Furacão Nate (2005)
| Furacão Nate | |
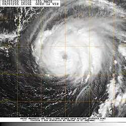
O furacão Nate em 6 de setembro de 2005. | |
| História meteorológica | |
|---|---|
| Formação | 5 de setembro de 2005 |
| Dissipação | 13 de setembro de 2005 |
| Furacão categoria 2 | |
| 1-minuto sustentado (SSHWS/NWS) | |
| Ventos mais fortes | 105 mph (165 km/h) |
| Pressão mais baixa | 979 mbar (hPa); 28,91 inHg |
| Efeitos gerais | |
| Fatalidades | 2 (diretas) (com o furacão Maria) |
| Danos | nenhum |
| Áreas afetadas | Bermudas, Costa Leste dos Estados Unidos, Noruega, Escócia |
| IBTrACS |
|
Parte da Temporada de furacões no oceano Atlântico de 2005 |
|
Furacão Nate foi um furacão que percorreu o Oceano Atlântico entre 5 e 10 de setembro pela temporada de furacões no oceano Atlântico de 2005. O fenômeno foi a décima quarta tempestade a ser nomeada naquele ano e as previsões iniciais indicavam que poderia atingir as Bermudas, trazendo grandes prejuízos ao pequeno país, o que na verdade não aconteceu. Nate passou distante, ao sul das ilhas, enquanto alcançava sua força máxima na noite de 8 de setembro. Contudo, o sistema atingiu apenas o status de furacão de categoria 1, a mais fraca dentre as 5 possíveis na escala de Saffir-Simpson.
Depois de se mover para longe das Bermudas, a tempestade entrou em uma região com temperaturas mais baixas na superfície do mar e cisalhamento do vento desfavorável, fazendo-a se enfraquecer para uma tempestade tropical antes de se tornar extratropical em 10 de setembro. O remanescente extratropical foi absorvido mais tarde por um sistema maior.
O furacão não causou danos estruturais enquanto era tropical, embora tenha gerado correntes de retorno, em combinação com outras tempestades, que provocaram a morte de uma pessoa na costa de Nova Jérsei. Nate foi responsável por chuvas leves e fortes ventos na ilha de Bermuda. Os remanescentes dos furacões Nate e Maria contribuíram para fortes chuvas em partes da Escócia e depois na Noruega Ocidental, provocando um deslizamento de terra que matou uma pessoa. Navios da Marinha do Canadá em rota para o Costa do Golfo dos Estados Unidos, carregando suprimentos para ajudar no rescaldo do furacão Katrina, se atrasaram a fim de tentar evitar o mar agitado e as rajadas de vento provocadas por Nate e pelo furacão Ophelia.
História meteorológica
Uma onda tropical surgiu na costa oeste da África em 30 de agosto de 2005 e seguiu uma rota em sentido oeste através do Oceano Atlântico, mantendo uma vigorosa área de convecção ao longo de seu eixo. Dois dias após, em 1º de setembro, a maior parte da convecção profunda havia sido "perdida" devido às forças de cisalhamento do vento que vinha do sudoeste. Apesar disso, a onda permaneceu bem definida e continuou seguindo seu caminho na direção oeste-noroeste sobre as águas do Atlântico. O sistema então se dividiu em duas partes: a porção norte passou entre as ilhas de Barlavento e o furacão Maria em 3 de setembro, enquanto que a porção sul mudou seu rumo para o interior do Mar do Caribe. No dia seguinte, a parte norte da onda começou a interagir com um sistema de baixa pressão de nível superior e um cavado alongado que estavam localizados entre as Bermudas e as ilhas de Barlavento;[1] exatamente o mesmo cavado que contribuiu para o desenvolvimento do furacão Ophelia.[2] Como resultado do pouco cisalhamento do vento, a convecção se remodelou e organizou-se ao longo do eixo da onda. Bandas convectivas se formaram em torno de uma ampla superfície de baixa pressão. Estima-se que o sistema se tornou desenvolvido o bastante para ser considerado uma depressão tropical às 18h00 UTC de 5 de setembro, no momento em que estava localizado a aproximadamente 560 quilômetros ao sul-sudoeste das Bermudas.[1]

Após ser designado depressão tropical Quinze, o sistema desenvolveu uma convecção profunda em sua parte leste, próximo do olho da formação, ao mesmo tempo em que ficava cada vez mais organizado.[3] Mais tarde, em 5 de setembro, o padrão global das nuvens melhorou, enquanto a atividade da tempestade se condensava e se aprofundava no interior da área de circulação cada vez mais bem definida.[4] Apenas seis horas depois de ser designado como depressão tropical, o ciclone intensificou-se e atingiu o status de tempestade tropical, que recebeu o nome de Nate pelo Centro Nacional de Furacões (National Hurricane Center) dos Estados Unidos. Durante os dois dias seguintes, Nate se moveu lentamente para o nordeste em direção às Bermudas.[1]
Nas primeiras horas de 6 de setembro, Nate tornou-se quase estacionário entre o furacão Maria e uma perturbação sobre as Bahamas.[5] As imagens de satélite indicaram que o padrão de nuvens continuava a se organizar, com excelente fluxo de saída em torno da tempestade.[6] Na noite daquele mesmo dia, o desenvolvimento de um olho bem delimitado tornou-se evidente.[7] A tempestade tropical Nate ganhou mais força e tornou-se um furacão às 12h00 UTC de 7 de setembro, quando começou a afastar-se das Bermudas.[1] Alguns modelos indicaram que o furacão Nate seria absorvido ou sofreria fusão com o furacão Maria, que era maior, mas a previsão do Centro Nacional de Furacões de que Nate iria "sobreviver" como um sistema separado foi a que se concretizou.[8] A grande área de baixa pressão que ia para o nordeste das Bahamas gradualmente se abriu num amplo cavado quando uma calha de ondas curtas se aproximou vinda do noroeste. O cavado maior lentamente foi ficando alongado em seu eixo nordeste-sudoeste na noite de 7 de setembro. Ao mesmo tempo, o cavado da onda moveu-se para o sul ao longo do lado oeste de outro cavado. O crescente fluxo para sudoeste ao longo do lado sudeste do cavado alongado fez com que o furacão Nate acelerasse sua movimentação em sentido nordeste. Nate atingiu o seu pico de intensidade de 145 km/h na noite de 8 de setembro quando passou a 205 km a sudeste das Bermudas, enquanto seus ventos mais fortes permaneciam bem longe de qualquer região costeira do continente.[1]
Durante o período do pico de intensidade, a tempestade manteve um padrão de convecção bem organizado e "impressionante".[9] O sistema atingiu apenas o status de furacão de categoria 1, a mais fraca dentre as 5 possíveis na escala de Saffir-Simpson. Logo após o sistema atingir seu pico em força, o ar seco e o aumento no cisalhamento enfraqueceram Nate a ponto do furacão ser reclassificado como tempestade tropical no início da noite de 9 de setembro.[1] As imagens de satélite mostraram que o padrão de nuvens começou a se deteriorar rapidamente.[10] O furacão foi rebaixado para uma tempestade tropical às 18h00 UTC de 9 de setembro e continuou a se enfraquecer com o aumento do cisalhamento do vento em associação com a aproximação de um cavado e de uma frente fria.[1] Nas últimas horas de 9 de setembro, toda a já limitada atividade convectiva ficou confinada no semicírculo leste, deixando exposta a região central do sistema de baixa pressão.[11] A tempestade foi reduzida a uma espiral de nuvens de baixo nível poucas horas mais tarde.[12] Nate tornou-se extratropical no dia seguinte, antes de ser absorvido por um sistema maior às 00h00 UTC de 13 de setembro, a norte-nordeste dos Açores.[1]
Preparativos, impacto e nomenclatura

Um alerta de tempestade tropical foi emitido para as Bermudas nas primeiras horas de 7 de setembro, e mais tarde, naquele mesmo dia, um outro alerta de tempestade e também uma notificação de furacão foram divulgados. No entanto, a tempestade não se aproximou da ilha e os avisos foram cancelados no dia seguinte.[1] Quatro navios de cruzeiro deixaram a ilha antes do horário previsto e voos foram cancelados em antecipação à passagem de Nate.[13][14] Às 04h00 UTC de 8 de setembro, o Centro Nacional de Furacões estimou em 34% a chance de Nate passar a 121 km da ilha.[15]
As faixas de nuvens mais periféricas de Nate chegaram às ilhas Bermudas com ventos constantes de 55 km/h e trazendo muitas nuvens.[1][16] As rajadas de vento mais intensas atingiram cerca de 80 km/h.[17] Menos de 25 mm de chuva foi registrado no Aeroporto Internacional de Bermudas.[1] Não houve mortes como resultado da tempestade naquelas ilhas e nenhum dano foi relatado, de modo que ao se referir à passagem do furacão pelo território, o Serviço Meteorológico das Bermudas afirmou: "nós fomos sortudos".[1][17] Dois navios registraram ventos com força de tempestade tropical em associação com o fenômeno: o Maersk New Orleans, ao norte do centro da tempestade, e um navio de registro WCZ858 a leste-sudeste.[1] Correntes de retorno provocadas por Nate e pelo furacão Maria, que estava mais distante, mataram uma pessoa e feriram outra em Nova Jérsei; vários outras pessoas foram atingidas por correntes de retorno, mas conseguiram escapar sem ferimentos.[18] Nas Carolinas, os efeitos de Nate e do furacão Ophelia provocaram agitação nas águas do mar. Uma boia na região costeira do Cabo Fear, na Carolina do Norte, registrou ondas de até 3,7 metros.[19]
A energia tropical dos remanescentes de Nate e Maria se fundiram para formar um sistema de tempestade amplo que seguiu para regiões da Europa. O ciclone de latitude média provocou um dia de fortes chuvas nas Terras Altas da Escócia, inclusive com uma precipitação total de 131 mm, em apenas 24 horas, na ilha de Skye.[20] A tempestade prosseguiu para o norte e levou chuvas torrenciais para a Noruega Ocidental. A região sofreu grandes inundações e deslizamentos de terra, incluindo um que matou uma pessoa e feriu outras nove.[20][21] Embora os remanescentes de Nate e Maria não tenham passado sobre a Inglaterra, eles quebraram uma sequência de temperaturas acima da média na região, "empurrando" para o sul uma massa de ar frio do Ártico. O que levou, em alguns lugares, à primeira geada de inverno.[22] Temperaturas abaixo de -1,7 °C foram registradas após a chegada de ar mais frio, com leituras abaixo de zero de regiões mais ao sul até Hertfordshire.[20]
Quatro navios da Marinha Canadense que se dirigiam para a Costa do Golfo dos Estados Unidos, transportando suprimentos de ajuda para auxiliar no rescaldo do furacão Katrina, tiveram que diminuir suas velocidades para evitar os furacões Nate e Ophelia.[23] O comboio, que incluía um contratorpedeiro, duas fragatas e um quebra-gelo, desenvolveu um plano para viajar entre os dois furacões a fim de minimizar os danos a sua carga. Mesmo com o curso da viagem desviado, as tripulações dos navios guardaram suprimentos, tais como geradores, motosserras, fraldas e berços, no interior das embarcações, antecipando-se ao risco de mar agitado com ondas e rajadas de vento.[24] A gênese da tempestade tropical Nate seguiu o elevado padrão de atividade tropical da temporada de furacões de 2005; quando se desenvolveu em 5 de setembro, tornou-se o mais precoce décimo quarto ciclone tropical de todos os tempos, superando o recorde anterior, que era de uma tempestade sem nome ocorrida na temporada de 1936.[25]
Ver também
- Temporada de furacões no oceano Atlântico de 2005
- Cronologia da temporada de furacões no Atlântico de 2005
- Lista de ciclones tropicais da temporada de furacões no Atlântico de 2005
Referências
- ↑ a b c d e f g h i j k l m Stacy R. Stewart (29 de novembro de 2005). «Hurricane Nate Tropical Cyclone Report» (PDF). National Hurricane Center. Consultado em 5 de janeiro de 2009
- ↑ Jack Beven and Hugh D. Cobb, III (6 de janeiro de 2006). «Hurricane Ophelia Tropical Cyclone Report» (PDF). National Hurricane Center. Consultado em 5 de janeiro de 2009
- ↑ Robert Molleda, Richard Pasch (5 de setembro de 2005). «Tropical Depression 15 Discussion Number 1». National Hurricane Center. Consultado em 5 de janeiro de 2009
- ↑ Richard Knabb (5 de setembro de 2005). «Tropical Storm Nate Discussion Number 2». National Hurricane Center. Consultado em 5 de janeiro de 2009
- ↑ Stacy Stewart (6 de setembro de 2005). «Tropical Storm Nate Discussion Number 3». National Hurricane Center. Consultado em 5 de janeiro de 2009
- ↑ Lixion Avila (6 de setembro de 2005). «Tropical Storm Nate Discussion Number 4». National Hurricane Center. Consultado em 5 de janeiro de 2009
- ↑ David Roberts and Jack Beven (6 de setembro de 2005). «Tropical Storm Nate Discussion Number 6». National Hurricane Center. Consultado em 5 de janeiro de 2009
- ↑ David Roberts and Jack Beven (7 de setembro de 2005). «Hurricane Nate Discussion Number 10». National Hurricane Center. Consultado em 5 de janeiro de 2009
- ↑ Jamie Rhome and Jack Beven (8 de setembro de 2005). «Hurricane Kate Discussion Number 14». National Hurricane Center. Consultado em 5 de janeiro de 2009
- ↑ Jamie Rhome and James Franklin (9 de setembro de 2005). «Hurricane Nate Discussion Number 15». National Hurricane Center. Consultado em 5 de janeiro de 2009
- ↑ Eric Blake and Lixion Avila (9 de setembro de 2005). «Hurricane Kate Discussion Number 17». National Hurricane Center. Consultado em 5 de janeiro de 2009
- ↑ Jamie Rhome and Jack Beven (9 de setembro de 2005). «Hurricane Kate Discussion Number 18». National Hurricane Center. Consultado em 5 de janeiro de 2009
- ↑ Stuart Roberts (8 de setembro de 2005). «Bermuda braces itself as Hurricane Nate moves closer». Associated Press. Consultado em 5 de janeiro de 2009. Arquivado do original em 22 de outubro de 2012
- ↑ «Flights canceled in Bermuda due to Hurricane Nate». Airline Industry Information. 8 de setembro de 2005. Consultado em 5 de janeiro de 2009
- ↑ David Roberts and Jack Beven (7 de setembro de 2005). «Hurricane Nate Probabilities Number 10». National Hurricane Center. Consultado em 5 de janeiro de 2009
- ↑ Mark Guishard & Roger Williams. «The 2005 Hurricane Season in Bermuda». Bermuda Weather Service. Consultado em 5 de janeiro de 2009
- ↑ a b Staff Writer (8 de setembro de 2005). «Hurricane Nate spares Bermuda, passes well south of island». Associated Press. Consultado em 5 de janeiro de 2009. Arquivado do original em 22 de outubro de 2012
- ↑ «Rip Current Event Report for New Jersey». National Climatic Data Center. Consultado em 5 de janeiro de 2009[ligação inativa]
- ↑ Bruce Smith (11 de setembro de 2005). «Tropical Weather». The Inland Valley Daily Bulletin
- ↑ a b c Philip Edgen (18 de setembro de 2005). «Bad weather caused by two more hurricanes Maria and Nate leave their mark in dropping temperatures». The Sunday Telegraph
- ↑ Jonathan Tisdall (8 de setembro de 2005). «Mudslides hit Vestlandet». Aftenposten. Consultado em 5 de janeiro de 2009. Arquivado do original em 29 de junho de 2011
- ↑ Paul Simmons (20 de setembro de 2005). «Hurricanes make us shiver when they die». The Times (Londres)
- ↑ Jim Fox (11 de setembro de 2005). «Storms slow Canada aid». St. Petersburg Times. Consultado em 5 de janeiro de 2009
- ↑ Canadian Press (9 de setembro de 2005). «Canadian vessels must avoid storm». The Vancouver Province
- ↑ Atlantic hurricane research division (2008). «Atlantic hurricane database (HURDAT) "best track" (1851–2007)». National Oceanic and Atmospheric Administration. Consultado em 25 de dezembro de 2008. Cópia arquivada em 5 de junho de 2008
Bibliografia
- Este artigo foi inicialmente traduzido, total ou parcialmente, do artigo da Wikipédia em inglês cujo título é «Hurricane Nate (2005)», especificamente desta versão.
Ligações externas
- «Arquivo de avisos sobre o furacão Nate do Centro Nacional de Furacões» (em inglês)
- «Relatório final sobre o furacão Nate do Centro Nacional de Furacões» (PDF) (em inglês)
