Curiínos
Curiínos
| |||||||||||||||||||||
|---|---|---|---|---|---|---|---|---|---|---|---|---|---|---|---|---|---|---|---|---|---|
![]() | |||||||||||||||||||||
| Classificação científica | |||||||||||||||||||||
| |||||||||||||||||||||
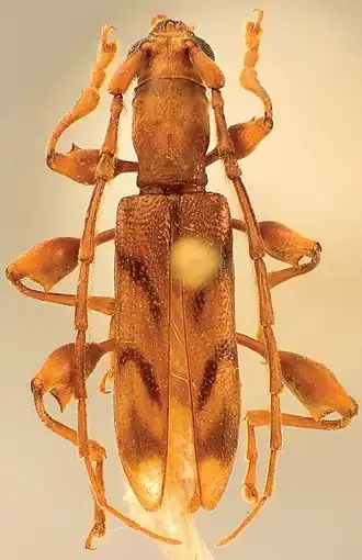
Curiínos (Curiini) é uma tribo de coleópteros da subfamília Cerambycinae. Que compreende quatro espécies, distribuídas em um único gênero.[1]
Taxonomia
- Ordem Coleoptera
- Subordem Polyphaga
- Infraordem Cucujiformia
- Superfamília Chrysomeloidea
- Família Cerambycidae
- Subfamília Cerambycinae
- Tribo Curiini
- Gênero Curius
- Tribo Curiini
- Subfamília Cerambycinae
- Família Cerambycidae
- Superfamília Chrysomeloidea
- Infraordem Cucujiformia
- Subordem Polyphaga
Referências
- ↑ «Cerambycidae of the World». Consultado em 3 de abril de 2015
