». Australian Government Bureau of Meteorology (em inglês). 6 de março de 2009. Consultado em 7 de março de 2009
- ↑ «Tropical Cyclone Advice Number 8». Australian Government Bureau of Meteorology (em inglês). 6 de março de 2009. Consultado em 7 de março de 2009
- ↑ Staff Writer (7 de março de 2009). «Nth Qld on high alert as Hamish approaches Cat 5». ABC News (em inglês). Consultado em 7 de março de 2009
- ↑ Shani Raja (7 de março de 2009). «Australian Resorts in Queensland Threatened by Cyclone Hamish». Bloomberg News (em inglês). Consultado em 7 de março de 2009
- ↑ a b c d Samantha Healy (7 de março de 2009). «Cyclone Hamish could be worse than Cyclone Larry». Queensland Newspapers (em inglês). Consultado em 7 de março de 2009
- ↑ Staff Writer (7 de março de 2009). «Bligh declares disaster situation as Hamish intensifies». ABC News (em inglês). Consultado em 7 de março de 2009
- ↑ a b Associated Press (7 de março de 2009). «Menacing cyclone forces island evacuations». The Age (em inglês). Consultado em 7 de março de 2009
- ↑ Staff Writer (7 de março de 2009). «NE Australia bracing for tropical cyclone». Radio Netherlands (em inglês). Consultado em 7 de março de 2009. Arquivado do original em 2 de maio de 2013
- ↑ Xinhua (8 de março de 2009). «Fraser island evacuated as cyclone hits Australia». China View (em inglês). Consultado em 8 de março de 2009
- ↑ Cassie White (9 de março de 2009). «Cyclone Hamish hampers rail services». ABC News (em inglês). Consultado em 9 de março de 2009
- ↑ Staff Writer (7 de março de 2009). «Whitsundays expected to bear brunt of Hamish». ABC News (em inglês). Consultado em 7 de março de 2009
- ↑ a b Sarah Crawford (9 de março de 2009). «Mackay Hamish warning cancelled». Daily Mercury (em inglês). Consultado em 13 de março de 2009
- ↑ AAP (9 de março de 2009). «Fears for trawler crew in cyclone area». The Australian (em inglês). Consultado em 9 de março de 2009. Arquivado do original em 12 de março de 2009
- ↑ Bianca Clare (9 de março de 2009). «Hamish's ads height to mackay's king of the tides». Daily Mercury (em inglês). Consultado em 9 de março de 2009
- ↑ Staff Writer (10 de março de 2009). «Weakening cyclone Hamish continues to batter southern Qld». ABC News (em inglês). Consultado em 10 de março de 2009
- ↑ Mike Garry (16 de março de 2009). «Coast Guard rocked by Hamish». Sunshine Coast Daily (em inglês). Consultado em 16 de março de 2009
- ↑ Sharyn O'Neill (10 de março de 2009). «Hamish's worst effects offshore». The Bulletin (em inglês). Consultado em 10 de março de 2009
- ↑ Bianca Clare (11 de março de 2009). «Hamish's hammer blows test marina». Daily Mercury (em inglês). Consultado em 11 de março de 2009
- ↑ Amy Remeikis (11 de março de 2009). «Hamish hurts Sunshine Coast beaches». Sunshine Coast Daily (em inglês). Consultado em 11 de março de 2009
- ↑ Staff Writer (11 de março de 2009). «Fears Hamish could submerge Bribie's tip». ABC News (em inglês). Consultado em 11 de março de 2009
- ↑ Rob Black (11 de março de 2009). «Huge waves wash away sand dunes». The Observer (em inglês). Consultado em 11 de março de 2009
- ↑ AAP (13 de março de 2009). «Search for fishermen called off». Brisbane Times (em inglês). Consultado em 13 de março de 2009
- ↑ Katerine Spackman (16 de março de 2009). «Erosion creates Fraser Is access uncertainty». ABC News (em inglês). Consultado em 16 de março de 2009
- ↑ Kelmeny Fraser and Daryl Passmore (15 de março de 2009). «Skipper blamed». Sunday Herald Sun (em inglês). Consultado em 16 de março de 2009
- ↑ «Pacific Adventurer Incident». Swire Shipping (em inglês). 13 de março de 2009. Consultado em 13 de março de 2009
- ↑ Staff Writer (14 de março de 2009). «Oil spill crisis multiplied tenfold». ABC News (Australian Broadcasting Corporation) (em inglês). Consultado em 14 de março de 2009
- ↑ a b Andrew Wight (15 de março de 2009). «Clean-up efforts continue». Brisbane Times (em inglês). Consultado em 15 de março de 2009
- ↑ Staff Writer (13 de março de 2009). «Australian beaches a 'disaster zone' after oil spill». AFP (em inglês). Consultado em 13 de março de 2009
- ↑ Staff Writer (16 de março de 2009). «TerraSAR-X monitoring oil spill in Queensland». Apogee Imaging International (em inglês). Consultado em 16 de março de 2009. Arquivado do original em 18 de março de 2009
- ↑ Angela Macdonald-Smith (13 de março de 2009). «Australia's Queensland Declares Disaster as Oil Coats Beaches». Bloomberg News (em inglês). Consultado em 13 de março de 2009
- ↑ Staff Writer (12 de março de 2009). «Hazardous Cargo Ship Sent Into Savage Storm». Transport and Logistics News (em inglês). Consultado em 12 de março de 2009. Arquivado do original em 18 de março de 2009
- ↑ a b Brian Williams, Patrick Lion and Alison Sandy (15 de março de 2009). «Oil spill ship skipper Bernadino Santos has passport seized». Courier Mail (em inglês). Consultado em 16 de março de 2009
- ↑ Christine Kellett (13 de março de 2009). «Oil slick puts Moreton Island drinking water at risk». Brisbane Times (em inglês). Consultado em 13 de março de 2009
- ↑ a b Dennis Passa (16 de março de 2009). «Australian navy to help spill clean up». Associated Press (em inglês). Consultado em 16 de março de 2009
- ↑ AAP (15 de março de 2009). «Government says it has oil spill under control». The Age (em inglês). Consultado em 15 de março de 2009
- ↑ Connie Levett (15 de março de 2009). «Oil spill could take a month to clean». The Age (em inglês). Consultado em 15 de março de 2009
- ↑ Stephanie Peatling (17 de março de 2009). «Navy joins search for containers». The Sydney Morning Herald (em inglês). Consultado em 17 de março de 2009
- ↑ a b c Ironside, Robyn; Caldwell, Anna and Williams, Brian (13 de março de 2009). «Pacific Adventurer oil spill a disaster says Anna Bligh». News Limited (em inglês). Consultado em 13 de março de 2009
- ↑ Daniel Hurst (17 de março de 2009). «Govt allocates $750k to keep tourism afloat after oil spill». Brisbane Times (em inglês). Consultado em 17 de março de 2009
- ↑ Dennis Passa (14 de março de 2009). «'Catastrophe' fear over Australian oil spill». The Scottsman (em inglês). Consultado em 14 de março de 2009
- ↑ a b Adam Morton and Cosima Marriner (17 de março de 2009). «Oil spill to require lengthy eco-monitoring». The Age (em inglês). Consultado em 17 de março de 2009
- ↑ Marissa Calligeros (9 de março de 2009). «Cyclone heightens dengue fears». Brisbane Times (em inglês). Consultado em 9 de março de 2009
- ↑ Georgina Robinson (10 de março de 2009). «Cyclone Hamish: one fisherman found alive». The Sydney Morning Herald (em inglês). Consultado em 10 de março de 2009
- ↑ Staff Writer (10 de março de 2009). «Monster wave saved me from Cyclone Hamish says fisherman». The Herald Sun (em inglês). Consultado em 10 de março de 2009
- ↑ Hervey Bay (16 de março de 2009). «Service honours lost fishermen». Fraser Coast Chronicle (em inglês). Consultado em 17 de março de 2009
