Furacão John (1994)
| Furacão John | |
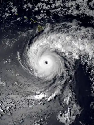
O furacão John perto de seu pico de intensidade ao sul do Havai em 23 de agosto | |
| História meteorológica | |
|---|---|
| Duração | quatro semanas e dois dias |
| Formação | 11 de agosto de 1994 |
| Extratropical | 10 de setembro de 1994 |
| Dissipação | 13 de setembro de 1994 |
| Furacão categoria 5 | |
| 1-minuto sustentado (SSHWS/NWS) | |
| Ventos mais fortes | 175 mph (280 km/h) |
| Pressão mais baixa | 929 mbar (hPa); 27,43 inHg |
| Tufão muito forte | |
| 10-minutos sustentados (JMA) | |
| Ventos mais fortes | 155 km/h (100 mph) |
| Pressão mais baixa | 945 hPa (mbar); 27,91 inHg |
| Efeitos gerais | |
| Fatalidades | nenhum |
| Danos | $15 milhão (1994 USD) |
| Áreas afetadas | Ilhas do Havai, Atol Johnston, Ilhas Aleutas, Alasca |
| IBTrACS |
|
Parte da temporada de furacões no Pacífico e tufões de 1994 |
|
O furacão John (também tufão John) é o ciclone tropical com a maior distância percorrida[1]. John já deteve o recorde de ciclone tropical com a maior duração já observada, até ser superado pelo ciclone Freddy, em 2023. O furacão fez parte das temporadas de furacões e de tufões no Pacífico de 1994. John formou-se durante o forte El Niño entre 1991 a 1994 a atingiu o pico de intensidade com intensidade equivalente a categoria 5 na escala de furacões de Saffir-Simpson, a mais alta categorização para um furacão.
Em todo o seu período de existência, John percorreu mais de 13.000 km, praticamente cruzando todo o Oceano Pacífico norte, durando 31 dias no total. Por estar ativo nas bacias do Pacífico nordeste e central, e também no Pacífico noroeste, John tornou-se um dentre poucos ciclones tropicais que foram chamados de furacão e também de tufão. Apesar de permanecer ativo durante um mês, John afetou terras emersas apenas de forma leve, trazendo somente efeitos mínimos para o arquipélago havaiano e para uma base militar estado-unidense no Atol de Johnston.
Ver também
Referências
- ↑ «Hurricane FAQ». NOAA's Atlantic Oceanographic and Meteorological Laboratory (em inglês). Consultado em 18 de janeiro de 2025
