Tessaromatinos

Tessaromatinos
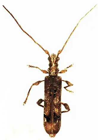
Tessaromma undatum
Tessaromma undatum
Classificação científica
Reino: Animalia
Filo: Arthropoda
Subfilo: Hexapoda
Classe: Insecta
Subclasse: Pterygota
Infraclasse: Neoptera
Superordem: Coleoptera
Ordem: Coleoptera
Subordem: Polyphaga
Infraordem: Cucujiformia
Superfamília: Chrysomeloidea
Família: Cerambycidae
Subfamília: Cerambycinae
Tribos
Tessarommatini

Lacordaire, 1869

Tessaromatinos (Tessarommatini) é uma tribo de coleóptero da subfamília Cerambycinae; compreende onze espécies em um único gênero, com ocorrência restrita à Austrália.[1]

Sistemática

  • Ordem Coleoptera
    • Subordem Polyphaga
      • Infraordem Cucujiformia
        • Superfamília Chrysomeloidea
          • Família Cerambycidae
            • Subfamíla Cerambycinae
              • Tribo Tessarommatini (Lacordaire, 1869)
                • Tessaromma (Newman, 1840)

Referências

  1. BARSEVSKIS, Arvids; et al. «Cerambycidae of the World». Consultado em 11 de maio de 2015. Arquivado do original em 23 de fevereiro de 2016