Temporada de furacões no Pacífico de 2009
| Temporada de furacões no Pacífico de 2009 | |
|---|---|
Mapa resumo da temporada | |
| Datas | |
| Início da atividade | 18 de junho de 2009 |
| Fim da atividade | 27 de outubro de 2009 |
| Tempestade mais forte | |
| Nome | Rick (Terceiro furacão mais intenso na bacia) |
| • Ventos máximos | 180 mph (285 km/h) |
| • Pressão mais baixa | 906 mbar (hPa; 26.75 inHg) |
| Estatísticas sazonais | |
| Total depressões | 23 |
| Total tempestades | 20 |
| Furacões | 8 |
| Furacões maiores (Cat. 3+) |
5 |
| Total fatalidades | 16 total |
| Danos | $225,83 (2009 USD) |
| Artigos relacionados | |
| Temporadas de furacões no Pacífico 2007, 2008, 2009, 2010, 2011 |
|
A temporada de furacões no Pacífico de 2009 foi um evento do ciclo anual de formação de ciclones tropicais. A temporada começou oficialmente em 15 de maio de 2009 no oceano Pacífico nordeste e em 1º de Junho de 2009 no oceano Pacífico centro-norte. Para ambas as regiões, a temporada terminou em 30 de Novembro de 2009. Estas datas delimitam convencionalmente o período de cada ano quando a maioria dos ciclones tende a se formar no hemisfério norte.
A temporada se iniciou efetivamente com a formação da depressão tropical-E em 18 que junho. Um-E atingiu a costa noroeste do México, mas não há relatos sobre danos. Dias depois, o furacão Andres ameaçou a costa sudoeste mexicana, obrigado a remoção de centenas de pessoas de áreas de riscos. No início de agosto, o furacão Felicia ameaçou o Havaí, mas se dissipou pouco antes de atingir o arquipélago. No início de setembro, o furacão Jimena tornou-se o mais intenso furacão a atingir a península da Baixa Califórnia em toda a história, causando pelo menos três fatalidades e mais de 60 milhões de dólares em prejuízos na região. Em meados de outubro, o furacão Rick tornou-se o segundo mais intenso furacão de toda a história no Pacífico Nordeste ao atingir ventos sustentados em um minuto de 285 km/h e uma pressão atmosférica central mínima de 906 hPa, ficando atrás apenas do furacão Linda de 1997. Também em meados de outubro, o furacão Neki tornou-se o mais intenso furacão no Pacífico Centro-Norte desde o furacão Ioke de 2006. Neki tornou-se também o primeiro ciclone tropical a afetar diretamente o arquipélago havaiano desde o furacão Iniki de 1992.
Previsões para a temporada
| Fonte | Data | Tempestades nomeadas |
Furacões | Grandes furacões |
| NOAA | Média[1] | 15,3 | 8,8 | 4,2 |
| NOAA | Média entre 1995 e 2008[1] | 14 | 7 | 3 |
| NOAA[1] | 21 de maio de 2009 | 13 – 18 | 6 – 10 | 2 – 5 |
| Recorde de alta atividade | 27 | 16 | 9 | |
| Recorde de baixa atividade | 8 | 4 | 0 | |
| –––––––––––––––––––––––––––––––––––––– | ||||
| Atividade atual | 20 | 8 | 5 | |
Em 21 de maio de 2009, a NOAA liberou sua previsão para a temporada de 2009 no Pacífico Nordeste e Centro-Norte. Previram uma temporada menos ativa do que a média no Pacífico Nordeste, com 13-18 tempestades tropicais dotadas de nome, 6 a 8 furacões e 2 a 5 grandes furacões (furacões com intensidade equivalente ou superior a categoria 3 na escala de furacões de Saffir-Simpson). A previsão está baseada na dissipação da La Niña em abril de 2009, e na previsão do início de um El Niño para o final do ano.[1]
Espera-se que a temporada no Pacífico Centro-Norte também seja menos ativa do que a média, com 3 a 5 tempestades tropicais dotadas de nome.[2]
Tempestades
Depressão tropical Um-E
|
Um-E
| |
![]() Imagem de satélite |
![]() Trajetória |
| Duração | 18 de Junho de 2009 – 20 de Junho de 2009 |
|---|---|
| Intensidade máxima | 55 km/h (35 mph) (1-min) 1003 hPa (mbar) |
Uma área de perturbações meteorológicas formou-se ao largo da costa sudoeste do México em 15 de junho.[3] O sistema seguiu lentamente para oeste-noroeste, formando uma área de baixa pressão assim que se tornava mais organizado.[4] O sistema continuou a organizar e, em 17 de junho, o National Hurricane Center (NHC) previu a possibilidade de um ciclogênese tropical, embora naquele momento a circulação ciclônica de baixos níveis não estivesse bem organizada.[5] Posteriormente, o sistema se organizou ainda mais,[6] e no começo da madrugada de 18 de junho, o NHC emitiu seu primeiro aviso para a primeira depressão tropical da temporada de 2009; o centro da depressão localizava-se a cerca de 370 milhas (595 km) a sul-sudoeste de Mazatlán, México.[7] Áreas de convecção persistiram no quadrante sul da depressão. No entanto, o quadrante norte da depressão estava parcialmente desprovida de atividade convectiva. Um cavado de médios e altos níveis ituada ao longo da península da Baixa Califórnia fez que a depressão seguisse mais para o norte.[6] O sistema permaneceu desorganizado durante a maior parte de seu período de vida devido ao cisalhamento do vento. Um E dissipou-se assim que fez landfall na costa do estado de Sinaloa durante o início da madrugada de 20 de junho.[8]
Em 19 de junho, 62 mm de chuva caiu em Mazatlán, perto de onde o sistema remanescente da depressão seguiu sobre terra.[9] Fortes ventos em Mazatlán derrubaram várias árvores e interromperam o forecimento de eletricidade para muitos residentes. Chuvas também provocaram inundações por toda a cidade.[10] Deslizamentos ao longo das principais estradas causaram vários acidentes, sendo um envolvendo um ônibus que foi danificado por pedras.[11]
Furacão Andres
|
Andres
| |
![]() Imagem de satélite |
![]() Trajetória |
| Duração | 21 de Junho de 2009 – 24 de Junho de 2009 |
|---|---|
| Intensidade máxima | 130 km/h (80 mph) (1-min) 984 hPa (mbar) |
Andres originou-se de uma ampla área de perturbações meteorológicas que persistiam ao largo da costa sul do México depois da formação da depressão tropical Um-E, o que levou a forte atividade de temporais e trovoadas. Naquele momento, o National Hurricane Center (NHC) comentou a possibilidade da formação de ciclones tropicais na região.[12] Em 20 de junho, áreas de convecção profunda começaram a se organizar.[13] O sistema continuou a se desenvolver, apesar de que na madrugada de 21 de junho, a circulação ciclônica de baixos níveis ainda não estava bem definida.[14] Mais tarde naquele dia, o NHC declarou que a depressão tropical Dois-E tinha se formado junto à costa sul do México.[15] Como antecipado, no dia seguinte, a depressão fortaleceu-se para a primeira tempestade tropical da temporada de 2009, e foi nomeada de Andres. Andres continuou a se fortalecer continuamente, e se tornou um furacão por volta das 14:00 (PDT) em 23 de junho, embora fosse possível que Andres tivesse se tornado um furacão mais cedo naquele dia.[16] O furacão também trouxe ventos fortes ao litoral mexicano. O sistema, em seguida, voltar a se enfraquer para uma tempestade tropical. Forte cisalhamento do vento e ar seco enfraqueceram Andres rapidamente para uma depressão em 24, e o NHC emitiu seu último aviso sobre o sistema naquele dia.
Forte ondulação produzida pela tempestade levou ao afogamento de um pescador ao largo da costa do México. As inundações causadas por Andres resultaram na evacuação de 200 pessoas, e 14 abrigos foram abertos para acolher os desalojados.[17]
Tempestade tropical Blanca
|
Blanca
| |
![]() Imagem de satélite |
![]() Trajetória |
| Duração | 6 de Julho de 2009 – 9 de Julho de 2009 |
|---|---|
| Intensidade máxima | 85 km/h (50 mph) (1-min) 998 hPa (mbar) |
Em 6 de julho, uma área de perturbações meteorológicas situada a aproximadamente 675 km a sul-sudoeste do extremo sul da Península da Baixa Califórnia, México, foi classificada, pelo Centro Nacional de Furacões (NHC), diretamente para a tempestade tropical "Blanca" pelo NHC, sem passar antes pelo estágio de depressão tropical.[18] A tempestade recém-classificada áreas de convecção profunda e uma possível olho no centro da circulação ciclônica de baixos níveis. As condições meteorológicas favoráveis permitiram a intensificação da tempestade mais tarde naquele dia.[19] Grandes bandas de tempestade desenvolveram em torno do centro denso nublado durante a manhã de 6 de julho assim que a velocidade do vento próximo ao centro da tempestade aumentou 75 km/h. Todos os modelos de previsão previam a intensificação da tempestade. Porém, alguns modelos indicaram rápida intensificação antes da tempestade seguir para uma região com condições meteorológicas menos favoráveis.[20] No entanto, isto não aconteceu, e o sistema seguiu para águas frias, enfraquecendo-se para uma depressão tropical em 8 de julho antes se degenerar para uma área de baixa pressão remanescente em 9 de julho. O sistema começou a seguir para noroeste, e o sistema se dissipou no início da madrugada (UTC) de 10 de julho, a mais de 1.600 km a oeste-noroeste do extremo sul da Península da Baixa Califórnia.
Furacão Carlos
|
Carlos
| |
![]() Imagem de satélite |
![]() Trajetória |
| Duração | 10 de Julho de 2009 – 16 de Julho de 2009 |
|---|---|
| Intensidade máxima | 165 km/h (105 mph) (1-min) 971 hPa (mbar) |
Em 9 de julho, tempestades e trovoadas associadas com uma área de perturbações meteorológicas localizada a cerca de 1.450 km do extremo sul da Península da Baixa Califórnia tornou-se mais organizada em torno de um centro de circulação de baixos níveis. Na madrugada de 10 de julho, o sistema foi classificado, pelo Centro Nacional de Furacões (NHC), para a depressão tropical Quatro-E.[21] Por volta das 14:00 (PDT), o sistema intensificaou-se para a tempestade tropical "Carlos".[22] A tendência de intensificação continuou, e Carlos tornou-se um furacão de categoria 1 na escala de furacões de Saffir-Simpson no dia seguinte.[23] O furacão também formou um pequeno olho no centro de sua circulação ciclônica de baixos níveis, baseado em imagens de satélite.
No entanto, na manhã de 12 de julho, o NHC notou que o pequeno olho tinha desaparecido. Desde a noite de 11 de julho até a manhã de 12 de Julho, a estrutura de Carlos ficou desorganizada por razões desconhecidas. Convecção profunda contraiu-se para uma pequena região em torno do centro da circulação, e o tamanho geral da tempestade diminuiu. Nas primeiras horas daquela tarde, a continuação da degeneração do sistema levou à sua desclassificação para uma tempestade tropical.[24] Durante o restante daquele dia e até o meio-dia de 13 de julho, Carlos continuou a se enfraquecer, mas a tendência de enfraquecimento foi interrompido, e Carlos voltou a se intensificar lentamente.[25] Uma declaração do NHC naquele dia previu que Carlos iria manter a sua intensidade, ventos máximos sustentados em 110 km/h, ou sua intensidade iria variar constantemente para os próximos três dias ou mais. No entanto, em 14 de julho, uma nova parede do olho desenvolveu-se, e Carlos foi classificado novamente para um furacão.[26] Carlos intensificou rapidamente, e atingiu seu pico de intensidade, com ventos máximos sustentados de 165 km/h durante a manhã (UTC) de 15 de julho; naquele momento, Carlos apresentava um olho "buraco de alfinete". Durante a noite de 14 de julho, o olho ficou menos definido, e em 15 de julho, o sistema começou a enfraquecer. Em 16 de julho, Carlos degenerou-se para uma área de baixa pressão, e o NHC emitiu seu aviso final sobre o sistema.[27]
Tempestade tropical Dolores
|
Dolores
| |
![]() Imagem de satélite |
![]() Trajetória |
| Duração | 15 de Julho de 2009 – 17 de Julho de 2009 |
|---|---|
| Intensidade máxima | 85 km/h (50 mph) (1-min) 1000 hPa (mbar) |
Em 14 de julho, uma ampla área de perturbações ao sul da Península da Baixa Califórnia mostrou sinais de organização, o Centro Nacional de Furacões (NHC) classificou o sistema para a depressão tropical Cinco-E ainda naquele dia.[28] A depressão logo se fortaleceu para uma tempestade tropical, sendo chamada de "Dolores" durante a manhã de 15 de julho.[29] Mais tarde naquele dia, Dolores começou a desenvolver grandes bandas de tempestade, bem como áreas de convecção profunda. Dolores atingiu seu pico de intensidade na madrugada (UTC) de 16 de julho, com ventos máximos sustentados de 85 km/h.[30]
Porém, mais tarde naquele dia, a convecção profunda associada a Dolores começou a se enfraquecer, e a tempestade começou a se enfraquecer lentamente.[31] Dolores enfraqueceu-se para uma depressão tropical naquela tarde,[32] e na à madrugada do dia seguinte, o sistema já não mais apresentava áreas de convecção profunda, e o NHC emitiu seu aviso final sobre a enfraquecida depressão tropical Dolores.[33]
Tempestade tropical Lana
|
Lana
| |
![]() Imagem de satélite |
![]() Trajetória |
| Duração | 30 de Julho de 2009 – 3 de Agosto de 2009 |
|---|---|
| Intensidade máxima | 100 km/h (65 mph) (1-min) 995 hPa (mbar) |
Em 30 de julho, o NHC começou a emitir avisos sobre a depressão tropical Seis-E.[34] Naquele momento, o centro da depressão estava próximo da área de responsabilidade do Centro de Furacões do Pacífico Central (CPHC). Mais tarde naquele dia, a depressão saiu da área de responsabilidade do NHC, e o CPHC assumiu a responsabilidade de monitoração do sistema. A depressão rapidamente se intensificou para a tempestade tropical Lana, a primeira tempestade tropical no Pacífico Central desde a tempestade tropical Kika. Lana é uma dos quatro ciclones tropicais no Pacífico Central a se formar como uma depressão tropical no Pacífico Nordeste, mas se intensificar para uma tempestade tropical, e consequentemente ganhar um nome nesta bacia oceânica, na história. Os outros foram Lala, Iniki, e Li. Lana também foi o primeiro ciclone tropical a adentrar a área de responsabilidade do CPHC como um ciclone tropical significativo desde o furacão Flossie.[35] A tempestade também começou a desenvolver um olho, com base em imagens de satélite. No entanto, o cisalhamento do vento meridional induzida pela passagem de um amplo cavado de altos níveis, afetou negativamente Lana, que ficou ligeiramente mais desorganizada em 31 de julho. Apesar disso, Lana atingiu o seu pico de intensidade, com ventos máximos sustentados de 100 km/h durante início da madrugada de 1 de Agosto.[36]
Lana gradualmente perdeu sua organização, mas manteve-se como uma tempestade tropical, mantendo seus ventos máximos em 85 km/h durante os dois dias seguintes. No entanto, Lana se enfraqueceu para uma depressão tropical na noite de 2 de agosto, enquanto continuava se desorganizar rapidamente.[37] Lana degenerou para uma área de baixa pressão remanescente em 3 de agosto, a cerca de 930 km a sudoeste de Honolulu, Havaí. Com isso, o CPHC emitiu seu último aviso. O sistema remanescente de Lana continuou a seguir para oeste até se dissipar completamente em 4 de agosto.[38]
Tempestade tropical Enrique
|
Enrique
| |
![]() Imagem de satélite |
![]() Trajetória |
| Duração | 3 de Agosto de 2009 – 7 de Agosto de 2009 |
|---|---|
| Intensidade máxima | 100 km/h (65 mph) (1-min) 994 hPa (mbar) |
A tempestade tropical Enrique formou-se a partir de uma ampla área de baixa pressão a várias centenas de quilômetros ao sul-sudoeste do extremo sul da Península da Baixa Califórnia.[39] O centro de circulação estava embebido dentro de um centro denso nublado e localizada dentro de uma região que favorecia um maior desenvolvimento. A depressão seguiu para oeste-noroeste em resposta a uma área de alta pressão de médios níveis ao norte do sistema. No final de 3 de agosto, a depressão se intensificou para uma tempestade tropical, que ganhou o nome Enrique.[40] Enrique logo atingiu seu pico de intensidade, com ventos máximos sustentados de 95 km/h.[41]
No entanto, a interação com o furacão Felicia enfraqueceu o sistema mais tarde naquela noite, com seus ventos máximos diminuindo para 85 km/h.[42] Enrique manteve seus ventos máximos em 85 km/h no dia seguinte. Porém, no início da madrugada de 6 de agosto, o NHC desclassificou Enrique para uma depressão tropical.[43] Em 7 de agosto, o NHC emitiu seu aviso final sobre Enrique assim que o sistema degenerou-se numa área de baixa pressão remanescente.[44]
Furacão Felicia
|
Felicia
| |
![]() Imagem de satélite |
![]() Trajetória |
| Duração | 3 de Agosto de 2009 – 11 de Agosto de 2009 |
|---|---|
| Intensidade máxima | 230 km/h (145 mph) (1-min) 935 hPa (mbar) |
O furacão Felicia formou-se a partir de uma ampla área de baixa pressão que se formou a várias centenas a sudoeste do extremo sul da Península da Baixa Califórnia em 3 de agosto, intensificando-se para a depressão tropical Oito-E no dia seguinte.[45] O sistema se fortaleceu para uma tempestade tropical, que ganhou o nome Felicia, no início da madrugada de 4 de agosto.[46] Felicia fortaleceu-se rapidamente naquela manhã, quando uma parede do olho rapidamente se desenvolveu. A rápida intensificação foi atribuída as águas quentes oceânicas ao longo da trajetória prevista. Felicia continuou a se intensificar e se tornou um furacão naquela tarde.[47] A rápida intensificação continuou até aquela noite, e o NHC classificou Felicia para um furacão de categoria 2 na escala de furacões de Saffir-Simpson.[48] Felicia continuou a se intensificar rapidamente, tornando-se o primeiro grande furacão da temporada durante na manhã (UTC) de 5 de agosto, quando o NHC classificou-o para um furacão de categoria 3.[49] Mais tarde naquele dia, Felicia rapidamente intensificou para um furacão de categoria 4, com seus ventos máximos alcançando 230 km/h.[50] Com isso, Felicia tornou-se o mais forte ciclone tropical no Pacífico Nordeste desde o furacão Daniel em 2006.[35] O NHC previu que Felícia iria enfraquecer rapidamente durante os dois dias seguintes, começando em 6 de agosto, mas foi também destacado pelo NHC que o furacão Felicia estava exibindo características de um furacão anular, o que permitiria ao furacão a manter a sua intensidade por mais tempo do que o esperado em águas marginalmente quentes.
Em 8 de agosto, Felicia adentrou à área de responsabilidade do Centro de Furacões do Pacífico Central (CPHC),[51] e gradualmente se enfraqueceu para uma tempestade tropical e,[52] em seguida, para uma depressão tropical enquanto se aproximava do Havaí.[53] Alertas de tempestade tropical e de enxurradas foram emitidos em 7 de agosto para a ilha Havaí e para o condado de Maui, e foi posteriormente estendido para a ilha Oahu em 9 de agosto. Os alertas a ilha Havaí foram posteriormente descontinuados assim que Felicia começou a seguir mais para norte. Todos os alertas foram cancelados às 11:00 (HST) de 11 de agosto assim que Felicia dissipou-se para uma área de baixa pressão remanescente.[54]
Depressão tropical Nove-E
|
Nove-E
| |
![]() Imagem de satélite |
![]() Trajetória |
| Duração | 9 de Agosto de 2009 – 12 de Agosto de 2009 |
|---|---|
| Intensidade máxima | 55 km/h (35 mph) (1-min) 1006 hPa (mbar) |
A depressão tropical Nove-E formou-se a partir de uma pequena área de baixa pressão a oeste-sudoeste do extremo sul da Península da Baixa Califórnia em 9 de agosto.[55] O NHC inicialmente previu que Nove-E iria se fortalecer para uma tempestade tropical em 10 de agosto, mas seu desenvolvimento foi inibido pelo cisalhamento do vento moderado, e a depressão não era mais prevista para fortalecer para uma tempestade tropical assim que o cisalhamento do vento inibiu a permanência de áreas de convecção profunda sobre o centro ciclônico.[56] O cisalhamento do vento levou a degeneração da depressão para uma área de baixa pressão remanescente em 12 de agosto.[57] O sistema remanescente de Nove-E continuou a seguir para oeste-sudoeste, e se dissipou totalmente em 15 de janeiro assim que a circulação ciclônica fundiu-se com a zona de convergência intertropical (ZCIT).
Tempestade tropical Maka
|
Maka
| |
![]() Imagem de satélite |
![]() Trajetória |
| Duração | 11 de Agosto de 2009 – 12 de Agosto de 2009 |
|---|---|
| Intensidade máxima | 65 km/h (40 mph) (1-min) 1007 hPa (mbar) |
A tempestade tropical Maka formou-se a partir de uma área de baixa pressão a sudoeste de Kauai, Havaí, em 11 de agosto.[58] Maka formou-se quando o furacão Felicia ainda estava ativo na área de responsabilidade do Centro de Furacões do Pacífico Central. Com isso, foi a primeira vez que dois ciclones tropicais ficaram ativos no Pacífico Central desde 31 de outubro de 2002. Além disso, Maka foi o primeiro ciclone tropical a se formar no Pacífico Central desde a tempestade tropical Kika em 2008. No final daquele dia, o sistema se fortaleceu para uma tempestade tropical, e recebeu o nome Maka, sendo a segunda tempestade dotada de nome a se formar no Pacífico Central em 2009.[59]
Na tarde seguinte, o CPHC emitiu seu aviso final sobre a tempestade assim que Maka como se enfraqueceu, degenerando-se numa área de baixa pressão remanescente, assim que o ciclone começou a ser afetado negativamente pelo cisalhamento do vento.[60][61] O sistema remanescente de Maka cruzou a linha internacional de data e adentrou a área de responsabilidade da Agência Meteorológica do Japão, no Pacífico Noroeste e voltou a ser, por um breve, uma tempestade tropical, segundo o Joint Typhoon Warning Center, ou uma depressão tropical, segundo a Agência Meteorllógica do Japão.
Furacão Guillermo
|
Guillermo
| |
![]() Imagem de satélite |
![]() Trajetória |
| Duração | 12 de Agosto de 2009 – 19 de Agosto de 2009 |
|---|---|
| Intensidade máxima | 205 km/h (125 mph) (1-min) 954 hPa (mbar) |
O furacão Guillermo formou-se em 12 de agosto a partir de uma ampla área de baixa pressão a cerca de 700 km a sudoeste do extremo sul da Península da Baixa Califórnia.[62] O sistema formou bandas de tempestade definidas e áreas de convecção profunda. Ao fim da tarde dequele dia, a depressão se fortaleceu para uma tempestade tropical, a sétima no Pacífico noroeste da tempçorada.[63] Em 14 de agosto, Guillermo tornou-se o quarto furacão da temporada, juntamente com a formação de um olho bem definido.[64] Naquela tarde, Guillermo fortaleceu-se para um furacão de categoria 2, com seus ventos máximos sustentados alcançando 155 km/h.[65] Na manhã de 15 de agosto, Guillermo tornou-se o segundo grande furacão da temporada assim que alcançou a intensidade de um furacão de categoria 3, com ventos máximos alcançando 205 km/h.[66]
Após atingir seu pico de intensidade, Guillermo começou a se enfraquecer gradualmente a partir de 15 de agosto.[67] Em 16 de agosto, Guillermo adentrou a área de responsabilidade do Centro de Furacões do Pacífico Central como um furacão de categoria 1,[68] e então rapidamente se enfraqueceu para uma tempestade tropical logo em seguida, devido ao aumento rápido do cisalhamento do vento.[69] Apesar do cisalhamento do vento superior a 40 nós, Guillermo sobreviveu como uma fraca tempestade tropical durante os três dias seguintes, antes de se enfraquecer para uma depressão[70] e de se dissipar completamente em 19 de agosto.[71]
Tempestade tropical Hilda
|
Hilda
| |
![]() Imagem de satélite |
![]() Trajetória |
| Duração | 22 de Agosto de 2009 – 28 de Agosto de 2009 |
|---|---|
| Intensidade máxima | 100 km/h (65 mph) (1-min) 999 hPa (mbar) |
A tempestade tropical Hilda formou-se próximo ao meridiano 140°O em 22 de agosto,[72] e logo intensificou-se para uma tempestade tropical, ganhando o nome Hilda.[73] No dia seguinte, Hilda adentrou à área de responsabilidade do Centro de Furacões do Pacífico Central (CPHC).[74]
Em 26 de agosto, Hilda rapidamente se enfraqueceu para uma depressão assim que sua organização se degenerou rapidamente; a tempestade já não era capaz de desenvolver novas áreas de convecção profunda.[75] Nos dias seguintes, sua estrutura continuou a se degradar, e em 28 de agosto, Hilda degenerou-se para uma área de baixa pressão remanescente.[76]
Tempestade tropical Ignacio
|
Ignacio
| |
![]() Imagem de satélite |
![]() Trajetória |
| Duração | 24 de Agosto de 2009 – 28 de Agosto de 2009 |
|---|---|
| Intensidade máxima | 85 km/h (50 mph) (1-min) 999 hPa (mbar) |
A tempestade tropical Ignacio formou-se em 24 de agosto a cerca de 1060 km a sudoeste do extremo sul da Península da Baixa Califórnia.[77] Apesar das áreas de convecção atmosférica associadas ao longo do oeste de sua circulação ciclônica terem diminuído ligeiramente, o sistema continuou a ficar mais organizado e se tornou uma tempestade tropical naquela noite.[78] Apesar de ser classificado como uma tempestade tropical, Ignacio não estava bem organizado, com vários pequenos centros ciclônicos girando em torno de um centro ciclônico maior.
Ignacio enfraqueceu-se para uma depressão tropical na manhã de 27 de agosto assim que seguiu para águas mais frias numa região de atmosfera mais estável.[79] Ignacio degenerou para uma área de baixa pressão mais tarde naquele dia.[80]
Furacão Jimena
|
Jimena
| |
![]() Imagem de satélite |
![]() Trajetória |
| Duração | 29 de Agosto de 2009 – 4 de Setembro de 2009 |
|---|---|
| Intensidade máxima | 250 km/h (155 mph) (1-min) 931 hPa (mbar) |
A depressão tropical Treze-E formou-se de uma área de perturbações meteorológicos associada a uma onda tropical ao largo da costa oeste do México, a cerca de 300 km ao sul de Acapulco.[81] A partir de então, a depressão começou a sofrer rápida intensificação e logo se fortaleceu para uma tempestade tropical em 29 de janeiro, ganhando o nome Jimena,[82] e para um furacão naquele mesmo dia.[83] Enquanto isso, um olho "buraco de alfinete" formou-se no centro de suas áreas de convecção profunda. A intensificação explosiva continuou, e Jimena tornou-se o terceiro grande furacão quando alcançou a intensidade de um furacão de categoria 3 na escala de furacões de Saffir-Simpson em 30 de agosto.[84] Mais tarde naquele dia, Jimena intensificou-se para um furacão de categoria 4.[85]
Jimena começou a se enfraquecer pouco antes de atingir a costa da Península da Baixa Califórnia como um furacão de categoria 2.[86] Sobre a península, Jimena continuou a se enfraquecer rapidamente, e se enfraqueceu para uma tempestade tropical em 3 de setembro.[87] Ficando praticamente estacionário sobre a península da Baixa Califórnia, Jimena continuou a se enfraquecer. Jimena se enfraqueceu para uma depressão tropical em 4 de setembro,[88] e se degenerou para uma área de baixa pressão pouco depois. Com isso, o NHC emitiu seu aviso final sobre Jimena.[89]
Jimena provocou grandes impactos na península da Baixa Califórnia. Pelo menos 3 pessoas morreram como consequência dos efeitos do furacão na região,[90][91] que também provocaram quase 60 milhões de dólares em prejuízos.[92][93]
Depressão tropical Dois-C
|
Dois-C
| |
![]() Imagem de satélite |
![]() Trajetória |
| Duração | 29 de Agosto de 2009 – 30 de Agosto de 2009 (deixou a área de responsabilidade do CPHC) |
|---|---|
| Intensidade máxima | 55 km/h (35 mph) (1-min) 1007 hPa (mbar) |
A depressão tropical Dois-C formou-se a partir de uma pequena área de perturbações meteorológicas sudoeste de Kauai por volta das 03:00 (UTC) de 29 de agosto.[94] No dia seguinte, a depressão cruzou a Linha Internacional de Data e a responsabilidade de monitoração do sistema foi transferida para a Agência Meteorológica do Japão.[95]
Tempestade tropical Kevin
|
Kevin
| |
![]() Imagem de satélite |
![]() Trajetória |
| Duração | 29 de agosto de 2009 – 1 de setembro de 2009 |
|---|---|
| Intensidade máxima | 85 km/h (50 mph) (1-min) 1000 hPa (mbar) |
A tempestade tropical Kevin formou-se a partir de uma área de perturbações meteorológicas a sudoeste do extremo sul da Península da Baixa Califórnia em 29 de agosto.[96] Na noite de 29 de agosto, a depressão intensificou-se para a tempestade tropical Kevin.[97] Porém, as condições meteorológicas não estavam plenamente favoráveis, e Kevin logo atingiu seu pico de intensidade, com ventos máximos sustentados de 85 km/h.[98]
O cisalhamento do vento começou a impactar a tempestade, que começou a se enfraquecer a partir da noite (UTC) de 30 de agosto.[99] A tendência de enfraquecimento continuou, e Kevin se enfraqueceu para uma depressõa tropical durante a manhã de 31 de agosto.[100] Kevin manteve-se como depressão tropical até a tarde (UTC) de 1 de setembro, quando o sistema se degenerou para uma área de baixa pressão remanescente e o NHC emitiu seu aviso final sobre o sistema.[101]
Furacão Linda
|
Linda
| |
![]() Imagem de satélite |
![]() Trajetória |
| Duração | 7 de setembro de 2009 – 12 de setembro de 2009 |
|---|---|
| Intensidade máxima | 130 km/h (80 mph) (1-min) 985 hPa (mbar) |
A tempestade tropical Linda formou-se de uma área de perturbações a meio caminho entre a costa oeste do México e o Havaí em 7 de setembro.[102] No dia seguinte, o sistema se intensificou para uma tempestade tropical e recebeu o nome "Linda".[103] O sistema continuou a se intensificar enquanto seguia para norte-nordeste, e tornou-se um furacão em 10 de setembro. Linda atingiu seu pico de intensidade ainda naquele dia, com ventos máximos sustentados de 140 km/h.[104]
No entanto, Linda começou a se enfraquecer assim que encontrou águas mais frias, e se enfraqueceu para uma tempestade tropical no início da madrugada de 11 de setembro.[105] Na madrugada seguinte, Linda se degenerou diretamente para uma área de baixa pressão remanescente assim que já não havia mais áreas de convecção profunda associadas à circulação. Com isso, o NHC emitiu seu aviso final sobre o sistema assim que o desclassificava para uma depressão tropical.[106]
Tempestade tropical Marty
|
Marty
| |
![]() Imagem de satélite |
![]() Trajetória |
| Duração | 16 de setembro de 2009 – 19 de setembro de 2009 |
|---|---|
| Intensidade máxima | 75 km/h (45 mph) (1-min) 1002 hPa (mbar) |
No final da noite (UTC) de 15 de setembro, uma área de perturbações meteorológicas que persistia a algumas centenas de quilômetros da costa oeste do México se intensificou para uma depressão tropical, segundo o NHC.[107] Na manhã do dia seguinte, a depressão se intensificou para a tempestade tropical "Marty".[108] Com condições meteorológicas não muito favoráveis, Marty logo atingiu seu pico de intensifidade naquela tarde, com ventos máximos sustentados de 75 km/h.[109]
No entanto, as condições meteorológicas pioraram, e Marty manteve sua intensidade em 16 e 17 de setembro. Seguindo sobre águas mais frias, Marty começou a se enfraquecer durante a manhã de 18 de setembro, e se enfraqueceu para uma depressão tropical durante a manhã de 19 de setembro.[110] Marty se degenerou para uma área de baixa pressão naquela noite (UTC) e o NHC emitiu seu aviso final sobre o sistema.[111]
Tempestade tropical Nora
|
Nora
| |
![]() Imagem de satélite |
![]() Trajetória |
| Duração | 23 de setembro de 2009 – 25 de setembro de 2009 |
|---|---|
| Intensidade máxima | 95 km/h (60 mph) (1-min) 997 hPa (mbar) |
Em 22 de setembro, uma grande área de baixa pressão formou-se a cerca de 900 km a oeste-sudoeste do extremo sul da Península da Baixa Califórnia. A perturbação começou a se organizar lentamente, e se intensificou para uma depressão tropical no início da madrugada de 23 de setembro.[112] Ainda naquela manhã, a depressão se fortaleceu para uma tempestade tropical e recebeu o nome de Nora.[113] Com condilçoes meteorológicas razoavelmente favoráveis, Nora se intensificou gradualmente, e atingiu seu pico de intensidade no início da madrugada de 24 de setembro, com ventos máximos sustentados de 95 km/h.[114]
No entanto, a partir de então Nora se enfraqueceu rapidamente. No início da madrugada (UTC) seguinte, Nora se enfraqueceu para uma depressão tropical,[115] e se degenerou para uma área de perturbação remanescente mais tarde naquele dia, quando o NHC emitiu seu aviso final sobre o sistema.[116]
Tempestade tropical Olaf
|
Olaf
| |
![]() Imagem de satélite |
![]() Trajetória |
| Duração | 1 de outubro de 2009 – 3 de outubro de 2009 |
|---|---|
| Intensidade máxima | 75 km/h (45 mph) (1-min) 996 hPa (mbar) |
Na tarde (UTC) de 1 de outubro, o Centro Nacional de Furacões (NHC) classificou uma área de perturbações meteorológicas a oeste da costa pacífica do México para uma depressão tropical.[117] Mais tarde naquele dia, a depressão se intensificou para uma tempestade tropical, e o NHC atribuiu-lhe o nome "Olaf".[118] As condições meteorológicas não estavam ideais, e Olaf logo atingiu seu pico de intensidade, com ventos máximos sustentados de 75 km/h.[119]
Porém, as condições meteorológicas fivaram mais desfavoráveis, e na madrugada de 3 de outubro, Olaf foi desclassificado para uma depressão tropical,[120] e para uma área de baixa pressão remanescente no dia seguinte.[121]
Tempestade tropical Patricia
|
Patricia
| |
![]() Imagem de satélite |
![]() Trajetória |
| Duração | 11 de outubro de 2009 – 14 de outubro de 2009 |
|---|---|
| Intensidade máxima | 95 km/h (60 mph) (1-min) 996 hPa (mbar) |
Na noite (UTC) de 11 de outubro, o Centro Nacional de Furacões (NHC) classificou uma área de perturbações meteorológicas ao largo da costa oeste do México para a décima nona depressão tropical da temporada.[122] Logo em seguida, no início da madrugada (UTC) de 12 de outubro, a depressão se intensificou para uma tempestade tropical, ganhando o nome "Patricia".[123] Mais tarde naquele dia, Patricia atingiu seu pico de intensiadade, com ventos máximos sustentados de 95 km/h.[124]
Seguindo sobre águas mais frias, Patricia se enfraqueceu para uma depressão tropical na noite (UTC) de 13 de outubro,[125] e se degenerou para uma área de baixa pressão remanescente no início da madrugada de 14 de outubro, quando o NHC emitiu seu aviso final.[126]
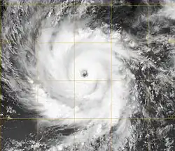
Furacão Rick
|
Rick
| |
![]() Imagem de satélite |
![]() Trajetória |
| Duração | 15 de outubro de 2009 – 21 de outubro de 2009 |
|---|---|
| Intensidade máxima | 285 km/h (180 mph) (1-min) 906 hPa (mbar) |
Na noite (UTC) de 15 de outubro, o Centro Nacional de Furacões (NHC) classificou uma área de perturbações meteorológicas a cerca de 620 km de Acapulco, México, para a depressão tropical Vinte-E.[127] Logo depois, a depressão se intensificou para uma tempestade tropical, e ganhou o nome "Rick".[128] Com boas condições meteorológicas, Rick se intensificou para um furacão ainda naquela noite (UTC).[129] Rick continuou a se intensificicar, e se tornou um furacão de categoria 2 no início da madrugada (UTC) de 17 de outubro.[130] A partir de então, Rick começou a sofrer intensificação explosiva, e se tornou o quarto grande furacão da temporada ainda naquela manhã.[131] e se intensificou para um furacão de categoria 4 ainda naquela tarde.[132] Rick continuou a se intensificar, e se tornou o primeiro furacão de categoria 5 desde o furacão Kenna em 2002.[133] Mesmo como um furacão de categoria 5, Rick continuou a se intensificar, e seus ventos máximos sustentados chegaram a 285 km/h, com rajadas de 350 km/h, e uma pressão atmosférica central mínima de 906 hPa, tornando-se o mais intenso ciclone tropical no mundo desde o furacão Dean em 2007, mas tendo os mais fortes ventos registrados por qualquer ciclone tropical no mundo desde o ciclone Monica em 2006. Além disso, Rick é o mais intenso furacão no Pacífico Nordeste desde o furacão Linda em 1997.[134]
A partir de então, Rick começou a se enfraquecer assim que seguia para oeste-noroeste, e deixou de ser um furacão de categoria 5 no início da madrugada (UTC) de 19 de outubro.[135] A partir de então, Rick começou a se enfraquecer mais rapidamente assim que começou a encontrar cisalhamento do vento e adentrar numa massa de ar mais seco. Rick deixou de ser um grande furacão mais tarde naquele dia.[136] A tendência se enfraquecimento continuou, e Rick se enfraqueceu para uma tempestade tropical na manhã (UTC) de 20 de outubro, assim que começou a seguir para nordeste.[137] Na tarde (UTC) de 21 de outubro, Rick fez landfall na costa noroeste do México, perto da cidade de Mazatlán, com ventos de até 85 km/h[138] e se enfraqueceu para uma depressão tropical sobre terra poucas horas depois.[139] Ainda naquela noite, Rick degenerou-se para uma área de baixa pressão remanescente e o NHC emitiu seu aviso final sobre o sistema.[140]
Furacão Neki
|
Neki
| |
![]() Imagem de satélite |
![]() Trajetória |
| Duração | 18 de outubro de 2009 – 27 de outubro de 2009 |
|---|---|
| Intensidade máxima | 195 km/h (120 mph) (1-min) 956 hPa (mbar) |
Na noite (UTC) de 18 de outubro, o Centro de Furacões do Pacífico Central (CPHC) classificou uma área de perturbações meteorológicas a sudeste de Honolulu, Havaí, para a depressão tropical 03C.[141] Com boas condições meteorológicas, o sistema se intensificou para uma tempestade tropical mais tarde naquele dia, ganhando o nome "Neki".[142] O sistema continuou a se intensificar enquanto seguia para noroeste, e se intensificou para um furacão no início da madrugada (UTC) de 21 de outubro.[143] Neki tornou-se o primeiro ciclone tropical a atingir a intensidade de um furacão no Pacífico Centro-Norte desde o furacão Ioke em 2006. Neki continuou a se intensificar e se tornou um furacão de categoria 2 durante a manhã de 21 de outubro.[144] A tendência de intensificação de Neki continuou, e o sistema se tornou um grande furacão assim que alcançou a categoria 3 na escala de furacões de Saffir-Simpson no início da madrugada (UTC) de 22 de outubro.[145] Neki alcançou seu pico de intensidade logo em seguida, com ventos máximos sustentados de 195 km/h.[146]
A partir de então, Neki começou a se enfraquecer assim que seguia para latitudes mais altas, onde as águas oceânicas são mais frias. Além disso, Neki começou a ser impactado por cisalhamento do vento. Com isso, Neki deixou de ser um grande furacão na noite de 22 de outubro,[141] e se enfraqueceu para um furacão de categoria 1 na manhã (UTC) de 23 de outubro.[147] Mais tarde naquele dia, Neki se enfraqueceu para uma tempestade tropical,[148] e para uma depressão tropical na noite (UTC) de 26 de outubro enquanto seguia para norte.[149] Neki degenerou-se para uma área de baixa pressão remanescente na madrugada (UTC) de 27 de outubro, e o CPHC emitiu seu aviso final sobre o sistema.[150]
Neki passou pelo Papahānaumokuākea Marine National Monument, perto de French Frigate Shoals, em 23 de outubro, assim que Neki se enfraqueceu para uma tempestade tropical. Nenhum dano foi relatado.
Nomes das tempestades
Os nomes seguintes serão usados para dar nomes aos sistemas que se formam no Oceano Pacífico nordeste no ano de 2009. Este lista é a mesma que foi usado na temporada de 2003.[151]
|
Para o Pacífico centro-norte, são usados quatro listas consecutivas. Os nomes são usados sequencialmente até a lista acabar. É usado esta forma de nomear tempestade por causa do número baixo de sistemas que se formam naquela região. Os quatro seguintes nomes a ser usados estão listados abaixo:[151]
- Lana
- Maka
- Neki
- Omeka (sem usar)
- Pewa (sem usar)
- Unala (sem usar)
Ver também
- Temporada de furacões no Atlântico de 2009
- Temporada de tufões no Pacífico de 2009
- Temporada de ciclones no Oceano Índico norte de 2009
- Temporadas de ciclones no Índico Sudoeste: 2008-2009, 2009-2010
- Temporadas de ciclones na região da Austrália: 2008-2009, 2009-2010
- Temporadas de ciclones no Pacífico Sul: 2008-2009, 2009-2010
Referências
- ↑ a b c d Climate Prediction Center, NOAA (21 de maio de 2009). «NOAA: 2008 Tropical Eastern North Pacific Hurricane Outlook» (em inglês). National Oceanic and Atmospheric Administration. Consultado em 11 de junho de 2009
- ↑ Central Pacific Hurricane Center, NOAA (20 de maio de 2009). «NOAA Predicts Near to Below Normal Central Pacific Hurricane Season» (PDF) (em inglês). National Oceanic and Atmospheric Administration. Consultado em 11 de junho de 2009
- ↑ Daniel Brown (15 de junho de 2009). «Tropical Weather Outlook» (em inglês). National Hurricane Center. Consultado em 18 de junho de 2009[ligação inativa]
- ↑ Kimberlain/Pasch (16 de junho de 2009). «Tropical Weather Outlook» (em inglês). National Hurricane Center. Consultado em 18 de junho de 2009[ligação inativa]
- ↑ Kimberlain/Pasch (17 de junho de 2009). «Tropical Weather Outlook» (em inglês). National Hurricane Center. Consultado em 18 de junho de 2009[ligação inativa]
- ↑ a b Brennan and Berg (18 de junho de 2009). «Tropical Depression One-E Discussion One» (em inglês). National Hurricane Center. Consultado em 18 de junho de 2009
- ↑ Brennan and Berg (18 de junho de 2009). «Tropical Depression One-E Public Advisory One». National Hurricane Center. Consultado em 18 de junho de 2009
- ↑ Beven (19 de junho de 2009). «Tropical Depression One-E Advisory Seven (Final)» (em inglês). National Hurricane Center. Consultado em 19 de junho de 2009
- ↑ «Weather History for Mazatlán, Mexico» (em espanhol). Weather Underground. 19 de junho de 2009. Consultado em 19 de junho de 2009
- ↑ Staff Writer (19 de junho de 2009). «Vigilan autoridades de Sinaloa comportamiento de depresión tropical» (em espanhol). SDP Noticias. Consultado em 19 de junho de 2009. Arquivado do original em 22 de junho de 2009
- ↑ Staff Writer (19 de junho de 2009). «Causa estragos la depresión tropical en Mazatlán» (em espanhol). Noroeste. Consultado em 19 de junho de 2009. Arquivado do original em 24 de junho de 2009
- ↑ Beven (19 de junho de 2009). «June 19 Tropical Weather Outlook» (em inglês). National Hurricane Center. Consultado em 22 de junho de 2009[ligação inativa]
- ↑ Beven (10 de junho de 2009). «June 20 Tropical Weather Outlook» (em inglês). National Hurricane Center. Consultado em 22 de junho de 2009
- ↑ Berg/Pasch (10 de junho de 2009). «June 22 Tropical Weather Outlook» (em inglês). National Hurricane Center. Consultado em 22 de junho de 2009
- ↑ «Tropical Depression Two-E Archive» (em inglês). United States Naval Research Laboratory. 21 de junho de 2009. Consultado em 21 de junho de 2009
- ↑ «Hurricane Andres Forecast Discussion#9» (em inglês). National Hurricane Center. 23 de junho de 2009. Consultado em 23 de junho de 2009
- ↑ Associated Press (23 de junho de 2009). «Tropical Storm Andres brushes Mexico 1 killed» (em inglês). Southern Ledger. Consultado em 23 de junho de 2009. Arquivado do original em 2 de fevereiro de 2013
- ↑ Kimberlain and Brown (6 de julho de 2009). «Tropical Storm Blanca Public Advisory One» (em inglês). National Hurricane Center. Consultado em 6 de julho de 2009
- ↑ Kimberlain and Brown (6 de julho de 2009). «Tropical Storm Blanca Discussion One» (em inglês). National Hurricane Center. Consultado em 6 de julho de 2009
- ↑ Kimberlain and Brown (6 de julho de 2009). «Tropical Storm Blanca Discussion Two» (em inglês). National Hurricane Center. Consultado em 6 de julho de 2009
- ↑ Berg (10 de julho de 2009). «Tropical Depression FOUR-E» (em inglês). Centro Nacional de Furacões (NHC). Consultado em 26 de junho de 2009
- ↑ Franklin (10 de julho de 2009). «Tropical Storm Carlos» (em inglês). Centro Nacional de Furacões (NHC). Consultado em 26 de junho de 2009
- ↑ Avila (11 de julho de 2009). «Hurricane Carlos» (em inglês). Centro Nacional de Furacões (NHC). Consultado em 26 de junho de 2009
- ↑ Landsea/Franklin (12 de julho de 2009). «Tropical Storm Carlos» (em inglês). Centro Nacional de Furacões (NHC). Consultado em 26 de junho de 2009
- ↑ Berg (13 de julho de 2009). «Tropical Storm Carlos» (em inglês). Centro Nacional de Furacões (NHC). Consultado em 26 de junho de 2009
- ↑ Kimberlain/Pasch (14 de julho de 2009). «Hurricane Carlos» (em inglês). Centro Nacional de Furacões (NHC). Consultado em 26 de junho de 2009
- ↑ Forecaster Pasch. «Tropical Depression Carlos, Public Advisory#28» (em inglês). National Hurricane Center. Consultado em 16 de julho de 2009
- ↑ Franklin (14 de julho de 2009). «Tropical Depression FIVE-E» (em inglês). Centro Nacional de Furacões. Consultado em 30 de agosto de 2009
- ↑ Roberts/Brennan (15 de julho de 2009). «Tropical Storm DOLORES» (em inglês). Centro Nacional de Furacões. Consultado em 30 de agosto de 2009
- ↑ Blake (15 de julho de 2009). «Tropical Storm DOLORES» (em inglês). Centro Nacional de Furacões. Consultado em 30 de agosto de 2009
- ↑ Avila (16 de julho de 2009). «Tropical Storm DOLORES» (em inglês). Centro Nacional de Furacões. Consultado em 30 de agosto de 2009
- ↑ Roberts/Brennan (16 de julho de 2009). «Tropical Depression DOLORES» (em inglês). Centro Nacional de Furacões. Consultado em 30 de agosto de 2009
- ↑ Blake (16 de julho de 2009). «Tropical Depression DOLORES» (em inglês). Centro Nacional de Furacões. Consultado em 30 de agosto de 2009
- ↑ Berg (30 de julho de 2009). «Tropical Depression SIX-E» (em inglês). Centro Nacional de Furacões. Consultado em 30 de agosto de 2009
- ↑ a b National Hurricane Center Hurricane Research Division (2009). «Eastern Pacific HURDAT tracks, 1949-2008» (em inglês). National Oceanic and Atmospheric Administration. Consultado em 11 de junho de 2009
- ↑ Kodama (1 de agosto de 2009). «Tropical Storm LANA» (em inglês). Centro de Furacões do Pacífico Central. Consultado em 30 de agosto de 2009
- ↑ Burke (2 de agosto de 2009). «Tropical Depression LANA» (em inglês). Centro de Furacões do Pacífico Central. Consultado em 30 de agosto de 2009
- ↑ Houston (3 de agosto de 2009). «Tropical Depression LANA» (em inglês). Centro de Furacões do Pacífico Central. Consultado em 30 de agosto de 2009
- ↑ Pasch/Roberts (3 de agosto de 2009). «Tropical Depression Seven-E» (em inglês). Centro Nacional de Furacões. Consultado em 30 de agosto de 2009
- ↑ Kimberlain/Brennan (3 de agosto de 2009). «Tropical Storm ENRIQUE» (em inglês). Centro Nacional de Furacões. Consultado em 30 de agosto de 2009
- ↑ Pasch (4 de agosto de 2009). «Tropical Storm ENRIQUE» (em inglês). Centro Nacional de Furacões. Consultado em 30 de agosto de 2009
- ↑ Schauer Clark/Kimberlain/Brennan (4 de agosto de 2009). «Tropical Storm ENRIQUE» (em inglês). Centro Nacional de Furacões. Consultado em 30 de agosto de 2009
- ↑ Brown (6 de agosto de 2009). «Tropical Depression ENRIQUE» (em inglês). Centro Nacional de Furacões. Consultado em 30 de agosto de 2009
- ↑ Brown (7 de agosto de 2009). «Tropical Depression ENRIQUE» (em inglês). Centro Nacional de Furacões. Consultado em 30 de agosto de 2009
- ↑ Brennan (3 de agosto de 2009). «Tropical Depression EIGHT-E» (em inglês). Centro Nacional de Furacões. Consultado em 30 de agosto de 2009
- ↑ Blake (4 de agosto de 2009). «Tropical Storm FELICIA» (em inglês). Centro Nacional de Furacões. Consultado em 30 de agosto de 2009
- ↑ Blake (4 de agosto de 2009). «Hurricane FELICIA» (em inglês). Centro Nacional de Furacões. Consultado em 30 de agosto de 2009
- ↑ Brennan (4 de agosto de 2009). «Hurricane FELICIA» (em inglês). Centro Nacional de Furacões. Consultado em 30 de agosto de 2009
- ↑ Pereira (5 de agosto de 2009). «Hurricane FELICIA» (em inglês). Centro Nacional de Furacões. Consultado em 30 de agosto de 2009
- ↑ Beven (5 de agosto de 2009). «Hurricane FELICIA» (em inglês). Centro Nacional de Furacões. Consultado em 30 de agosto de 2009
- ↑ Blake (8 de agosto de 2009). «Hurricane FELICIA» (em inglês). Centro Nacional de Furacões. Consultado em 30 de agosto de 2009
- ↑ Houston/Wroe (9 de agosto de 2009). «Tropical Storm FELICIA» (em inglês). Centro de Furacões do Pacífico Central. Consultado em 30 de agosto de 2009
- ↑ Craig (11 de agosto de 2009). «Tropical Depression FELICIA» (em inglês). Centro de Furacões do Pacífico Central. Consultado em 30 de agosto de 2009
- ↑ Knabb (11 de agosto de 2009). «Tropical Depression FELICIA» (em inglês). Centro de Furacões do Pacífico Central. Consultado em 30 de agosto de 2009
- ↑ Berg (9 de agosto de 2009). «Tropical Depression NINE-E» (em inglês). Centro Nacional de Furacões. Consultado em 30 de agosto de 2009
- ↑ Brennan (11 de agosto de 2009). «Tropical Depression NINE-E» (em inglês). Centro Nacional de Furacões. Consultado em 30 de agosto de 2009
- ↑ Avla (12 de agosto de 2009). «Tropical Depression NINE-E» (em inglês). Centro Nacional de Furacões. Consultado em 30 de agosto de 2009
- ↑ R. Ballard/Knabb (10 de agosto de 2009). «Tropical Depression ONE-C» (em inglês). Centro de Furacões do Pacífico Central. Consultado em 30 de agosto de 2009
- ↑ Donaldson (11 de agosto de 2009). «Tropical Storm MAKA» (em inglês). Centro de Furacões do Pacífico Central. Consultado em 30 de agosto de 2009
- ↑ Kodama (11 de agosto de 2009). «Tropical Depression MAKA» (em inglês). Centro de Furacões do Pacífico Central. Consultado em 30 de agosto de 2009
- ↑ Houston (12 de agosto de 2009). «Tropical Depression MAKA» (em inglês). Centro de Furacões do Pacífico Central. Consultado em 30 de agosto de 2009
- ↑ Franklin (12 de agosto de 2009). «Tropical Depression TEN-E» (em inglês). Centro Nacional de Furacões. Consultado em 30 de agosto de 2009
- ↑ Avila (12 de agosto de 2009). «Tropical Storm GUILLERMO» (em inglês). Centro Nacional de Furacões. Consultado em 30 de agosto de 2009
- ↑ Brennan (14 de agosto de 2009). «Hurricane GUILLERMO» (em inglês). Centro Nacional de Furacões. Consultado em 30 de agosto de 2009
- ↑ Roberts/Beven (13 de agosto de 2009). «Hurricane GUILLERMO» (em inglês). Centro Nacional de Furacões. Consultado em 30 de agosto de 2009
- ↑ Brennan (14 de agosto de 2009). «Hurricane GUILLERMO» (em inglês). Centro Nacional de Furacões. Consultado em 30 de agosto de 2009
- ↑ Craig (15 de agosto de 2009). «Hurricane GUILLERMO» (em inglês). Centro Nacional de Furacões. Consultado em 30 de agosto de 2009
- ↑ Knabb (16 de agosto de 2009). «Hurricane GUILLERMO» (em inglês). Centro de Furacões do Pacífico Central. Consultado em 30 de agosto de 2009
- ↑ Donaldson (16 de agosto de 2009). «Tropical Storm GUILLERMO» (em inglês). Centro de Furacões do Pacífico Central. Consultado em 30 de agosto de 2009
- ↑ Birchard (19 de agosto de 2009). «Tropical Depression GUILLERMO» (em inglês). Centro de Furacões do Pacífico Central. Consultado em 30 de agosto de 2009
- ↑ Birchard (19 de agosto de 2009). «Tropical Depression GUILLERMO» (em inglês). Centro de Furacões do Pacífico Central. Consultado em 30 de agosto de 2009
- ↑ Kimberlain/Avila (22 de agosto de 2009). «Tropical Depression ELEVEN-E» (em inglês). Centro Nacional de Furacões. Consultado em 30 de agosto de 2009
- ↑ Kimberlain/Brennan (22 de agosto de 2009). «Tropical Storm HILDA» (em inglês). Centro Nacional de Furacões. Consultado em 30 de agosto de 2009
- ↑ Wroe (23 de agosto de 2009). «Tropical Storm HILDA» (em inglês). Centro de Furacões do Pacífico Central. Consultado em 30 de agosto de 2009
- ↑ Tanabe (26 de agosto de 2009). «Tropical Depression HILDA» (em inglês). Centro de Furacões do Pacífico Central. Consultado em 30 de agosto de 2009
- ↑ Birchard (27 de agosto de 2009). «Tropical Depression HILDA» (em inglês). Centro de Furacões do Pacífico Central. Consultado em 30 de agosto de 2009
- ↑ Pasch (24 de agosto de 2009). «Tropical Depression TWELVE-E» (em inglês). Centro Nacional de Furacões. Consultado em 30 de agosto de 2009
- ↑ BERG (24 de agosto de 2009). «Tropical Storm IGNACIO» (em inglês). Centro Nacional de Furacões. Consultado em 30 de agosto de 2009
- ↑ Avila (27 de agosto de 2009). «Tropical Depression IGNACIO» (em inglês). Centro Nacional de Furacões. Consultado em 30 de agosto de 2009
- ↑ Brown (24 de agosto de 2009). «Tropical Depression IGNACIO» (em inglês). Centro Nacional de Furacões. Consultado em 30 de agosto de 2009
- ↑ Roberts/Beven (28 de agosto de 2009). «Tropical Depression THIRTEEN-E» (em inglês). Centro Nacional de Furacões. Consultado em 30 de agosto de 2009
- ↑ Kimberlain (29 de agosto de 2009). «Tropical Storm JIMENA» (em inglês). Centro Nacional de Furacões. Consultado em 30 de agosto de 2009
- ↑ Blake (29 de agosto de 2009). «Hurricane JIMENA» (em inglês). Centro Nacional de Furacões. Consultado em 30 de agosto de 2009
- ↑ Brown (30 de agosto de 2009). «Hurricane JIMENA» (em inglês). Centro Nacional de Furacões. Consultado em 30 de agosto de 2009
- ↑ Pasch (30 de agosto de 2009). «Hurricane JIMENA» (em inglês). Centro Nacional de Furacões. Consultado em 30 de agosto de 2009
- ↑ Berg/Pasch (2 de setembro de 2009). «Hurricane JIMENA» (em inglês). Centro Nacional de Furacões. Consultado em 11 de outubro de 2009
- ↑ Berg/Pasch (3 de setembro de 2009). «Tropical Storm JIMENA» (em inglês). Centro Nacional de Furacões. Consultado em 11 de outubro de 2009
- ↑ Brennan (4 de setembro de 2009). «Tropical Depression JIMENA» (em inglês). Centro Nacional de Furacões. Consultado em 11 de outubro de 2009
- ↑ Brennan (4 de setembro de 2009). «Tropical Depression JIMENA» (em inglês). Centro Nacional de Furacões. Consultado em 11 de outubro de 2009
- ↑ «Deadly Jimena claims first victim in Mexico» (em inglês). Yahoo! News. Consultado em 4 de setembro de 2009[ligação inativa]
- ↑ Ojeda, Yesika (5 de setembro de 2009). «'Jimena' cobra dos vidas» (em espanhol). El Imparcial. Consultado em 5 de setembro de 2009
- ↑ Pedro Juárez Mejía (4 de setembro de 2009). «Jimena causó destrozos por $500 millones en el sector agrícola de BCS; derribó 30 torres de electricidad» (em espanhol). La Crónica de Hoy. Consultado em 5 de setembro de 2009
- ↑ Gladys Rodríguez (8 de setembro de 2009). «"Jimena" deja daños al agro por 560 mdp» (em espanhol). El Universal. Consultado em 13 de setembro de 2009
- ↑ Knabb (28 de agosto de 2009). «Tropical Depression TWO-C» (em inglês). Centro de Furacões do Pacífico Central. Consultado em 30 de agosto de 2009
- ↑ Craig (29 de agosto de 2009). «Tropical Depression TWO-C» (em inglês). Centro de Furacões do Pacífico Central. Consultado em 30 de agosto de 2009
- ↑ Brennan (29 de agosto de 2009). «Tropical Depression FOURTEEN-E» (em inglês). Centro Nacional de Furacões. Consultado em 30 de agosto de 2009
- ↑ Brennan (29 de agosto de 2009). «Tropical Storm KEVIN» (em inglês). Centro Nacional de Furacões. Consultado em 30 de agosto de 2009
- ↑ Roberts/Beven (30 de agosto de 2009). «Tropical Storm KEVIN» (em inglês). Centro Nacional de Furacões. Consultado em 11 de outubro de 2009
- ↑ Roberts/Pasch (30 de agosto de 2009). «Tropical Storm KEVIN» (em inglês). Centro Nacional de Furacões. Consultado em 11 de outubro de 2009
- ↑ Franklin (31 de agosto de 2009). «Tropical Depression KEVIN» (em inglês). Centro Nacional de Furacões. Consultado em 11 de outubro de 2009
- ↑ Blake (1 de setembro de 2009). «Tropical Depression KEVIN» (em inglês). Centro Nacional de Furacões. Consultado em 11 de outubro de 2009
- ↑ Pasch (7 de setembro de 2009). «Tropical Depression FIFTEEN-E» (em inglês). Centro Nacional de Furacões. Consultado em 11 de outubro de 2009
- ↑ Kimberlain (7 de setembro de 2009). «Tropical Storm LINDA» (em inglês). Centro Nacional de Furacões. Consultado em 11 de outubro de 2009
- ↑ Beven (10 de setembro de 2009). «Hurricane LINDA» (em inglês). Centro Nacional de Furacões. Consultado em 11 de outubro de 2009
- ↑ Brennan (11 de setembro de 2009). «Tropical Storm LINDA» (em inglês). Centro Nacional de Furacões. Consultado em 11 de outubro de 2009
- ↑ Roberts/Brennan (12 de setembro de 2009). «Tropical Depression LINDA» (em inglês). Centro Nacional de Furacões. Consultado em 11 de outubro de 2009
- ↑ Avila (16 de setembro de 2009). «Tropical Depression SIXTEEN-E» (em inglês). Centro Nacional de Furacões. Consultado em 11 de outubro de 2009
- ↑ Brown (16 de setembro de 2009). «Tropical Storm MARTY» (em inglês). Centro Nacional de Furacões. Consultado em 11 de outubro de 2009
- ↑ Brown (16 de setembro de 2009). «Tropical Storm MARTY» (em inglês). Centro Nacional de Furacões. Consultado em 11 de outubro de 2009
- ↑ Avila (19 de setembro de 2009). «Tropical Depression MARTY» (em inglês). Centro Nacional de Furacões. Consultado em 11 de outubro de 2009
- ↑ Brown (19 de setembro de 2009). «Tropical Depression MARTY» (em inglês). Centro Nacional de Furacões. Consultado em 11 de outubro de 2009
- ↑ Kimberlain (22 de setembro de 2009). «Tropical Depression SEVENTEEN-E» (em inglês). Centro Nacional de Furacões. Consultado em 11 de outubro de 2009
- ↑ Blake (23 de setembro de 2009). «Tropical Storm NORA» (em inglês). Centro Nacional de Furacões. Consultado em 11 de outubro de 2009
- ↑ Berg (23 de setembro de 2009). «Tropical Storm NORA» (em inglês). Centro Nacional de Furacões. Consultado em 11 de outubro de 2009
- ↑ Berg (25 de setembro de 2009). «Tropical Depression NORA» (em inglês). Centro Nacional de Furacões. Consultado em 11 de outubro de 2009
- ↑ Brennan (25 de setembro de 2009). «Tropical Depression NORA» (em inglês). Centro Nacional de Furacões. Consultado em 11 de outubro de 2009
- ↑ Brown (1 de outubro de 2009). «Tropical Depression EIGHTEEN-E» (em inglês). Centro Nacional de Furacões. Consultado em 11 de outubro de 2009
- ↑ Brown (1 de outubro de 2009). «Tropical Storm OLAF» (em inglês). Centro Nacional de Furacões. Consultado em 11 de outubro de 2009
- ↑ Cangialosi/Beven (2 de outubro de 2009). «Tropical Storm OLAF» (em inglês). Centro Nacional de Furacões. Consultado em 11 de outubro de 2009
- ↑ Cangialosi/Beven (3 de outubro de 2009). «Tropical Depression OLAF» (em inglês). Centro Nacional de Furacões. Consultado em 11 de outubro de 2009
- ↑ Avila (4 de outubro de 2009). «Tropical Depression OLAF» (em inglês). Centro Nacional de Furacões. Consultado em 11 de outubro de 2009
- ↑ «Tropical Depression NINETEEN-E» (em inglês). Centro Nacional de Furacões. 11 de outubro de 2009. Consultado em 22 de novembro de 2009
- ↑ «Tropical Storm PATRICIA» (em inglês). Centro Nacional de Furacões. 11 de outubro de 2009. Consultado em 22 de novembro de 2009
- ↑ «Tropical Storm PATRICIA Best Track» (em inglês). Centro Nacional de Furacões. 15 de outubro de 2009. Consultado em 22 de novembro de 2009
- ↑ «Tropical Depression PATRICIA» (em inglês). Centro Nacional de Furacões. 13 de outubro de 2009. Consultado em 22 de novembro de 2009
- ↑ «Tropical Depression PATRICIA» (em inglês). Centro Nacional de Furacões. 14 de outubro de 2009. Consultado em 22 de novembro de 2009
- ↑ «Tropical Depression TWENTY-E» (em inglês). Centro Nacional de Furacões. 15 de outubro de 2009. Consultado em 22 de novembro de 2009
- ↑ «Tropical Storm RICK» (em inglês). Centro Nacional de Furacões. 15 de outubro de 2009. Consultado em 22 de novembro de 2009
- ↑ «Hurricane RICK» (em inglês). Centro Nacional de Furacões. 16 de outubro de 2009. Consultado em 22 de novembro de 2009
- ↑ «Hurricane RICK» (em inglês). Centro Nacional de Furacões. 16 de outubro de 2009. Consultado em 23 de novembro de 2009
- ↑ «Hurricane RICK» (em inglês). Centro Nacional de Furacões. 17 de outubro de 2009. Consultado em 23 de novembro de 2009
- ↑ «Hurricane RICK» (em inglês). Centro Nacional de Furacões. 17 de outubro de 2009. Consultado em 23 de novembro de 2009
- ↑ «Hurricane RICK» (em inglês). Centro Nacional de Furacões. 17 de outubro de 2009. Consultado em 23 de novembro de 2009
- ↑ «Hurricane RICK» (em inglês). Centro Nacional de Furacões. 17 de outubro de 2009. Consultado em 23 de novembro de 2009
- ↑ «Hurricane RICK» (em inglês). Centro Nacional de Furacões. 18 de outubro de 2009. Consultado em 23 de novembro de 2009
- ↑ «Hurricane RICK» (em inglês). Centro Nacional de Furacões. 19 de outubro de 2009. Consultado em 23 de novembro de 2009
- ↑ «Hurricane RICK» (em inglês). Centro Nacional de Furacões. 19 de outubro de 2009. Consultado em 23 de novembro de 2009
- ↑ «Tropical Storm RICK» (em inglês). Centro Nacional de Furacões. 21 de outubro de 2009. Consultado em 23 de novembro de 2009
- ↑ «Tropical Depression RICK» (em inglês). Centro Nacional de Furacões. 21 de outubro de 2009. Consultado em 23 de novembro de 2009
- ↑ «Tropical Depression RICK» (em inglês). Centro Nacional de Furacões. 21 de outubro de 2009. Consultado em 23 de novembro de 2009
- ↑ a b «TROPICAL DEPRESSION THREE-C» (em inglês). Centro de Furacões do Pacífico Central. 18 de outubro de 2009. Consultado em 23 de novembro de 2009
- ↑ «TROPICAL STORM NEKI» (em inglês). Centro de Furacões do Pacífico Central. 19 de outubro de 2009. Consultado em 23 de novembro de 2009
- ↑ «HURRICANE NEKI» (em inglês). Centro de Furacões do Pacífico Central. 20 de outubro de 2009. Consultado em 23 de novembro de 2009
- ↑ «HURRICANE NEKI» (em inglês). Centro de Furacões do Pacífico Central. 21 de outubro de 2009. Consultado em 23 de novembro de 2009
- ↑ «HURRICANE NEKI» (em inglês). Centro de Furacões do Pacífico Central. 21 de outubro de 2009. Consultado em 23 de novembro de 2009
- ↑ «HURRICANE NEKI» (em inglês). Centro de Furacões do Pacífico Central. 21 de outubro de 2009. Consultado em 23 de novembro de 2009
- ↑ «HURRICANE NEKI» (em inglês). Centro de Furacões do Pacífico Central. 22 de outubro de 2009. Consultado em 23 de novembro de 2009
- ↑ «TROPICAL STORM NEKI» (em inglês). Centro de Furacões do Pacífico Central. 23 de outubro de 2009. Consultado em 23 de novembro de 2009
- ↑ «TROPICAL DEPRESSION NEKI» (em inglês). Centro de Furacões do Pacífico Central. 26 de outubro de 2009. Consultado em 23 de novembro de 2009
- ↑ «TROPICAL DEPRESSION NEKI» (em inglês). Centro de Furacões do Pacífico Central. 26 de outubro de 2009. Consultado em 23 de novembro de 2009
- ↑ a b «Worldwide Tropical Cyclone Names». Centro Nacional de Furacões (em inglês). Consultado em 3 de janeiro de 2009














































