Valles Marineris
Valles Marineris
| |
|---|---|
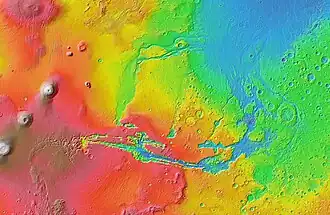
![]() Valles Marineris, a formação geológica mais notável de Marte, pode ser visto do espaço como um corte na superfície do planeta. | |
| Planeta | Marte |
| Tipo | vallis |
| Coordenadas | 13.9° S, 59.2° W |
| Profundidade | - 7 km |
| Extensão | ~ 4000 km |
| Quadrângulo | Phoenicis Lacus, Coprates e Margaritifer Sinus |
| Descoberta | Mariner 9 |
| Epônimo | Vales de Mariner em latim |
Valles Marineris (Vales de Mariner em latim, nome dado em referência ao orbitador de Marte Mariner 9 de 1971–72, que o descobriu) é um sistema que corre ao longo da superfície marciana a leste da região de Tharsis. Medindo mais de 3.000 km de extensão, 600 km de largura e até 8 km de profundidade,[1][2] o sistema de cânions Valles Marineris é o maior cânion conhecido, superando todos os cânions na Terra, com a exceção do profundo vale submarino que perfaz os 16,000 km de extensão da Dorsal meso-atlântica.
Valles Marineris se situa no equador do planeta, a leste do planalto de Tharsis, e se estende por quase um quarto da circunferência do planeta. O sistema Valles Marineris se inicia a oeste em Noctis Labyrinthus; procedendo a leste se encontram os chasmata de Tithonium e Ius, e então os chasmata de Melas e Ophir, e logo após Coprates Chasma, e então os chasmata de Ganges, Capri e Eos; até que finalmente desemboca numa região de canais de escoamento contendo terreno caótico que termina na bacia de Chryse Planitia. A maior parte dos pesquisadores concorda que Valles Marineris é uma grande "rachadura" tectônica na crosta marciana que se formou quando a crosta se elevou a oeste na região de Tharsis, tendo sido subsequentemente alargado por forças eólicas erosivas. Porém, próximo aos flancos orientais da falha parece haver alguns canais que podem ter sido formados por água ou dióxido de carbono.
Formação


No decorrer dos anos, diferentes ideias têm sido propostas para a formação de Valles Marineris. Nos anos 70 especulava-se que a força causadora deste vale eram a erosão pela água ou atividade de thermokarst, ou seja, o derretimento do permafrost em climas glaciais. Atividade de thermokarst pode contribuir, mas a erosão pela água não é muito provável pois a água líquida não pode existir nas condições atuais do planeta Marte, que tipicamente possui uma pressão atmosférica equivalente a 1% daquela da Terra e uma variação de temperatura de -125 a 37 graus Celsius. Porém, há um consenso entre os cientistas de que havia água líquida fluindo na superfície marciana no passado. Valles Marineris pode ter sido formado por água corrente nessa época. Uma outra hipótese, levantada por McCauley em 1972 é a de que os cânions se formaram pelo escoamento do magma superficial. Por volta de 1989 Tanaka e Golombek propuseram uma teoria apontando para um fraturamento por tensão. A teoria mais aceita nos dias de hoje é a de que Valles Marineris se formou por falhas sísmicas, como o Vale do Rift, tendo se alargado posteriormente devido à erosão e o desgaste das paredes do cânion.
Como se considera Valles Marineris um grande vale sísmico, sua formação é tida como intimamente ligada à formação da cadeia de Tharsis. A cadeia de Tharsis se formou do período Noachiano ao Hesperiano tardio. Tharsis se formou em três estágios, chamados um, dois, e três. O estágio um da formação de Tharsis consistiu em uma combinação de uma crosta repleta de vulcanismo ao ponto dessa crosta não suportar o peso adicional de Tharsis, gerando a formação generalizada de grabens nas regiões elevadas de Tharsis. O estágio dois consistiu em mais atividade vulcânica e a perda do equilíbrio isostático; as regiões-fonte do vulcanismo não residiam mais no solo abaixo de Tharsis, criando uma descarga muito grande. E por fim, a crosta não suportou o peso de Tharsis e as fraturas radiais, como Valles Marineris, se formaram. O estágio três consistiu em sua maior parte de mais vulcanismo e impactos de asteroides. A crosta, já tendo alcançado seu ponto de colapso, permaneceu no lugar e os vulcões mais jovens surgiram. O vulcanismo de Tharsis ocorreu liberando magma de viscosidade muito baixa, formando vulcões em escudo similares aos da cadeia do Havaí, mas, como não há placas tectônicas ativas em Marte, a atividade do "ponto quente" continuou bombeando magma na mesma região continuamente, criando alguns dos maiores vulcões do sistema solar, incluindo o maior: Olympus Mons.[3]
Ligações externas
- Google Mars - centrado em Valles Marineris
- Simulação computadorizada de um sobrevoo sobre Valles Marineris no "Maniac World"
- Simulação de sobrevoo da NASA/Arizona State University
- Sobrevoo em Candor Chasma a uma altitude de 100 metros
Referências
- ↑ «Vallis.Marineris». NASA. 7 de agosto de 2017. Consultado em 27 de dezembro de 2019. Arquivado do original em
|arquivourl=requer|arquivodata=(ajuda)|nome1=sem|sobrenome1=em Authors list (ajuda) - ↑ WTP: Mars: Valles Marineris
- ↑ Cattermole, Peter; Mars: The Mystery Unfolds; Terra Publishing; 2001. p. 103-104

.jpg)