Tufão Yutu
| Tufão Yutu (Rosita) | |
| Tufão violento (Escala JMA) | |
|---|---|
| Supertufão categoria 5 (SSHWS) | |
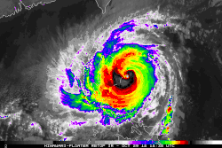
Tufão Yutu no pico de intensidade sobre Tiniã em 24 de outubr | |
| Formação | 21 de outubro de 2018 |
| Dissipação | 3 de novembro de 2018 |
| (Baixa remanescente depois de 2 de novembro) | |
| Ventos mais fortes | sustentado 10 min.: 215 km/h (130 mph) sustentado 1 min.: 280 km/h (175 mph) |
| Pressão mais baixa | 900 hPa (mbar); 26.58 inHg |
| Fatalidades | 29 diretos, 1 indiretos |
| Danos | 854.1 |
| Inflação | 2018 |
| Áreas afectadas | Ilhas Carolinas, Ilhas Marianas Setentrionais (particularmente Tiniã e Saipã), Filipinas, China meridional |
| Parte da Temporada de tufões no Pacífico de 2018 | |
O tufão Yutu, conhecido nas Filipinas como tufão Rosita, foi um ciclone tropical extremamente poderoso que causou destruição catastrófica nas ilhas de Tiniã e Saipã nas Ilhas Marianas Setentrionais, e mais tarde impactou as Filipinas. É o tufão mais forte já registrado para impactar as Ilhas Marianas, e está empatado como o segundo ciclone tropical mais forte a atingir os Estados Unidos e seus territórios não incorporados, tanto pela velocidade do vento quanto pela pressão barométrica. Yutu também foi o ciclone tropical mais poderoso do mundo em 2018. A quadragésima depressão tropical, vigésima sexta tempestade nomeada, décimo segundo tufão e o sétimo supertufão da temporada de tufões do Pacífico de 2018, Yutu originou-se de uma área de baixa pressão que se formou no oeste do Oceano Pacífico em 15 de outubro. A perturbação se organizou em uma depressão tropical no mesmo dia, à medida que o conteúdo de calor da superfície do mar aumentou. Pouco depois de se tornar uma depressão tropical, o Joint Typhoon Warning Center (JTWC) atribuiu ao sistema o identificador 31W. O sistema continuou a se fortalecer, tornando-se uma tempestade tropical várias horas depois, com a Agência Meteorológica do Japão (JMA) nomeando o sistema Yutu. Condições cada vez mais favoráveis permitiram que o Yutu se intensificasse explosivamente, já que o sistema mantinha convecção profunda e posteriormente se tornou uma tempestade tropical severa e depois um tufão.
Até 23 de outubro, Yutu continuou a se intensificar explosivamente, atingindo em 24 de outubro rapidamente a intensidade de supertufão de categoria 5. Em 25 de novembro, o Yutu atingiu a ilha de Tiniã e a parte sul de Saipã em seu pico de intensidade, com uma pressão central mínima de 900 mbar (27 inHg), ventos sustentados de 10 minutos de 215 km/h (134 mph), ventos sustentados de 1 minuto de 280 km/h (170 mph), e rajadas de até 305 km/h (190 mph). Isso o tornou o ciclone tropical mais poderoso do mundo em 2018. Imediatamente após chegar à terra firme, Yutu passou por um ciclo de substituição da parede do olho, fazendo com que enfraquecesse momentaneamente ao concluir o processo. Mantendo o status de supertufão, Yutu continuou a se mover para o oeste em direção às Filipinas, entrando na Área de Responsabilidade das Filipinas (PAR), após o que foi atribuído o nome local Rosita. Intrusões de ar seco e temperaturas mais baixas da superfície do mar, no entanto, fizeram com que Yutu enfraquecesse significativamente em 28 de outubro, embora tenha permanecido um forte tufão. No final 29 de novembro, Yutu atingiu a terra firme na província filipina de Isabela, com ventos sustentados de 10 minutos de 160 km/h (100 mph). O JTWC estimou ventos de 1 minuto em 165 km/h (103 mph) naquele momento.
A tempestade causou danos catastróficos em Tiniã e Saipã, destruindo várias casas e matando duas pessoas. Ventos violentos destruíram estruturas de concreto no sul de Saipã e desnudaram áreas de vegetação. Nas Filipinas, deslizamentos de terra e inundações mataram pelo menos 27 pessoas,[1] enquanto em Hong Kong, uma pessoa foi morta por ondas altas.[2]
História meteorológica

Tempestade tropical (63–118 km/h, 39–73 mph)
Categoria 1 (119–153 km/h, 74–95 mph)
Categoria 2 (154–177 km/h, 96–110 mph)
Categoria 3 (178–208 km/h, 111–129 mph)
Categoria 4 (209–251 km/h, 130–156 mph)
Categoria 5 (≥252 km/h, ≥157 mph)
Desconhecido
No início de 21 de outubro de 2018, uma depressão tropical se desenvolveu a leste de Guam e das Ilhas Marianas do Norte, com a JMA iniciando alertas sobre o sistema. Pouco depois, o JTWC atribuiu à tempestade o identificador 31W. O sistema começou a se fortalecer, tornando-se uma tempestade tropical várias horas depois, e a JMA atribuiu o nome de Yutu à tempestade. Condições favoráveis, incluindo baixo cisalhamento do vento e altas temperaturas da superfície do oceano, permitiram que Yutu se intensificasse explosivamente no dia seguinte, com a tempestade atingindo a força da tempestade tropical severa e a intensidade do tufão algumas horas depois. De 23 a 24 de outubro, Yutu continuou a se organizar e se intensificar explosivamente, atingindo a intensidade de supertufão de categoria 5 em 24 de outubro. O tufão continuou a se fortalecer e exibiu uma estrutura convectiva saudável, enquanto se movia em direção à ilha de Saipan.
Por volta das 14h Na hora local em 25 de outubro, o tufão Yutu atingiu Tinian e a parte sul de Saipan em intensidade máxima,[3][4] como um supertufão equivalente de categoria 5, com uma pressão central mínima de 900 mbar (27 inHg) e ventos sustentados de 1 minuto de 280 km/h (170 mph), tornando-se a tempestade mais poderosa já registrada para impactar as Ilhas Marianas do Norte.[5][6] Em 25 de outubro, o sistema passou por um ciclo de substituição da parede do olho, fazendo com que ele enfraquecesse em um supertufão de categoria 4 enquanto continuava se movendo para o oeste. No dia seguinte, Yutu completou seu ciclo de substituição da parede do olho e o sistema recuperou a intensidade da Categoria 5 às 12:00 UTC daquele dia. Em 27 de outubro, Yutu retomou o enfraquecimento e enfraqueceu em um supertufão de categoria 4. No mesmo dia, Yutu entrou na Área de Responsabilidade Filipina da PAGASA (ou PAR), e foi nomeada Rosita. Yutu continuou a enfraquecer enquanto avançava para o oeste, depois de encontrar condições mais desfavoráveis, incluindo temperaturas mais baixas da superfície do mar, e a tempestade enfraqueceu para um tufão equivalente de categoria 3 em 28 de outubro. Por volta das 21:00 UTC de 29 de outubro, o Yutu atingiu a terra firme como um tufão equivalente de categoria 2 na província filipina de Isabela, na ilha de Luzon.
Quando Yutu entrou no Mar da China Meridional, foi exposto ao ar frio e seco das monções do nordeste da China e enfraqueceu ainda mais em uma depressão tropical. No final de 1 de novembro, Yutu virou-se para o sul-sudoeste enquanto enfraquecia rapidamente, devido ao cisalhamento do vento. Em 2 de novembro, Yutu degenerou em uma baixa remanescente sem fazer outro landfall, antes de se dissipar no início do dia seguinte.
Preparações
Ilhas Marianas do Norte
No mês anterior ao Yutu, o tufão Mangkhut atingiu as Ilhas Marianas, levando as autoridades de emergência a estocar suprimentos. Com suprimentos de socorro em grande parte não utilizados, as instalações de armazenamento em Guam tinham 220.000 litros de água e 260.000 refeições prontamente disponíveis.[7] Funcionários da Agência Federal de Gerenciamento de Emergências (FEMA) foram enviados para Tiniã e Saipã antes da tempestade. O presidente dos EUA, Donald Trump, declarou uma emergência para as Ilhas Setentrionais em 24 de outubro.[8]
Filipinas
Em 25 de outubro, a PAGASA começou a emitir boletins de mau tempo em antecipação ao tufão Yutu entrar na Área de Responsabilidade das Filipinas.[9] A agência posteriormente levantou o Sinal de Alerta de Tempestade Pública (PSWS) nº 1 para a maioria de Lução ao norte de Metro Manila em 28 de outubro.[10] Seguindo uma pista um pouco mais ao sul do que o inicialmente previsto, a PSWS No. 1 mais tarde se estendeu a Quezon. PSWS No. 3, indicando ventos de 121–170 km/h (75–106 mph) foram antecipados, foi levantado para as províncias de Benguet, Ifugao, Ilocos Sul, Isabela, La Union, Mountain Province, Nueva Vizcaya, Pangasinan, Quirino e Aurora do norte em 29 de outubro. Além disso, PSWS No. 2, indicando ventos com força de tempestade tropical, cobriu grandes áreas do norte de Lução.[11][12][13]
Mais de 10.000 As pessoas, ainda sofrendo com os efeitos devastadores do Tufão Mangkhut em setembro, evacuaram as áreas montanhosas nas províncias do norte de Lução.[14]
Sinal de aviso público de tempestade mais alto
| PSWS# | Luzon | Visayas | Mindanao |
|---|---|---|---|
| 3 | Isabela, Quirino, porção norte de Aurora, Nueva Vizcaya, Ifugao, Benguet, La Union, Ilocos Sur, Mt. Província, Pangasinan | Nenhum | Nenhum |
| 2 | Cagayan, Ilocos Norte, Apayao, Abra, Kalinga, Tarlac, Nueva Ecija, porção norte de Quezon, incluindo Polillo Island, Resto de Aurora, Zambales, Pampanga, Bulacan | Nenhum | Nenhum |
| 1 | Metro Manila, Batanes, Ilhas Babuyan, Rizal, Laguna, Batangas, Bataan, Cavite, Camarines Norte | Nenhum | Nenhum |
Hong Kong
Em 1 de novembro, o Observatório de Hong Kong emitiu o Sinal de Vento Forte No. 3, a primeira vez que o Sinal de Vento Forte No. 3 foi emitido em novembro desde 1993 no Tufão Ira.[15]
Impacto
Ilhas Marianas do Norte
| Ciclones tropicais mais fortes com Landfall nos E.U.A † | |||||
|---|---|---|---|---|---|
| Posição | Nome‡ | Temporada | Velocidade vento | ||
| mph | km/h | ||||
| 1 | "Labor Day" | 1935 | 185 | 295 | |
| 2 | Karen | 1962 | 175 | 280 | |
| Camille | 1969 | ||||
| Yutu | 2018 | ||||
| 5 | Andrew | 1992 | 165 | 270 | |
| 6 | "Okeechobee" | 1928 | 160 | 260 | |
| Michael | 2018 | ||||
| 8 | Maria | 2017 | 155 | 250 | |
| 9 | |||||
| "Last Island" | 1856 | 150 | 240 | ||
| "Indianola" | 1886 | ||||
| "Florida Keys" | 1919 | ||||
| "Freeport" | 1932 | ||||
| Charley | 2004 | ||||
| Laura | 2020 | ||||
| Ida | 2021 | ||||
| Fonte: Hurricane Research Division[16] | |||||
| †Força refer à velocidade do vento máximo sustentado no desembarque. | |||||
| ‡Sistemas anteriores a 1950 não nomeados com nomes oficiais. | |||||
.jpg)
Golpeando Tiniã e Saipã em 24 de outubro como um supertufão equivalente a categoria 5, Yutu se tornou o ciclone tropical mais forte a impactar as Ilhas Marianas e o segundo mais forte a atingir os Estados Unidos ou seus territórios como um todo, empatado com o Tufão Karen em 1962 e o Furacão Camille em 1969.[17][18] Apenas o furacão do Dia do Trabalho de 1935 impactou o país com mais força.[8] Aeroporto Internacional de Saipã registrou rajadas de vento de 103 mph (166 km/h).[6] A parede do olho de Yutu também derrubou o radar doppler de Saipã em 25 de outubro, durante a chegada da tempestade.[6]
Em Saipã, o tufão matou duas pessoas; uma mulher quando ele destruiu o prédio em que ela estava hospedada,[19] e outra mulher que morreu de envenenamento por monóxido de carbono causado pela inalação da fumaça de um gerador.[20] Pelo menos 133 outras pessoas ficaram feridas, três das quais ficaram gravemente feridas.[19] A totalidade de ambas as ilhas ficaram sem eletricidade. A maioria dos edifícios no sul de Saipã perderam seus telhados ou foram destruídos, incluindo a Hopwood Middle School, que sofreu grandes danos.[19] A vegetação baixa nas partes do sul da ilha foi rasgada ou arrancada do solo.[7] O Aeroporto Internacional de Saipã sofreu danos significativos; terminais inundados e ajudas à navegação ficaram inoperantes.[21]
A maioria das casas em Tiniã foram severamente danificadas ou destruídas. Algumas estruturas de concreto sofreram danos significativos, com algumas completamente destruídas, e os moradores relataram que esses prédios balançaram durante o tufão. As persianas foram arrancadas das janelas, deixando o interior das estruturas expostas aos danos causados pelo vento e pela água. Em um caso, uma porta foi arrancada de um prédio e arremessada 30 m (100 ft) em um chiqueiro.[7] O único centro de saúde da ilha sofreu grandes danos; no entanto, nenhum paciente estava sendo tratado na época.[8] O Aeroporto Internacional de Tiniã sofreu danos significativos.[21] Os danos totais estimados pela FEMA chegaram a US$ 800 milhão.[22]
O meteorologista Brandon Aydlett, do Serviço Nacional de Meteorologia, descreveu o tufão como "a tempestade que define a escala para a qual as tempestades futuras são comparadas".[7]
Filipinas

Fazendo o landfall em Lução em 30 de outubro, o tufão Yutu, conhecido nas Filipinas como tufão “Rosita”, produziu chuvas torrenciais em toda a região montanhosa. Numerosos deslizamentos de terra causaram danos significativos, engolindo casas e bloqueando estradas. Yutu matou um total de 27 pessoas nas Filipinas.[1] Cinco pessoas morreram após deslizamentos de terra ocorridos em Banaue e Lubuagan, enquanto as inundações ceifaram uma vida em Perez. Um deslizamento de terra em Natonin enterrou um prédio do governo, deixando 14 mortos.[23] Efeitos significativos foram sentidos em Benguet, La Union e Nova Vizcaya, onde mais de 100 pessoas morreram durante o tufão Mangkhut em setembro.[14] A partir de 8 de novembro, 2018, os danos agrícolas foram contabilizados em ₱ 2,9 mil milhões (US$ 54,1 milhão).[23]
Hong Kong
Em 31 de outubro, um homem de 25 anos morreu ao surfar em Big Wave Bay, na ilha de Hong Kong, devido a ondas altas, enquanto o sinal de preparação para Alerta de tufão nº 1 foi içado.[2]
Consequências
.jpg)
Antes do impacto do tufão, o governador Ralph Torres solicitou uma declaração de emergência presidencial em antecipação à devastação projetada do tufão. O presidente dos EUA, Donald J. Trump, rapidamente aprovou seu pedido em 23 de outubro de 2018. Imediatamente após o impacto do tufão, o governador Torres solicitou uma declaração presidencial de desastre, que foi aprovada em 26 de outubro pelo presidente Trump. Imediatamente após o impacto do tufão, o Delegado do Congresso para as Ilhas Marianas Setentrionais, Gregorio Sablan, fez um pedido de ajuda. Com a escala de destruição muito superior ao tufão Soudelor em 2015, a energia não deveria ser totalmente restaurada por meses. O presidente Trump assinou uma declaração de grande desastre em 26 de outubro, permitindo que as ilhas recebam financiamento federal.[24]
Operações diurnas no Aeroporto Internacional de Saipã são retomadas em 27 de outubro; no entanto, equipamentos de navegação danificados impediram a operação segura durante a noite. A Guarda Costeira reabriu o porto de Saipã em 27 de outubro, permitindo que os navios entrem e saiam dele. A FEMA e a Cruz Vermelha estabeleceram cinco locais de distribuição de ajuda na ilha, que iniciaram suas operações em 28 de outubro.[25]
Esforços de resposta

A FEMA fretrou aviões para entregar suprimentos de socorro até 26 de outubro. De acordo com as mudanças implementadas após o furacão Maria em 2017, a agência estabeleceu forças-tarefa específicas para lidar com aspectos de menor escala da recuperação: transporte, comunicações, alimentos e água e energia e combustível.[7]
Abrigos de emergência rapidamente lotaram em ambas as ilhas em 25 de outubro. No mesmo dia, o Departamento de Saúde e Serviços Humanos dos EUA declarou uma emergência de saúde pública para as áreas afetadas e mobilizou 50 pessoal de saúde.[8][24] O USCGC Sequoia e o USCGC Kiska aportados em Guam navegaram para Saipã e Tiniã, respectivamente, com suprimentos de socorro.[24]
A Direct Relief trabalhou com a Commonwealth Healthcare Corporation e com outras instalações de saúde danificadas pela tempestade para coordenar remessas de ajuda médica para as Ilhas Marianas Setentrionais. Uma remessa de 40.000 litros de água potável, juntamente com outros itens essenciais, foi entregue no final de outubro.
Em 26 de outubro, a Matson, Inc. forneceu US$ 125.000 em fundos e implantou seu navio Mana carregado com água engarrafada e gelo.[24]
Em 27 de outubro, a Coreia do Sul começou a transportar aproximadamente 1.000 turistas isolados de Saipã.[24]
Aposentadoria
Devido aos extensos danos causados pelo tufão nas Filipinas, a PAGASA retirou oficialmente Rosita das listas rotativas de nomes de ciclones tropicais dentro da Área de Responsabilidade das Filipinas e a substituiu por Rosal.[26]
O nome Yutu também foi retirado durante a 52ª sessão anual do Comitê de Tufões da ESCAP/WMO em fevereiro de 2020. Em fevereiro de 2021, o Comitê Tufão posteriormente escolheu Yinxing como seu nome substituto.[27]
Ver também
- Ciclones tropicais em 2018
- Tufão Karen
- Tufão Lynn (1987)
- Tufão Nina (1987)
- Tufão Megi (2010)
- Tufão Krosa (2013)
- Tufão Mangkhut – afetou as Ilhas Marianas e o norte de Lução menos de dois meses antes, causando grandes danos.
- Tufão Soudelor
- Tufão Hagibis
Referências
- ↑ a b Global Catastrophe Recap October 2018 (PDF). AON (Relatório). AON. 7 de novembro de 2018. Consultado em 19 de novembro de 2018
- ↑ a b «Man dies while surfing during typhoon in Shek O». Asia Times. 1 de novembro de 2018. Consultado em 1 de novembro de 2018
- ↑ Jacey Fortin (24 de outubro de 2018). «'Catastrophic' Super Typhoon Yutu Slams Into U.S. Commonwealth in the Pacific». The New York Times. Consultado em 26 de outubro de 2018
- ↑ «Category 5 typhoon Yutu devastates the Northern Marianas in worst storm to hit any part of U.S. since 1935». Washington Post (em inglês). Consultado em 27 de outubro de 2018
- ↑ Colin Dwyer (24 de outubro de 2018). «Super Typhoon Yutu, 'Strongest Storm Of 2018,' Slams U.S. Pacific Territory». NPR. Consultado em 25 de outubro de 2018
- ↑ a b c «Typhoon Yutu Was the Strongest Tropical Cyclone on Record to Pass Over Saipan and Tinian in the Northern Mariana Islands (RECAP)». The Weather Company. 28 de outubro de 2018. Consultado em 29 de outubro de 2018
- ↑ a b c d e Caleb Hones and Jennifer Sino Kelleher. «A U.S. Pacific Territory Hopes for Federal Help After Being Battered by Super Typhoon Yutu». Time. Arquivado do original em 26 de outubro de 2018
- ↑ a b c d Chris Mooney, Juliet Eilperin, and Allyson Chiu (25 de outubro de 2018). «Category 5 typhoon Yutu devastates the Northern Marianas in worst storm to hit any part of U.S. since 1935». The Washington Post. Consultado em 26 de outubro de 2018
- ↑ Tropical Cyclone Advisory No. 1 for Typhoon "Yutu" (PDF) (Relatório). National Disaster Risk Reduction and Management Council. 25 de outubro de 2018. Consultado em 28 de outubro de 2018
- ↑ Severe Weather Bulletin No. 04 for Typhoon "Rosita" (PDF) (Relatório). National Disaster Risk Reduction and Management Council. PAGASA. 25 de outubro de 2018. Consultado em 28 de outubro de 2018
- ↑ Severe Weather Bulletin No. 07 for Typhoon "Rosita" (PDF) (Relatório). National Disaster Risk Reduction and Management Council. PAGASA. 29 de outubro de 2018. Consultado em 30 de outubro de 2018
- ↑ Severe Weather Bulletin No. 09 for Typhoon "Rosita" (PDF) (Relatório). National Disaster Risk Reduction and Management Council. PAGASA. 29 de outubro de 2018. Consultado em 30 de outubro de 2018
- ↑ Severe Weather Bulletin No. 10 for Typhoon "Rosita" (PDF) (Relatório). National Disaster Risk Reduction and Management Council. PAGASA. 29 de outubro de 2018. Consultado em 30 de outubro de 2018
- ↑ a b «Typhoon leaves 6 dead in Philippines, more feared trapped». Ilagan: Associated Press. 30 de outubro de 2018. Consultado em 30 de outubro de 2018
- ↑ «Yutu was the sixth tropical cyclone affecting Hong Kong in 2018 and, after Ira in 1993, necessitated the issuance of the No. 3 Strong Wind Signal in November again.». Hong Kong Observatory (em inglês). 13 de fevereiro de 2019. Consultado em 24 de outubro de 2019
- ↑ Landsea, Chris; Anderson, Craig; Bredemeyer, William; et al. (janeiro de 2022). Continental United States Hurricanes (Detailed Description). Re-Analysis Project (Relatório). Miami, Florida: Atlantic Oceanographic and Meteorological Laboratory, Hurricane Research Division
- ↑ «Super Typhoon Yutu Strongest to Hit Northern Mariana Islands Ever». The Weather Channel. 24 de outubro de 2018. Consultado em 26 de outubro de 2018
- ↑ Chris D'Angelo (26 de outubro de 2018). «Super Typhoon Yutu Shows Not All U.S. Cyclones Get Equal Treatment». The Huffington Post. Consultado em 26 de outubro de 2018
- ↑ a b c «Humanitarian crisis looms after Super Typhoon Yutu flattens parts of Saipan and Tinian». Pacific Daily News. USAToday. 26 de outubro de 2018. Consultado em 26 de outubro de 2018
- ↑ Haidee V Eugenio (30 de outubro de 2018). «Second death reported as a result of Super Typhoon Yutu». Pacific Daily News. Consultado em 30 de outubro de 2018
- ↑ a b Ferdie De La Torre (26 de outubro de 2018). «Saipan airport will open Sunday for commercial planes only». Saipan Tribune. Consultado em 27 de outubro de 2018
- ↑ Perez, Jon (11 de junho de 2019). «FEMA estimates $135M for NMI». Saipan Tribune. Consultado em 29 de junho de 2019
- ↑ a b Jalad, Ricardo B. (11 de novembro de 2018). SitRep No.20 re Preparedness Measures and Effects of TY ROSITA( I.N YUTU) (PDF) (Relatório). National Disaster Risk Reduction and Management Council. Consultado em 12 de novembro de 2018
- ↑ a b c d e Haidee V Eugenio (27 de outubro de 2018). «Trump declares major disaster after Super Typhoon Yutu strikes Northern Mariana Islands». USAToday. Pacific Daily News. Consultado em 27 de outubro de 2017
- ↑ Super Typhoon Yutu Relief & Recovery Update #3 Relief Supply Distribution Sites Open for Residents; Sea and Airport Open for Movement with Limitations (Relatório). Government of the United States. 27 de outubro de 2018. Consultado em 28 de outubro de 2018
- ↑ Manabat, Johnson (1 de março de 2019). «PAGASA retires typhoon names Ompong, Rosita, Usman». ABS-CBN News. Consultado em 5 de março de 2019
- ↑ «Replacement Names of FAXAI, HAGIBIS, KAMMURI, LEKIMA, PHANFONE, and YUTU in the Tropical Cyclone Name List» (PDF). Typhoon Committee. 8 de fevereiro de 2021. Consultado em 27 de fevereiro de 2020
Ligações externas
- Informações Gerais JMA do Tufão Yutu (1826) do Digital Typhoon
- 31W. YUTU do Laboratório de Pesquisa Naval dos EUA

