Tufão Nanmadol (2022)
| Tufão Nanmadol (Josie) | |
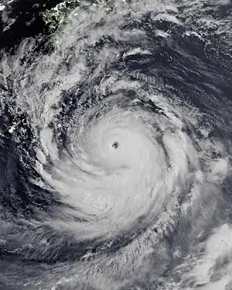
Tufão Nanmadol no pico de intensidade em 17 de setembro | |
| História meteorológica | |
|---|---|
| Formação | 9 de setembro |
| Extratropical | 19 de setembro |
| Dissipação | 20 de setembro |
| Tufão violento | |
| 10-minutos sustentados (JMA) | |
| Ventos mais fortes | 195 km/h (120 mph) |
| Pressão mais baixa | 910 hPa (mbar); 26,87 inHg |
| Tufão equivalente furacão categoria 4 | |
| 1-minuto sustentado (SSHWS/JTWC) | |
| Ventos mais fortes | 250 km/h (155 mph) |
| Pressão mais baixa | 916 hPa (mbar); 27,05 inHg |
| Efeitos gerais | |
| Fatalidades | 5 total |
| Danos | $1.2 bilhão (2022 USD) |
| Áreas afetadas | Japan, Coreia do Sul, Filipinas |
| IBTrACS / [1] | |
Parte da Temporada de tufões no Pacífico de 2022 |
|
O tufão Nanmadol, conhecido nas Filipinas como supertufão Josie, foi um poderoso ciclone tropical que afetou o Japão. A décima quarta tempestade nomeada, o sétimo tufão e o segundo super tufão da temporada de tufões do Pacífico em 2022, Nanmadol originou-se de uma perturbação a leste de Iwo Jima que o Joint Typhoon Warning Center (JTWC) designou como uma depressão tropical em 12 de setembro. Mais tarde naquele mesmo dia, ao atingir força de tempestade tropical, foi nomeado Nanmadol pela Agência Meteorológica do Japão (JMA).
A tempestade gradualmente se tornou mais bem organizada, com seus ventos sustentados atingindo a força do tufão dois dias depois. Em seguida, passou por uma rápida intensificação, com a velocidade do vento aumentando em 25 nós (46 km/h). O Nanmadol atingiu o pico com ventos de 125 nós (194 km/h) e uma pressão central de 910 mbar (27 inHg) em 17 de setembro, e também ingressou brevemente na Área de Responsabilidade das Filipinas, onde recebeu o nome de Josie. Após o pico de intensidade, a tempestade iniciou um ciclo de substituição da parede do olho e seguiu para o norte em direção ao Japão, onde atingiu o sul de Kyushu em 18 de setembro. Mais tarde, Nanmadol tornou-se uma tempestade tropical forte em 19 de setembro, antes de passar para uma baixa extratropical no início do dia seguinte.
Em preparação para a tempestade, mais de meio milhão de pessoas foram evacuadas no Japão, um raro " alerta especial " foi emitido para Kagoshima pela JMA.[2] Em Kagoshima, 8 000 fugiram de suas casas, com outros 12 000 em abrigos de evacuação. Na Coreia do Sul, 7 000 residências também sofreram quedas de energia.[3] Quatro mortes foram atribuídas ao Nanmadol, todas no Japão.[4]
História meteorológica

Tempestade tropical (63–118 km/h, 39–73 mph)
Categoria 1 (119–153 km/h, 74–95 mph)
Categoria 2 (154–177 km/h, 96–110 mph)
Categoria 3 (178–208 km/h, 111–129 mph)
Categoria 4 (209–251 km/h, 130–156 mph)
Categoria 5 (≥252 km/h, ≥157 mph)
Desconhecido
As origens do Tufão Nanmadol remontam a uma área de clima perturbado em 9 de setembro.[5] A perturbação favorável ao desenvolvimento, sendo compensada pelas temperaturas quentes da superfície do mar em torno de 29–30 °C (84–86 °F).[5] Uma depressão tropical se desenvolveu, de acordo com a Agência Meteorológica do Japão (JMA).[6] Imagens de satélite revelaram um obscuro centro de circulação de baixo nível.[5] A imagem de satélite microondas indicou uma circulação de baixo nível com uma convecção profunda.[7] Bandas formativas floresceram em torno do distúrbio e um LLC apareceu em Himawari 8.[8] Às 02:00 UTC de 12 de setembro, o Joint Typhoon Warning Center (JTWC) dos Estados Unidos emitiu um Alerta de Formação de Ciclone Tropical para o distúrbio.[9] Mais tarde, no mesmo dia, o JTWC iniciou alertas sobre o sistema e o classificou como Depressão Tropical 16W.[10] Uma ampla circulação de baixo nível com um desorganizado sobre sua convectiva.[11]

Seis horas depois, o JMA e o JTWC atualizaram o sistema para uma tempestade tropical, com o JMA atribuindo o nome Nanmadol ao sistema.[12][13] A banda de baixo nível envolvida no aprofundamento LLC.[14] Nanmadol rapidamente se intensificou e foi atualizado para uma tempestade tropical severa pela JMA em 14 de setembro[15] Imagens de microondas revelaram um alimentador de bandas bem definido do norte e do sul nos quadrantes da tempestade.[16] No início do dia seguinte, o JTWC elevou o Nanmadol a um tufão equivalente à categoria 1, a aproximadamente 578 nmi (1.070 km; 665 mi) leste-sudeste da Base Aérea de Kadena.[17] Formaram-se bandas convectivas e um olho irregular.[17] Da mesma forma, o JMA atualizou Nanmadol para um tufão.[18] Uma convecção central era densa, além de ter topos convectivos mais frios.[19]
Nanmadol se fortaleceu para um tufão equivalente à categoria 2 depois que o núcleo interno se tornou mais organizado.[20] Em 16 de setembro, a tempestade se tornou um tufão equivalente à categoria 3 e um olho que estava tentando clarear.[21] Então, rapidamente se fortaleceu em um tufão equivalente à categoria 4, mantendo um olho de 15 nmi (28 km; 17 mi) bem delineado ao redor da parede do olho.[22] Por volta das 15:00 UTC, o JTWC classificou Nanmadol como um super tufão.[23]
O JMA estima uma pressão central mínima de 910 hPa (27 inHg).[24] Nanmadol entrou na Área de Responsabilidade das Filipinas e foi nomeado Josie antes de finalmente sair 5 horas depois.[25] Imagens de satélite animadas multiespectrais revelaram o olho de 21 nmi (39 km; 24 mi) cercado em torno de uma convecção profunda.[26] No dia seguinte, o Nanmadol voltou a enfraquecer para um tufão equivalente à categoria 4.[27] As imagens de satélite revelaram um rápido enfraquecimento do sistema.[28] Às 03:00 UTC de 18 de setembro, o JTWC rebaixou-o ainda mais para um tufão equivalente à categoria 3.[29] Nanmadol enfraqueceu ainda mais em um tufão equivalente à categoria 2, pois a sua força estrutural começou a se deteriorar rapidamente.[30] Nanmadol foi depois estimado em apenas 80 kn (150 km/h; 92 mph), o que o tornou um tufão equivalente à categoria 1 e atingiu o sul de Kyushu e um segundo landfall ao sul de Kagoshima por volta das 18:00 UTC.[31][32] Às 00:00 UTC de 19 de setembro, o JMA rebaixou Nanmadol para uma tempestade tropical severa.[33] O JTWC seguiu o exemplo mais tarde naquele dia e declarou a tempestade tropical.[34] As imagens de satélite revelaram um cisalhamento de convecção no nordeste.[35] Às 21:00 UTC daquele dia, o JTWC emitiu o seu aviso final sobre o sistema.[36] O JMA emitiu também o seu último aviso sobre o Nanmadol e o declarou uma baixa extratropical em 20 de setembro.[37]
Preparativos e impacto

Japão
Previa-se que o Nanmadol estaria entre os cinco tufões mais fortes a atingir o Japão.[38] Também foi previsto interagir com uma corrente de jato, aumentando o risco de inundações já preocupantes.[39] Um raro aviso especial foi emitido para Kagoshima pela JMA; antes do Nanmadol, esses avisos nunca foram emitidos fora de Okinawa. A Japan Airlines e a All Nippon Airways cancelaram 700 voos,[40] e os serviços ferroviários sofreram graves atrasos.[2] As áreas afetadas pelo tufão Hinnamnor duas semanas antes também estavam sob a influência de Nanmadol.[41] No geral, quase 7 milhões de pessoas receberam ordens de evacuar quando a tempestade se aproximava.[42] Desses 7 milhões, pelo menos 965.000 estavam em Miyazaki, Kagoshima e Amakusa. O alerta mais alto na escala de alerta do Japão, nível cinco, foi emitido para a cidade de Nishinoomote.[43]
Ao longo da tarde de 18 de setembro, Miyazaki viu mais de 381 mm de chuva, onde a JMA notou que “chovia como nunca”. As linhas de energia foram derrubadas nas áreas afetadas e pelo menos 190.000 pessoas sofreram quedas de energia[44] quando Nanmadol passou. Em Kagoshima, mais de 8.000 fugiram de suas casas com outros 12.000 em abrigos de evacuação. O primeiro-ministro Fumio Kishida mobilizou policiais, bombeiros, autodefesas e outras autoridades nas regiões afetadas.[45] Vários rios em quatro províncias, Kagoshima, Oita, Miyazaki e Kumamoto, ultrapassaram os níveis de risco de inundação. 100 barragens foram pré-descarregadas para evitar inundações, um número maior do que as 76 descarregadas para o Tufão Haishen.[46] De 15 a 19 de setembro caiu chuva de 935 mm em Minamigo, e 784 mm na Vila Morozuka, e 669 mm na cidade de Tojo.[47]
Pelo menos 114 pessoas ficaram feridas quando Nanmadol passou.[48] Um guindaste de um canteiro de obras em Koryo-ocho quebrou e quase caiu. Árvores caíram nas áreas afetadas e muitas casas foram danificadas, ferindo muitos moradores nas cidades. Os carros ficaram presos nas estradas devido às inundações e algumas pessoas tiveram que subir no teto de seus veículos. Um deslizamento de terra na cidade do Tojo deixou uma estrada intransitável. Uma casa de repouso foi inundada na cidade de Nobeoka e abrigos temporários foram destruídos na cidade de Miyazaki. Na prefeitura desta última cidade, a chuva de um mês foi despejada em um dia.[49][48] O maior total de precipitação atingiu mais de 39 polegadas de chuva na cidade de Misato.[50] Acordos de resseguro de alto risco foram afetados pelo Nanmadol.[51] Pelo menos quatro pessoas foram mortas no país.[4]
Coreia do Sul
Embora a Coreia do Sul não tenha sido atingida diretamente pelo tufão,[52] os ventos e a chuva causados pelo Nanmadol também causaram transtornos. Duas pessoas ficaram feridas, houve relatos de queda de árvores e algumas localidades do sudeste do país ficaram sem energia elétrica.[3][53] Nanmadol trouxe fortes chuvas no sudeste de Gyeongsang.[54] 7.000 residências também sofreram quedas de energia.[3] Mais de 50 embarcações em 43 rotas foram suspensas.[54] O presidente Yoon Suk-yeol instruiu seus oficiais a manter a prontidão na tempestade.[55] Em Busan, 155 pessoas e 103 famílias foram evacuadas de suas casas.[3] As escolas em Busan e Ulsan fizeram a transição para o ensino à distância devido a questões de segurança.[56] Cerca de 101 embarcações de passageiros e mais de 79 rotas na costa sul foram suspensas.[56]
Ver também
- Clima em 2022 (en)
- Ciclones tropicais em 2022
- 1934 Muroto typhoon (en) — o tufão terrestre mais intenso da história japonesa, com um pico de baixa pressão de 911,9 hPa (26,93 inHg)
- Tufão Vera (1959) – uma categoria Supertufão equivalente a 5, que foi a tempestade mais forte a impactar o Japão, com velocidades máximas sustentadas de vento de 260 km/h (160 mph) ao atingir terra
- Tufão Nancy (1961) – outra categoria Tufão equivalente a 5 que atingiu o sudoeste do Japão e permanece entre os tufões do Pacífico mais intensos já registrados
- Tufão Nanmadol (2022) — um tufão relativamente mais fraco que atingiu o sudoeste do Japão
- Tufão Oliwa — um tufão intenso que afetou as mesmas áreas gerais do Japão
- Typhoon Meari (en) (2004) — um forte tufão que também afetou o sudoeste do Japão
- Tufão Trami (2018) — outro poderoso tufão que também atingiu o oeste do Japão
- Tufão Kong-rey (2018) – outro tufão intenso que teve um caminho semelhante.
Referências
- ↑ «Q3 Global Catastrophe Recap» (PDF). Aon Benfield. Consultado em 21 de outubro de 2022
- ↑ a b Traylor, Daniel (17 de setembro de 2022). «Japan issues rare special warning as 'violent' Typhoon Nanmadol approaches Kyushu». The Japan Times (em inglês). Consultado em 17 de setembro de 2022. Cópia arquivada em 16 de setembro de 2022
- ↑ a b c d «Typhoon Nanmadol brushes past nation's southern region». koreatimes (em inglês). 19 de setembro de 2022. Consultado em 26 de setembro de 2022. Cópia arquivada em 23 de setembro de 2022
- ↑ a b Welle (www.dw.com), Deutsche. «Japan cleans up after Typhoon Nanmadol leaves 4 dead | DW | 20.09.2022». DW.COM (em inglês). Consultado em 26 de setembro de 2022. Cópia arquivada em 24 de setembro de 2022
- ↑ a b c Significant Tropical Weather Advisory for the Western and South Pacific Oceans, 09-09-2022 (Relatório). United States Joint Typhoon Warning Center. 9 de setembro de 2022. Consultado em 9 de setembro de 2022. Arquivado do original em 9 de setembro de 2022
- ↑ «WWJP27 RJTD 090000». Japan Meteorological Agency. 9 de setembro de 2022. Consultado em 28 de junho de 2022. Cópia arquivada em 9 de setembro de 2022
- ↑ Significant Tropical Weather Advisory for the Western and South Pacific Oceans, 10-09-2022 (Relatório). United States Joint Typhoon Warning Center. 10 de setembro de 2022. Consultado em 10 de setembro de 2022. Arquivado do original em 10 de setembro de 2022
- ↑ Significant Tropical Weather Advisory for the Western and South Pacific Oceans, 11-09-2022 (Relatório). United States Joint Typhoon Warning Center. 11 de setembro de 2022. Consultado em 11 de setembro de 2022. Arquivado do original em 11 de setembro de 2022
- ↑ Tropical Cyclone Formation Alert (Invest 92W) (Relatório). United States Joint Typhoon Warning Center. 12 de setembro de 2022. Consultado em 12 de setembro de 2022. Arquivado do original em 12 de setembro de 2022
- ↑ DEPRESSÃO TROPICAL 16W (Sixteen) Warning No. 01 (Relatório). United States Joint Typhoon Warning Center. 12 de setembro de 2022. Consultado em 12 de setembro de 2022
- ↑ Prognostic Reasoning for Depressão tropical 16W (Sixteen) Warning No. 02 (Relatório). United States Joint Typhoon Warning Center. 13 de setembro de 2022. Consultado em 13 de setembro de 2022. Arquivado do original em 13 de setembro de 2022
- ↑ Prognostic Reasoning for Tempestade tropical 16W (Nanmadol) Warning No. 05 (Relatório). United States Joint Typhoon Warning Center. 13 de setembro de 2022. Consultado em 13 de setembro de 2022. Arquivado do original em 13 de setembro de 2022
- ↑ «RSMC Tropical Cyclone Advisory Name TS 2214 Nanmadol (2214) Upgraded from TD». Japan Meteorological Agency. 13 de setembro de 2022. Consultado em 13 de setembro de 2022. Cópia arquivada em 13 de setembro de 2022
- ↑ Prognostic Reasoning for Tempestade tropical 16W (Nanmadol) Warning No. 06 (Relatório). United States Joint Typhoon Warning Center. 14 de setembro de 2022. Consultado em 14 de setembro de 2022. Arquivado do original em 14 de setembro de 2022
- ↑ «RSMC Tropical Cyclone Advisory Name STS 2214 Nanmadol (2214) Upgraded from TS». Japan Meteorological Agency. 13 de setembro de 2022. Consultado em 15 de setembro de 2022. Cópia arquivada em 15 de setembro de 2022
- ↑ Prognostic Reasoning for Tempestade tropical 16W (Nanmadol) Warning No. 09 (Relatório). United States Joint Typhoon Warning Center. 14 de setembro de 2022. Consultado em 14 de setembro de 2022. Arquivado do original em 14 de setembro de 2022
- ↑ a b Prognostic Reasoning for Tufão 16W (Nanmadol) Warning No. 11 (Relatório). United States Joint Typhoon Warning Center. 15 de setembro de 2022. Consultado em 15 de setembro de 2022. Arquivado do original em 15 de setembro de 2022
- ↑ «RSMC Tropical Cyclone Advisory Name TY 2214 Nanmadol (2214) Upgraded from STS». Japan Meteorological Agency. 15 de setembro de 2022. Consultado em 15 de setembro de 2022. Cópia arquivada em 15 de setembro de 2022
- ↑ Prognostic Reasoning for Tufão 16W (Nanmadol) Warning No. 12 (Relatório). United States Joint Typhoon Warning Center. 15 de setembro de 2022. Consultado em 15 de setembro de 2022. Arquivado do original em 15 de setembro de 2022
- ↑ Prognostic Reasoning for Tufão 16W (Nanmadol) Warning No. 13 (Relatório). United States Joint Typhoon Warning Center. 15 de setembro de 2022. Consultado em 15 de setembro de 2022. Arquivado do original em 15 de setembro de 2022
- ↑ Prognostic Reasoning for Tufão 16W (Nanmadol) Warning No. 14 (Relatório). United States Joint Typhoon Warning Center. 16 de setembro de 2022. Consultado em 16 de setembro de 2022. Arquivado do original em 16 de setembro de 2022
- ↑ Prognostic Reasoning for Tufão 16W (Nanmadol) Warning No. 15 (Relatório). United States Joint Typhoon Warning Center. 16 de setembro de 2022. Consultado em 16 de setembro de 2022. Arquivado do original em 16 de setembro de 2022
- ↑ Prognostic Reasoning for Tufão 16W (Nanmadol) Warning No. 16 (Relatório). United States Joint Typhoon Warning Center. 16 de setembro de 2022. Consultado em 16 de setembro de 2022. Arquivado do original em 16 de setembro de 2022
- ↑ «RSMC Tropical Cyclone Advisory Name TY 2214 Nanmadol (2214)». Japan Meteorological Agency. 16 de setembro de 2022. Consultado em 17 de setembro de 2022. Cópia arquivada em 17 de setembro de 2022
- ↑ «#1F for Supertyphoon» (PDF). PAGASA. 16 de setembro de 2022. Consultado em 16 de setembro de 2022. Arquivado do original (PDF) em 16 de setembro de 2022
- ↑ Prognostic Reasoning for Tufão 16W (Nanmadol) Warning No. 17 (Relatório). United States Joint Typhoon Warning Center. 16 de setembro de 2022. Consultado em 16 de setembro de 2022. Arquivado do original em 16 de setembro de 2022
- ↑ Prognostic Reasoning for Tufão 16W (Nanmadol) Warning No. 20 (Relatório). United States Joint Typhoon Warning Center. 17 de setembro de 2022. Consultado em 17 de setembro de 2022. Arquivado do original em 17 de setembro de 2022
- ↑ Prognostic Reasoning for Tufão 16W (Nanmadol) Warning No. 21 (Relatório). United States Joint Typhoon Warning Center. 17 de setembro de 2022. Consultado em 17 de setembro de 2022. Arquivado do original em 17 de setembro de 2022
- ↑ Prognostic Reasoning for Tufão 16W (Nanmadol) Warning No. 22 (Relatório). United States Joint Typhoon Warning Center. 18 de setembro de 2022. Consultado em 18 de setembro de 2022. Arquivado do original em 18 de setembro de 2022
- ↑ Prognostic Reasoning for Tufão 16W (Nanmadol) Warning No. 23 (Relatório). United States Joint Typhoon Warning Center. 18 de setembro de 2022. Consultado em 18 de setembro de 2022. Arquivado do original em 18 de setembro de 2022
- ↑ Prognostic Reasoning for Tufão 16W (Nanmadol) Warning No. 24 (Relatório). United States Joint Typhoon Warning Center. 18 de setembro de 2022. Consultado em 18 de setembro de 2022. Arquivado do original em 18 de setembro de 2022
- ↑ Prognostic Reasoning for Tufão 16W (Nanmadol) Warning No. 25 (Relatório). United States Joint Typhoon Warning Center. 18 de setembro de 2022. Consultado em 18 de setembro de 2022. Arquivado do original em 18 de setembro de 2022
- ↑ «RSMC Tropical Cyclone Advisory Name STS 2214 Nanmadol (2214) Downgraded from TY». Japan Meteorological Agency. 16 de setembro de 2022. Consultado em 19 de setembro de 2022. Cópia arquivada em 19 de setembro de 2022
- ↑ Prognostic Reasoning for Tempestade tropical 16W (Nanmadol) Warning No. 26 (Relatório). United States Joint Typhoon Warning Center. 19 de setembro de 2022. Consultado em 19 de setembro de 2022. Arquivado do original em 19 de setembro de 2022
- ↑ Prognostic Reasoning for Tempestade tropical 16W (Nanmadol) Warning No. 27 (Relatório). United States Joint Typhoon Warning Center. 19 de setembro de 2022. Consultado em 19 de setembro de 2022. Arquivado do original em 19 de setembro de 2022
- ↑ TEMPESTADE TROPICAL 16W (Nanmadol) Warning No. 29 (Relatório). United States Joint Typhoon Warning Center. 19 de setembro de 2022. Consultado em 19 de setembro de 2022. Arquivado do original em 19 de setembro de 2022
- ↑ «RSMC Tropical Cyclone Advisory Name Developed Low Former STS 2214 Nanmadol (2214)». Japan Meteorological Agency. 20 de setembro de 2022. Consultado em 20 de setembro de 2022. Cópia arquivada em 20 de setembro de 2022
- ↑ Duff, Renee (16 de setembro de 2022). «Japan braces for flooding, destructive winds from Super Typhoon Nanmadol». Consultado em 26 de setembro de 2022. Cópia arquivada em 16 de setembro de 2022
- ↑ Wulfeck, Andrew (16 de setembro de 2022). «Super typhoon takes aim at Japan with life-threatening flooding, damaging winds». FOX Weather (em inglês). Consultado em 17 de setembro de 2022. Cópia arquivada em 16 de setembro de 2022
- ↑ 日本放送協会. «台風14号【交通】新幹線 運転取りやめ拡大へ 空の欠航700便超 | NHK». NHKニュース. Consultado em 18 de setembro de 2022. Cópia arquivada em 18 de setembro de 2022
- ↑ Yoon, John (17 de setembro de 2022). «Japan Warns 'Violent Typhoon' Could Hit on Sunday». The New York Times (em inglês). ISSN 0362-4331. Consultado em 17 de setembro de 2022. Cópia arquivada em 17 de setembro de 2022
- ↑ AFP (18 de setembro de 2022). «Rare 'special warning' issued as violent typhoon makes landfall in Japan». the Guardian (em inglês). Consultado em 19 de setembro de 2022. Cópia arquivada em 18 de setembro de 2022
- ↑ Hauser, Jessie Yeung,Sahar Akbarzai,Jennifer (18 de setembro de 2022). «Millions told to evacuate as Typhoon Nanmadol heads for Japan». CNN (em inglês). Consultado em 18 de setembro de 2022. Cópia arquivada em 18 de setembro de 2022
- ↑ Hida, Hikari; Yoon, John (18 de setembro de 2022). «Powerful Typhoon Thrashes Japan, With Millions Told to Evacuate». The New York Times (em inglês). ISSN 0362-4331. Consultado em 18 de setembro de 2022. Cópia arquivada em 18 de setembro de 2022
- ↑ Bacon, John. «'Raining like never before': Thousands flee as Typhoon Nanmadol slams Japanese coast». USA TODAY (em inglês). Consultado em 18 de setembro de 2022. Cópia arquivada em 18 de setembro de 2022
- ↑ 日本放送協会. «台風14号【氾濫危険水位超の河川】(19日0:30) | NHK». NHKニュース. Consultado em 18 de setembro de 2022. Cópia arquivada em 18 de setembro de 2022
- ↑ 日本放送協会. «台風14号 九州ほぼ全域が暴風域 中国 四国地方も雨風強まる | NHK». NHKニュース. Consultado em 18 de setembro de 2022. Cópia arquivada em 18 de setembro de 2022
- ↑ a b «Four feared dead after typhoon hits Japan». www.dhakatribune.com (em inglês). 20 de setembro de 2022. Consultado em 20 de setembro de 2022. Cópia arquivada em 20 de setembro de 2022
- ↑ 日本放送協会. «台風14号【各地の被害】全国で43人けが 突風による被害も | NHK». NHKニュース. Consultado em 19 de setembro de 2022. Cópia arquivada em 19 de setembro de 2022
- ↑ Zach, Rosenthal (19 de setembro de 2022). «Typhoon Nanmadol slams into Japan, killing at least two». The Washington Post
- ↑ Artemis.bm, Steven Evans- (20 de setembro de 2022). «Typhoon Nanmadol loss likely to attach some reinsurance layers: Twelve - Artemis.bm». Artemis.bm - The Catastrophe Bond, Insurance Linked Securities & Investment, Reinsurance Capital, Alternative Risk Transfer and Weather Risk Management site (em inglês). Consultado em 20 de setembro de 2022. Cópia arquivada em 20 de setembro de 2022
- ↑ Woo-hyun, Shim (19 de setembro de 2022). «Typhoon Nanmadol hits southern coastal areas of S. Korea». The Korea Herald (em inglês). Consultado em 26 de setembro de 2022
- ↑ «1 person injured, hundreds evacuated as Typhoon Nanmadol nears». Korea Herald. 19 de setembro de 2022. Consultado em 19 de setembro de 2022. Cópia arquivada em 19 de setembro de 2022
- ↑ a b «One injured, hundreds evacuated in Korea as Typhoon Nanmadol approaches». koreajoongangdaily.joins.com (em inglês). 19 de setembro de 2022. Consultado em 26 de setembro de 2022. Cópia arquivada em 25 de setembro de 2022
- ↑ 박보람 (18 de setembro de 2022). «(LEAD) Yoon calls for thorough readiness for Typhoon Nanmadol». Yonhap News Agency (em inglês). Consultado em 26 de setembro de 2022. Cópia arquivada em 19 de setembro de 2022
- ↑ a b 장동우 (19 de setembro de 2022). «(2nd LD) 2 people injured, hundreds evacuated as Typhoon Nanmadol brushes past S. Korea». Yonhap News Agency (em inglês). Consultado em 26 de setembro de 2022
Ligações externas
- JTWC Best Track Data do Super Tufão 16W (Nanmadol)
- 16W. NANMADOL do Laboratório de Pesquisa Naval dos Estados Unidos
.jpg)
