Furacão Delta
| Furacão Delta | |
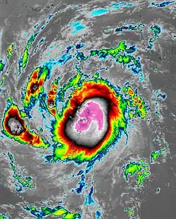
Furacão Delta intensificando-se a leste do Texas em 8 de outubro | |
| História meteorológica | |
|---|---|
| Formação | 5 de outubro de 2020 |
| Pós-tropical | 10 de outubro de 2020 |
| Dissipação | 12 de outubro de 2020 |
| Ciclone tropical equivalente categoria 4 | |
| 1-minuto sustentado (SSHWS) | |
| Ventos mais fortes | 230 km/h (145 mph) |
| Pressão mais baixa | 953 hPa (mbar); 28,14 inHg |
| Efeitos gerais | |
| Fatalidades | 2 diretos, 4 indiretos |
| Áreas afetadas | Lista
|
| IBTrACS |
|
Parte da Temporada de furacões no oceano Atlântico de 2020 |
|
O furacão Delta foi a quarta tempestade nomeada recordista de 2020 a atingir a Luisiana, bem como a décima tempestade nomeada para atingir os Estados Unidos. O vigésimo sexto ciclone tropical, a vigésima quinta tempestade nomeada, o nono furacão e o terceiro grande furacão da muito ativa temporada de furacões no Atlântico de 2020, Delta formou-se a partir de uma onda tropical que foi monitorada pela primeira vez pelo National Hurricane Center (NHC) em 1 de outubro. Movendo-se para o oeste, a onda começou a se organizar rapidamente e devido à sua ameaça iminente à terra, foi designada Ciclone Tropical Potencial Vinte e Seis no final de 4 de outubro. No dia seguinte, o sistema se organizou suficientemente e foi designado como Depressão Tropical Vinte e Seis e, logo em seguida, Tempestade Tropical Delta. A intensificação extremamente rápida ocorreu ao longo de 5 de outubro e 6 de outubro, com Delta se tornando um furacão de categoria 4 em 28 horas após a obtenção do status de tempestade tropical; a sua pressão atingiu o mínimo em 954 mb antes dos seus ventos atingirem o pico de 233 km/h (145 mph). A taxa de intensificação foi a mais rápida na bacia do Atlântico desde o furacão Wilma em 2005. Depois de atingir o pico de intensidade, no entanto, um ligeiro aumento inesperado no cisalhamento do vento interrompeu enormemente o pequeno núcleo do Delta e a tempestade rapidamente enfraqueceu antes de atingir Puerto Morelos, no México, como um furacão de categoria 2 alto. Enfraqueceu um pouco mais por terra antes de emergir no Golfo do México, onde foi rebaixado para um furacão de categoria 1. Depois disso, começou a se fortalecer, recuperando o status de categoria 3 no final de 8 de outubro. Em seguida, no início de 9 de outubro, virou para o norte e atingiu uma intensidade de pico secundária de 190 km/h (120 mph) e a sua pressão mais baixa de 953 mb. Delta então começou a virar mais para o norte-nordeste em uma área de águas mais frias, maior cisalhamento do vento e ar seco, fazendo com que enfraquecesse de volta ao status de categoria 2. Delta então atingiu a terra às 23:00 UTC perto de Creole, Luisiana com ventos de 160 km/h (100 mph) e uma pressão de 970 mb (29 inHg).[1] Depois de chegar a terra Delta começou a enfraquecer mais rapidamente, tornando-se pós-tropical apenas 22 horas mais tarde.
Foram emitidos Avisos e alertas de ciclones tropicais generalizados em todo o Caribe Ocidental e nos estados mexicanos de Iucatã e Quintana Roo em preparação para a tempestade. À medida que a Delta saiu do Golfo do México, mais alertas foram emitidos para a Costa do Golfo dos Estados Unidos, uma área que já tinha visto vários furacões fortes, como o furacão Laura e o furacão Sally, no início da temporada. Estados de emergência também foram declarados nos estados americanos de Luisiana, Mississippi e Alabama e várias áreas costeiras e baixas foram obrigadas a evacuar. No México, árvores e linhas de energia foram derrubadas e telhados foram arrancados de casas e outros edifícios. A Luisiana e o sudeste do Texas foram novamente bombardeados por fortes chuvas, ventos fortes e tempestades. Duas pessoas foram mortas indiretamente pela tempestade.
História Meterológica

Tempestade tropical (63–118 km/h, 39–73 mph)
Categoria 1 (119–153 km/h, 74–95 mph)
Categoria 2 (154–177 km/h, 96–110 mph)
Categoria 3 (178–208 km/h, 111–129 mph)
Categoria 4 (209–251 km/h, 130–156 mph)
Categoria 5 (≥252 km/h, ≥157 mph)
Desconhecido
Às 00:00 UTC em 1 de outubro, o National Hurricane Center (NHC) começou a monitorar uma onda tropical que se movia para o Caribe Oriental para um potencial desenvolvimento.[2] Ele se moveu continuamente para o oeste a 24–32 km/h (15–20 mph) e começou a organizar no final de 3 de outubro.[3] Embora não tivesse organização suficiente para ser considerado um ciclone tropical, sua ameaça iminente à terra e a provável ciclogênese levaram o NHC a iniciar alertas sobre o distúrbio, classificando-o como Ciclone Tropical Potencial Vinte e Seis às 21:00 UTC em 4 de outubro.[4] Às 03:00 UTC em 5 de outubro, o sistema organizado em Depressão Tropical Vinte e Seis.[5]
Nove horas depois, a depressão intensificou-se numa tempestade tropical, à qual recebeu o nome de Delta.[6] Continuando para o oeste, desafiando as previsões que previam repetidamente que a Delta iria virar para o noroeste, a Delta iniciou um período de rápida intensificação, tornando-se um furacão de categoria 1, 12 horas depois de ser nomeado.[7] Delta finalmente começou a virar para noroeste no início de 6 de outubro.[8] A tempestade continuou a intensificar-se rapidamente, alcançando o status de categoria 2 apenas 9 horas depois às 09:00 UTC;[9] A intensificação de Delta foi descrita como a mais rápida em um período de 24 horas desde o furacão Wilma de 2005.[10] Às 12:30 UTC, a Delta começou a desenvolver um pequeno olho de alfinete apenas 6 milhas náuticas de diâmetro.[11] A intensificação rápida continuou e às 15:00 UTC, Delta foi atualizado para furacão de categoria 3 principal, antes de atingir o status de categoria 4 apenas vinte minutos depois, depois que uma aeronave caçadora do furacão NOAA indicou que a velocidade do vento sustentado de 1 minuto da tempestade era de 130 mph (210 km/h).[12][13]

A pressão central da Delta atingiu o mínimo em 954 mb (28,2 inHg) após a atualização da tempestade para o status de categoria 4.[13] A pressão central aumentou ligeiramente depois disso, mas os ventos da Delta continuaram a aumentar e às 21:00 UTC, atingiu o pico em 233 km/h (145 mph). Na época, a pressão da Delta era 956 mb (28,2 inHg), uma pressão excepcionalmente alta para uma tempestade tão forte. Além disso, a tempestade não teve nenhum olho em imagens de satélite visíveis, embora tenha sido vista em imagens de microondas.[14] Após manter a sua intensidade por cerca de seis horas, um aumento no cisalhamento do vento de nível médio interrompeu significativamente o pequeno núcleo da Delta, e a tempestade enfraqueceu abruptamente, à medida que as suas feições de faixas tornaram-se menos definidas e seu olho desapareceu completamente. Isso indicou que a circulação de Delta não se estendeu tão longe na alta troposfera como seria de esperar para uma tempestade da sua intensidade.[15][16] Ele acelerou para noroeste e por volta das 05:45 UTC em 7 de outubro, a tempestade atingiu Puerto Morelos, Quintana Roo, no México, como uma tempestade de categoria 2 de alto nível com ventos de 180 km/h (110 mph).[17] Posteriormente, ele enfraqueceu um pouco mais à medida que se movia sobre a Península de Iucatã e para o Golfo do México antes de chegar ao mínimo de furacão de categoria 1 com ventos de 137 km/h (85 mph) às 21:00 UTC em 7 de outubro.[18][19] Posteriormente, Delta finalmente começou a se reorganizar e recuperou a intensidade de categoria 2 às 06:00 UTC em 8 de outubro.[20] Delta tornou-se cada vez mais organizado na manhã de 8 de outubro, com um olho ocasionalmente se tornando evidente em imagens de satélite e uma pressão central mínima diminuindo conforme ele virava para o norte à frente de uma depressão que se aproximava a noroeste.[21] Delta recuperou a intensidade de categoria 3 às 21:00 UTC, antes de atingir a sua intensidade de pico secundário às 06:00 UTC em 9 de outubro, com pressão mínima de 953 mb (28,1 inHg) e ventos sustentados de 190 km/h (120 mph).[22][23] Ao virar para o norte, a Delta mudou-se para uma área de águas mais frias, ar mais seco e crescente cisalhamento do vento, e começou a enfraquecer e a Delta enfraqueceu para um furacão de categoria 2 às 18:00 UTC. Delta então atingiu a costa perto de Creole, Luisiana, com ventos de 160 km/h (100 mph) e uma pressão de 970 mb (29 inHg) às 23:00 UTC.[1][24] Depois disso, a Delta começou a enfraquecer mais rapidamente, caindo para o status de categoria 1 uma hora após o desembarque às 00:00 UTC em 10 de outubro e uma tempestade tropical seis horas depois.[25][26] Ele acelerou para o nordeste e enfraqueceu para uma depressão tropical sobre o oeste do Mississippi às 15:00 UTC.[27]
Preparações
Ilhas Cayman

Foram emitidos avisos de tempestade tropical para as ilhas de Grand Cayman e Cayman Brac quando os alertas iniciais foram dados pela primeira vez sobre o Ciclone Tropical Potencial Vinte e Seis.[28] Nas Ilhas Cayman, todas as escolas públicas foram fechadas de 5 a 6 de outubro, pois a previsão era que as bandas de chuva trouxessem ventos fortes e enchentes para as ilhas. Todos os escritórios do governo foram encerrados na tarde do dia 5 de outubro e permaneceram fechados durante todo o dia 6 de outubro. A Cayman Airways informou o cancelamento de seus voos. O abrigo da Cruz Vermelha na Avenida Huldah ficou de prontidão em caso de inundação. O governo montou instalações para abrigo com protocolo adequado para COVID-19, para pessoas com o vírus isoladas em casa. Todos os eventos do governo de 5 a 6 de outubro foram cancelados, incluindo as atividades do mês do idoso.[29]
Cuba
Quando o alerta inicial foi emitido para o Ciclone Tropical Potencial Vinte e Seis, foi emitido um alerta de furacão para as províncias de Pinar del Río, Artemisa e a Ilha da Juventude enquanto um alerta de tempestade tropical foi emitido para La Habana.[28] Três horas depois que a tempestade foi atualizada para a Tempestade Tropical Delta, o alerta de Pinar del Río foi atualizado para um Aviso de furacão enquanto um Aviso de Tempestade Tropical era emitido para a Ilha da Juventude.[30] Isso, no entanto, foi rebaixado para um aviso de tempestade tropical quando o furacão Delta correu para o sul e colocou menos áreas em perigo.[7]
México

Enquanto Delta estava se aproximando da terra firme em Quintana Roo, muitas comunidades ainda estavam sendo impactadas pelos remanescentes da Tempestade tropical Gamma, que causou seis mortes e deixou milhares de pessoas desalojadas.[31][32]
Poucos minutos depois dos alertas de avisos de tempestade tropical para a tempestade tropical Gamma serem cancelados na Península de Iucatã, um alerta de furacão foi emitido para a parte nordeste da península depois que Delta moveu-se para o sul, colocando mais da região na linha de impacto potencial.[33][34] Mais avisos de tempestade tropical foram colocados logo em seguida.[7] O presidente Andrés Manuel López Obrador informou em 6 de outubro que o almirante José Rafael Ojeda Durán, secretário da Marinha, e Laura Velázquez, coordenadora nacional de Proteção Civil, estavam viajando para Quintana Roo para ajudar nos preparativos para o furacão Delta. O governo federal também vinha se comunicando com o governador de Quintana Roo Carlos Joaquín González desde 5 de outubro.[35] Além disso, o presidente anunciou no dia 6 de outubro a ativação do plano de emergência DN-III-E e a mobilização de 5 000 militares das Forças Armadas para o sudeste do país, para ajudar na evacuação de abrigos de pessoas que ainda se recuperam da tempestade tropical Gamma.[32] Mais de 4 000 pessoas, incluindo turistas e residentes, foram evacuadas de Holbox devido à ameaça de impactos fatais do furacão Delta. Foram habilitados sete dos 59 abrigos existentes no município de Lázaro Cárdenas com capacidade para 1 800 pessoas.[36] Um total de 41 000 turistas foram evacuados do estado de Quintana Roo, e um alerta vermelho foi declarado para o estado. Muitos hotéis e sítios arqueológicos na Península de Iucatã foram fechados, incluindo os movimentados locais históricos de Chichen Itzá e Tulum .[32] Em Cancún, 160 abrigos foram abertos para turistas e residentes. Além disso, cerca de 400 turistas se abrigaram no Centro de Convenções de Cancún e cerca de 300 hóspedes e 200 funcionários do hotel Fiesta Americana Condesa se abrigaram, no campus do Instituto Tecnológico de Cancún.[37] Uma partida de futebol da divisão inferior foi adiada em 8 de outubro.[38]
Estados Unidos
Alabama
Turistas e visitantes foram obrigados a deixar as Ilhas Barreiras do Alabama a partir de 6 de outubro enquanto um estado de emergência também foi declarado para o estado.[39] Em 8 de outubro, a SEC anunciou que o pontapé inicial para o próximo jogo de futebol americano do Alabama contra Ole Miss será adiado para as 18h30.[40]
Mississippi
O governador do Mississippi, Tate Reeves, declarou estado de emergência em 7 de outubro antes da tempestade. A Agência de Gerenciamento de Emergências do Mississippi distribuiu 160.000 sacos de areia para os condados de Hancock, Harrison e Jackson.[41] Em 8 de outubro, o presidente Donald Trump aprovou o pedido do governador Reeves de uma declaração federal de emergência em antecipação ao furacão Delta.[42] Em 8 de outubro, a Gulfport Municipal Marina aconselhou os navios a evacuarem até às 1:00 PM CDT (18:00 UTC).[43]
Luisiana

A área que a Delta ameaçou foi a mesma área afetada pelo furacão Laura de categoria 4 mais forte, pouco mais de um mês antes. Muitos residentes ainda estavam "traumatizados" devido aos danos significativos do furacão Laura, ainda evidentes nas áreas costeiras. Cerca de 5 600 moradores ainda estavam localizados em hotéis seis semanas depois do impacto de Laura, porque as suas casas foram destruídas pelo furacão.[44] Além disso, 6 000 casas ainda tinham lonas nos telhados.[45]
Em 6 de outubro, o governador da Luisiana, John Bel Edwards, declarou o estado de emergência antes do furacão Delta.[46] O Houston SPCA evacuou 15 gatos de um abrigo na Luisiana para o seu abrigo em Houston.[47] Um grupo de bombeiros de Tulsa, Oklahoma, viajou para Monroe para montar um abrigo para desalojados e ajudar com resgates rápidos ao longo da costa.[48] A Waitr ofereceu entrega gratuita de mantimentos em Lafayette para aqueles que não pudessem ou optassem por não sair em público para se preparar para a tempestade.[49] Em 7 de outubro, o governador da Luisiana, John Bel Edwards, conversou com o presidente dos Estados Unidos, Donald Trump, que concordou em assinar uma declaração de desastre para todo o estado antes da tempestade.[50]
No futebol universitário, uma partida entre Louisiana-Lafayette e Coastal Carolina foi adiada para 14 de outubro.[51] O confronto entre LSU e Missouri também foi transferido para o Faurot Field em Columbia, Missouri.[52] Mais de 1.000 guardas nacionais da Luisiana, 7.500 funcionários de serviços públicos e dezenas de veículos de resgate em águas altas, barcos e aeronaves foram colocados em espera. Outros 8.000 trabalhadores de serviços públicos estavam esperando fora do estado.[45]
Em outros lugares
As empresas de perfuração de petróleo BP e BHP começaram a evacuar pessoal não essencial das suas plataformas offshore no Golfo do México. A BHP também planeja encerrar a produção em suas instalações até 7 de outubro.[53]
Impacto
México
A tempestade trouxe cortes de energia e árvores derrubadas em Cancún e Cozumel.[54] Uma rajada de vento de pico de 175 km/h (110 mph) foi relatado em Puerto Morelos, Quintana Roo, onde o furacão atingiu o continente. Outra rajada de vento de 171 km/h (106 mph) foi relatado nas proximidades de Cancún.[55] O oficial da defesa civil Luís Alberto Vázquez disse não haver relatos imediatos de mortes ou feridos, mas informou que a Delta derrubou cerca de 95 árvores e causou quedas de energia em partes da Península de Iucatã. Muitos hotéis e resorts perderam eletricidade e ar condicionado.[56] Inundações nas ruas foram relatadas em Cozumel.[57] Muitos cais foram destruídos devido à tempestade, e vários edifícios perto da costa também foram destruídos.[55] Antes da chegada do furacão, um homem de 65 anos em Tizimin, Yucatán, perdeu a vida ao cair do segundo andar de sua casa enquanto se preparava para a tempestade.[58] Após a tempestade, uma mulher perdeu a vida em Mérida após tocar em um poste caído e ser eletrocutada.[59]
Estados Unidos
25.000 clientes no Texas e na Luisiana perderam a energia antes que a Delta chegasse ao continente.[45] Esse número logo subiu para 740.000 quando a Delta moveu-se para o interior.[60]
Texas
Os ventos com força de tempestade tropical vindos do Delta foram relatados pela primeira vez no Texas, onde uma estação da Texas Coastal Ocean Observation Network no cais norte da Baía de Galveston relatou ventos sustentados de 68 km/h (42 mph) e uma rajada de vento de 79 km/h (49 mph) por volta das 16:00 UTC em 9 de outubro.[61] Nas horas seguintes, uma rajada de vento de 89 km/h (55 mph) foi relatado no Aeroporto Regional Jack Brooks perto de Port Arthur, uma rajada de vento de 97 km/h (60 mph) foi observada em Nederland, e uma estação da Texas Coastal Ocean Observation Network em Texas Point relatou ventos sustentados de 100 km/h (62 mph) com uma rajada de 126 km/h (78 mph).[62][63][64] Em Galveston, cerca de 160 km (100 mi) de onde o centro fez landfall, os ventos derrubaram árvores, placas de rua e duas casas em construção. Devido às dunas de areia achatadas por tempestades anteriores, a onda de tempestade atingiu abaixo das casas elevadas. Grandes ondas e contra-correntes provocaram o fechamento de praias tão a oeste quanto a foz do Rio Grande.[65]
Luisiana

Inundação de ruas foi relatada em Baton Rouge em 8 de outubro.[66] O Aeroporto Metropolitano de Baton Rouge relatou 200 mm (8 in) de chuva, o que gerou um alerta de enchente emitido pelo Serviço Nacional de Meteorologia. Pelo menos 25 os motoristas ficaram presos na água alta em Baton Rouge.[45] No dia seguinte, o Aeroporto Regional de Lake Charles relatou uma rajada de vento de 60 mph (96 km/h) conforme a tempestade se aproximava por volta das 18:00 UTC, enquanto outra estação em Lake Charles registou uma rajada de pico de 142 km/h (88 mph).[24][67] Nas horas seguintes, um local de observação do WeatherFlow perto de Cameron relatou uma rajada de vento de 82 km/h (51 mph) e uma estação do National Ocean Service em Calcasieu Pass relataram ventos sustentados de 85 km/h (53 mph), uma rajada de vento de 103 km/h (64 mph) e uma pressão de 983,8 mb (29,05 inHg).[62][63][64] Na altura da chegada a terra, uma torre de monitoramento costeiro da Flórida perto do Lago Arthur relatou um vento constante de 124 km/h (77 mph) e uma rajada de 154 km/h (96 mph) enquanto um medidor de nível de água do NOAA National Weather Service em Freshwater Canal Locks relatou 2,4 m (8 ft) da maré de tempestade.[1] Pouco depois disso, o Aeroporto Regional de Lake Charles relatou ventos sustentados de 103 km/h (64 mph) com rajadas de 153 km/h (95 mph).[25]
A Delta atingiu a terra firme a apenas 21 km (13 mi) a leste de onde o furacão Laura o fez seis semanas antes. Muitas áreas do Lago Charles duramente atingido foram danificadas novamente e algumas casas foram inundadas em Moss Bluff.[68] Danos adicionais ocorreram em Jennings e faltas de energia generalizadas foram relatadas.[45] Na paróquia de Calcasieu, vários veículos foram capotados na I-10.[65] Devido a vários acidentes de carro na ponte do rio Calcasieu, ambas as direções da ponte, transportando a I-10 e US 90, foram fechadas ao trânsito.[69] O Hotel Bank em Lake Arthur teve o seu telhado danificado quando muitas das telhas do topo foram arrancadas.[70] Em St. Martinville, um incêndio relacionado ao gerador causou a morte de um homem de 86 anos.[71] Além disso, uma mulher de 70 anos na freguesia de Iberia morreu em um incêndio provavelmente causado por um vazamento de gás natural após os danos do Furacão Delta.[72]
Mississippi
Delta derrubou muitas árvores em todo o Mississippi. Uma árvore pousou em um veículo de notícias enquanto sua equipe estava dentro de Jackson . Ninguem ficou gravemente ferido.[65] Uma rajada de 87 km/h (54 mph) foi relatado em Jackson. Na área metropolitana de Jackson, os danos foram mínimos, com quedas de energia, algumas árvores caídas e um sinal de trânsito danificado. No condado de Warren, a gestão de emergência relatou 36 árvores derrubadas, incluindo uma que caiu em uma casa em Vicksburg. No estado, um total de 95.700 os clientes perderam energia. As principais rodovias, como US 61, US 84 e US 51, foram fechadas devido à queda de árvores e detritos.[73] Em Natchez, uma casa foi destruída por uma grande árvore caída e várias casas, apartamentos e empresas foram danificados.[74]
Alabama, Georgia, e as Carolinas
Avisos generalizados de tornados foram emitidos em todo o resto do Sudeste.[75][76][77][78] Um tornado EF0 foi confirmado no Alabama, enquanto dois tornados foram confirmados na Geórgia.[79][80][81] Um tornado EF1 danificou um abrigo para sem-teto em Covington, ferindo duas pessoas e deslocando 30 outras. O outro era um tornado EF0 que quebrou e arrancou principalmente pinheiros em Concord.[79][80][81] Um tornado EF1 também ocorreu em Oak Grove, Carolina do Sul, danificando e/ou quebrando árvores enquanto causava danos ao telhado enquanto outro tornado EF1 feriu um e causou danos significativos a uma casa enquanto danificava outras estruturas em Conway, Carolina do Sul. Um EF0 tornado derrubou cercas e árvores em Red Hill, Carolina do Sul, enquanto um EF1 O tornado danificou um prédio e destruiu um pequeno prédio de armazenamento.[82]
Em outros lugares
O precursor do Delta trouxe um tempo húmido e ventoso nas Pequenas Antilhas, Ilhas ABC, Ilhas Virgens, Porto Rico e Hispaniola.[83][84] Os preços do petróleo deviam subir depois que a indústria da energia no Golfo do México fechou em 8 de outubro.[85] Em Destin, Flórida, um turista de 19 anos se afogou, enquanto outro foi resgatado após ter sido levado numa contra-corrente produzida pelo furacão Delta.[86]
Recordes e estatísticas
Tem havido uma tendência ascendente nos eventos de rápida intensificação na bacia do Atlântico, consistente com as expectativas das alterações climáticas.[87][88] Delta intensificou-se rapidamente a partir de uma depressão tropical de 56 km/h (35 mph) para um furacão de categoria 4 com vento de 210 km/h (130 mph) em vinte e quatro horas, a ocorrência mais rápida já registada e a intensificação mais rápida observada na bacia do Atlântico desde o furacão Wilma em 2005.[89] Além disso, Delta foi o furacão mais forte do Atlântico a se formar no oeste do Caribe entre a Jamaica e a Península de Iucatã desde o furacão Paloma em 2008.[90] Delta foi a 25ª tempestade tropical ou subtropical mais antiga registada em uma temporada de furacões no Atlântico, ultrapassando a velha marca de 15 de novembro, estabelecida pela Tempestade Tropical Gamma em 2005 .[91][92] Depois de fazer landfall nos Estados Unidos, Delta se tornou a décima tempestade nomeada a fazer landfall nos Estados Unidos continental este ano, o que é o máximo em uma única temporada de furacões no Atlântico já registada, superando o recorde anterior de nove estabelecido em 1916 . Além disso, a Delta também foi a quarta tempestade nomeada batendo o recorde a atingir a Louisiana em 2020,[93][45] batendo o recorde estabelecido em 2002 .[94]
Referências
- ↑ a b c «Hurricane DELTA». www.nhc.noaa.gov. Consultado em 9 de outubro de 2020
- ↑ Stacy R. Stewart (1 de outubro de 2020). «Two-Day Graphical Tropical Weather Outlook». www.nhc.noaa.gov. Miami, Florida: National Hurricane Center. Consultado em 5 de outubro de 2020
- ↑ Robbie Berg (3 de outubro de 2020). «Two-Day Tropical Weather Outlook». www.nhc.noaa.gov. Miami, Florida: National Hurricane Center. Consultado em 5 de outubro de 2020
- ↑ Daniel Brown (4 de outubro de 2020). «Potential Tropical Cyclone Twenty-Six Discussion Number 1». www.nhc.noaa.gov. Miami, Florida: National Hurricane Center. Consultado em 5 de outubro de 2020
- ↑ John Cangialosi (5 de outubro de 2020). «Tropical Depression Twenty-Six Discussion Number 2». www.nhc.noaa.gov. Miami, Florida: National Hurricane Center. Consultado em 5 de outubro de 2020
- ↑ Daniel Brown (5 de outubro de 2020). «Tropical Storm Delta Intermediate Advisory Number 3A». www.nhc.noaa.gov. National Hurricane Center. Consultado em 5 de outubro de 2020
- ↑ a b c John Cangialosi (6 de outubro de 2020). «Hurricane Delta Intermediate Advisory Number 5A». www.nhc.noaa.gov. Miami, Florida: National Hurricane Center. Consultado em 6 de outubro de 2020
- ↑ John Cangialosi (6 de outubro de 2020). «Hurricane Delta Advisory Number 6». www.nhc.noaa.gov. Miami, Florida: National Hurricane Center. Consultado em 6 de outubro de 2020
- ↑ Eric S. Blake (6 de outubro de 2020). «Hurricane Delta Discussion Number 7». www.nhc.noaa.gov. Miami, Florida: National Hurricane Center. Consultado em 6 de outubro de 2020
- ↑ Klotzbach, Philip. «#Delta has intensified by 70 mph (from 40 mph to 110 mph) in its first 24 hours since becoming a named storm. This is the most intensification in a 24 hour period for an October Atlantic named storm since Wilma in 2005. #hurricane». Twitter. Consultado em 6 de outubro de 2020
- ↑ Papin, Philippe. «Unfortunately #Hurricane #Delta continues to rapidly intensify. As the TC nears major hurricane status, its eye has contracted & qualifies as a "pinhole eye" w/ the diameter down to 6 nm!». Twitter. Consultado em 6 de outubro de 2020
- ↑ Daniel Brown (6 de outubro de 2020). «Hurricane Delta Advisory Number 8». www.nhc.noaa.gov. Miami, Florida: National Hurricane Center. Consultado em 6 de outubro de 2020
- ↑ a b Daniel Brown (6 de outubro de 2020). «Hurricane Delta Tropical Cyclone Update». www.nhc.noaa.gov. Miami, Florida: National Hurricane Center. Consultado em 6 de outubro de 2020
- ↑ «Hurricane Delta Advisory Number 9». www.nhc.noaa.gov. Consultado em 7 de outubro de 2020
- ↑ Cowan, Levi (7 de outubro de 2020). «Twitter - "Hurricane Delta impacted by mid-level shear"». Twitter. Consultado em 8 de outubro de 2020
- ↑ «Hurricane Delta Discussion Number 10». www.nhc.noaa.gov. Consultado em 7 de outubro de 2020
- ↑ «Hurricane Delta Tropical Cyclone Update...Corrected». www.nhc.noaa.gov. Consultado em 7 de outubro de 2020
- ↑ «Hurricane DELTA». www.nhc.noaa.gov. Consultado em 7 de outubro de 2020
- ↑ «Hurricane DELTA». www.nhc.noaa.gov. Consultado em 7 de outubro de 2020
- ↑ «Hurricane DELTA». www.nhc.noaa.gov. Consultado em 8 de outubro de 2020
- ↑ Jack Beven (8 de outubro de 2020). «Hurricane Delta Discussion Number 16». www.nhc.noaa.gov. Miami, Florida: National Hurricane Center. Consultado em 8 de outubro de 2020
- ↑ Beven, Jack (8 de outubro de 2020). «Hurricane Delta Advisory Number 17». www.nhc.noaa.gov. Miami, Florida: National Hurricane Center. Consultado em 8 de outubro de 2020
- ↑ John Cangialosi (9 de outubro de 2020). «Hurricane Delta Intermediate Advisory Number 18A». www.nhc.noaa.gov. National Hurricane Center. Consultado em 9 de outubro de 2020
- ↑ a b Jack Beven (9 de outubro de 2020). «Hurricane Delta Intermediate Advisory Number 20A». www.nhc.noaa.gov. Miami, Florida: National Hurricane Center. Consultado em 9 de outubro de 2020
- ↑ a b «Hurricane DELTA». www.nhc.noaa.gov. Consultado em 10 de outubro de 2020
- ↑ «Hurricane DELTA». www.nhc.noaa.gov. Consultado em 10 de outubro de 2020
- ↑ «Tropical Depression DELTA». www.nhc.noaa.gov. Consultado em 10 de outubro de 2020
- ↑ a b «Potential Tropical Cyclone TWENTY-SIX». www.nhc.noaa.gov. Consultado em 5 de outubro de 2020
- ↑ «Cayman: Tropical Storm Delta could become a hurricane tonight». www.loopcayman.com. 5 de outubro de 2020. Consultado em 6 de outubro de 2020
- ↑ «Tropical Storm DELTA». www.nhc.noaa.gov. Consultado em 5 de outubro de 2020
- ↑ «'Very impressive rapid intensification': Delta now a Category 4 'major' hurricane, heads for Mexico then US». USA Today. 6 de outubro de 2020. Consultado em 6 de outubro de 2020
- ↑ a b c «Desalojos masivos de hoteles y alerta roja en México ante la proximidad del huracán Delta, ahora de categoría 3» (em espanhol). Univision. 6 de outubro de 2020. Consultado em 7 de outubro de 2020
- ↑ «Tropical Depression GAMMA». www.nhc.noaa.gov. Consultado em 5 de outubro de 2020
- ↑ «Tropical Storm DELTA». www.nhc.noaa.gov. Consultado em 5 de outubro de 2020
- ↑ Pedro Villa; Caña, Perla Miranda; Alberto Morales (6 de outubro de 2020). «Titulares de Marina y Protección Civil viajan a Quintana Roo por huracán "Delta"». eluniversal.com (em espanhol). El Universal. Consultado em 6 de outubro de 2020
- ↑ «4 MIL PERSONAS EVACUADAS DE HOLBOX ANTE LLEGADA DEL HURACÁN DELTA». 6 de outubro de 2020
- ↑ Janice Dean; Travis Fedschun (7 de outubro de 2020). «Hurricane Delta makes landfall near Cancun as Mexico faces 'powerful' storm, tourists hunker down» (em inglês). Fox News. Consultado em 7 de outubro de 2020
- ↑ «Se pospone el Pumas Tabasco vs. Cancún FC». Consultado em 8 de outubro de 2020
- ↑ Brackett, Ron; Wesner Childs, Jan (6 de outubro de 2020). «Hurricane Delta: Visitors Ordered to Leave Alabama Barrier Islands; Storm-Weary Louisiana Braces for Hit». The Weather Channel. Consultado em 6 de outubro de 2020. Cópia arquivada em 7 de outubro de 2020
- ↑ https://www.si.com/college/olemiss/football/kickoff-time-postponed-in-ole-miss-vs-alabama-due-to-hurricane-delta
- ↑ «Governor Reeves Issues State of Emergency for Hurricane Delta». www.msema.org. Mississippi Emergency Management Agency. 7 de outubro de 2020. Consultado em 9 de outubro de 2020
- ↑ «President Trump Approves Pre-landfall Disaster Declaration for Hurricane Delta». www.msema.org. Mississippi Emergency Management Agency. 7 de outubro de 2020. Consultado em 9 de outubro de 2020
- ↑ «Shelter Information/ Evacuation Orders». www.msema.org. Mississippi Emergency Management Agency. Consultado em 9 de outubro de 2020
- ↑ https://www.cnbc.com/2020/10/08/hurricane-delta-steams-across-the-gulf-of-mexico-halting-80percent-of-oil-output.html
- ↑ a b c d e f https://weather.com/storms/hurricane/news/2020-10-09-hurricane-delta-louisiana-flooding-storm-surge-damage-landfall
- ↑ «Proclamation Number 133 JBE 2020» (PDF). Consultado em 7 de outubro de 2020
- ↑ Charly Edsitty (7 de outubro de 2020). «Houston SPCA heads to Louisiana to evacuate animals before Delta's landfall». abc13.com. ABC 13 Houston. Consultado em 7 de outubro de 2020
- ↑ Ashley Ellis (7 de outubro de 2020). «OK Task Force 1 heading back to Louisiana for Hurricane Delta». ktul.com. 8 ABC Tulsa. Consultado em 7 de outubro de 2020
- ↑ Akemi Briggs (7 de outubro de 2020). «Waitr Offering Free Grocery Delivery in Lafayette in Preparation for Hurricane Delta». kadn.com. FOX 15 KADN/KLAF. Consultado em 7 de outubro de 2020
- ↑ «The Latest: Mississippi governor declares state of emergency». Yahoo Sports. The Associated Press. 7 de outubro de 2020. Consultado em 7 de outubro de 2020
- ↑ https://www.usatoday.com/story/sports/ncaaf/sunbelt/2020/10/07/louisiana-lafayette-coastal-carolina-hurricane-delta/5917562002/
- ↑ https://www.vicksburgpost.com/2020/10/07/lsu-missouri-game-switches-venue-time-because-of-hurricane-threat/
- ↑ Erwin Seba (5 de outubro de 2020). «Oil firms begin offshore U.S. evacuations as record-breaking storm threatens». reuters.com. Reuters. Consultado em 6 de outubro de 2020
- ↑ «Huracán Delta en vivo: Últimas noticias y trayectoria hacia Quintana Roo en directo». MARCA Claro México. 6 de outubro de 2020
- ↑ a b «LIVE: Mexico battered by Delta as storm now eyes US». accuweather.com. Accuweather. 6 de outubro de 2020. Consultado em 7 de outubro de 2020
- ↑ «Delta toca tierra en México como huracán de categoría 2». Washington Hispanic (em espanhol). 7 de outubro de 2020
- ↑ Pedersen, Joe Mario. «Hurricane Delta loses strength, but forecast to reintensify into a Category 4 storm». orlandosentinel.com
- ↑ «Yucatán: Abuelito muere al asegurar su casa por paso de huracán Delta en Tizimín». Novedades Yucatan. 7 de outubro de 2020. Consultado em 7 de outubro de 2020
- ↑ «Mérida: Inundaciones en Fracc Las Américas provocan que mujer muera electrocutada». Novedades Yucatan. 8 de outubro de 2020. Consultado em 8 de outubro de 2020
- ↑ Associated Press (10 de outubro de 2020). «Hurricane Delta inflicts new round of destruction in Louisiana». theguardian.com. The Guardian. Consultado em 10 de outubro de 2020
- ↑ «Hurricane DELTA». www.nhc.noaa.gov. Consultado em 9 de outubro de 2020
- ↑ a b «Hurricane DELTA». www.nhc.noaa.gov. Consultado em 9 de outubro de 2020
- ↑ a b «Hurricane DELTA». www.nhc.noaa.gov. Consultado em 9 de outubro de 2020
- ↑ a b «Hurricane DELTA». www.nhc.noaa.gov. Consultado em 9 de outubro de 2020
- ↑ a b c SANTANA, REBECCA. «Delta Adds Insult to Injury in Hurricane-Ravaged Louisiana». U.S. News. Consultado em 12 de outubro de 2020
- ↑ https://www.wbrz.com/news/images-of-hurricane-delta-s-impact-in-baton-rouge-surrounding-areas/
- ↑ «More than 300,000 without power in Texas, Louisiana». The Washington Post. 10 de outubro de 2020. Consultado em 9 de outubro de 2020
- ↑ SCHLEIFSTEIN, MARK. «Hurricane Delta makes a soggy, windy landfall in southwest Louisiana Friday evening». NOLA.com (em inglês). Consultado em 10 de outubro de 2020
- ↑ https://www.cnn.com/2020/10/10/weather/hurricane-delta-saturday/index.html
- ↑ Santana(1),Plaisance(2), Rebecca(1),Stacey(2) (9 de outubro de 2020). «Hurricane Delta inflicts new damage on storm-weary Louisiana». AP NEWS. Consultado em 12 de outubro de 2020. Cópia arquivada em 12 de outubro de 2020
- ↑ Advocate Staff (11 de outubro de 2020). «First storm-related death in St. Martin: Fatal fire likely caused by hot generator». The Advocate. Consultado em 11 de outubro de 2020
- ↑ «Louisiana Department of Health verifies two Hurricane Delta-related deaths». kalb.com. 11 de outubro de 2020. Consultado em 11 de outubro de 2020
- ↑ Lici Beveridge; Giacomo Bologna; Justin Vicory (10 de outubro de 2020). «Delta live MS updates: Hundreds of trees down, thousands without power as storm weakens». Clarion Ledger. Consultado em 10 de outubro de 2020
- ↑ Digital, WLBT. «Strong winds from Delta cause damage across Miss.». https://www.wlbt.com. Consultado em 12 de outubro de 2020
- ↑ akrherz@iastate.edu, daryl herzmann. «IEM :: Storm Based Warning Polygon Visual Summary». mesonet.agron.iastate.edu (em inglês). Consultado em 11 de outubro de 2020
- ↑ akrherz@iastate.edu, daryl herzmann. «IEM :: Storm Based Warning Polygon Visual Summary». mesonet.agron.iastate.edu (em inglês). Consultado em 11 de outubro de 2020
- ↑ akrherz@iastate.edu, daryl herzmann. «IEM :: Storm Based Warning Polygon Visual Summary». mesonet.agron.iastate.edu (em inglês). Consultado em 11 de outubro de 2020
- ↑ akrherz@iastate.edu, daryl herzmann. «IEM :: Storm Based Warning Polygon Visual Summary». mesonet.agron.iastate.edu (em inglês). Consultado em 12 de outubro de 2020
- ↑ a b «Storm Prediction Center 201009's Storm Reports». www.spc.noaa.gov. Consultado em 11 de outubro de 2020
- ↑ a b «Storm Prediction Center Today's Storm Reports». www.spc.noaa.gov. Consultado em 11 de outubro de 2020
- ↑ a b https://www.cnn.com/2020/10/11/weather/hurricane-delta-sunday/index.html
- ↑ «Storm Prediction Center 201011's Storm Reports». www.spc.noaa.gov. Consultado em 12 de outubro de 2020
- ↑ Robbie Berg (2 de outubro de 2020). «Two-Day Graphical Tropical Weather Outlook». www.nhc.noaa.gov. Consultado em 5 de outubro de 2020
- ↑ John Cangialosi (3 de outubro de 2020). «Two-Day Graphical Tropical Weather Outlook». www.nhc.noaa.gov. National Hurricane Center. Consultado em 5 de outubro de 2020
- ↑ Phil Flynn (9 de outubro de 2020). «Hurricane Delta roils oil rigs, squeezes gasoline prices». foxbusiness.com. Fox Business. Consultado em 10 de outubro de 2020
- ↑ «2 drown in rip currents in Northwest Florida over weekend». WXXV. 12 de outubro de 2020. Consultado em 12 de outubro de 2020
- ↑ Bhatia, Kieran T.; Vecchi, Gabriel A.; Knutson, Thomas R.; Murakami, Hiroyuki; Kossin, James; Dixon, Keith W.; Whitlock, Carolyn E. (2019). «Recent increases in tropical cyclone intensification rates». Nature Communications. 10 (1): 635. Bibcode:2019NatCo..10..635B. ISSN 2041-1723. PMC 6367364
. PMID 30733439. doi:10.1038/s41467-019-08471-z
- ↑ Berardelli, Jeff (6 de outubro de 2020). «Hurricane Delta rapidly intensifies, likely to hit U.S. Gulf Coast late this week». CBS News. Consultado em 6 de outubro de 2020
- ↑ @SteveBowenWx (6 de outubro de 2020). «The sun rises on Delta and reveals a storm with ample opportunity to keep growing. If an eye appears, the explosive rapid intensification (RI) trend will persist as it nears the Yucatan Peninsula. Already the strongest 24-hour RI for an October Atlantic storm since Wilma (2005).» (Tweet). Consultado em 6 de outubro de 2020 – via Twitter
- ↑ @burgwx (6 de outubro de 2020). «This part of the western Caribbean is climatologically prone to rapid/explosive intensification, but has seen a lack of storms in recent years. The last category 4+ hurricane between Jamaica & Yucatan Peninsula was Paloma in 2008. Before that, Dean 2007.» (Tweet). Consultado em 6 de outubro de 2020 – via Twitter
- ↑ Philip Klotzbach [@philklotzbach] (5 de outubro de 2020). «#Delta has formed in the central Caribbean - the 25th Atlantic named storm of the 2020 Atlantic #hurricane season to date and earliest 25th Atlantic named storm on record. Old record was November 15, 2005.» (Tweet). Consultado em 6 de outubro de 2020 – via Twitter
- ↑ Morgan, Leigh (5 de outubro de 2020). «Tropical Storm Delta forms and is headed for the Gulf Coast later this week - as a hurricane». al.com. The Birmingham News. Consultado em 9 de outubro de 2020
- ↑ https://www.usatoday.com/story/news/nation/2020/10/09/hurricane-delta-track-live-weather-updates-storm-louisiana/5925437002/
- ↑ «Delta make landfall»
Ligações externas
- The National Hurricane Center's Arquivo de Avisos do Furacão Delta
- National Hurricane Center (NHC)
