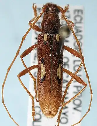
Beraba iuba
Beraba iuba
| |
|---|---|
![]() | |
| Classificação científica | |
| Nome binomial | |
| Beraba iuba Martins, 1997 |
Beraba iuba é uma espécie de cerambicídeo, com ocorrência no Equador e Colômbia.[1]
Taxonomia
Em 1997, a espécie foi descrita por Martins, com base num holótipo fêmea encontrado em Santo Domingo, na pronvíncia equatoriana de Pichincha.[2][3]
Biologia
Apresentam um tamanho de 10,6 mm de comprimento, com atividade durante o período de fevereiro a abril.[1]
Distribuição
Com ocorrência no Equador (Pichincha) e Colômbia (Bolívar).[1][4]
Referências
- ↑ a b c Tavakilian, Gérard; Chevillotte, Hervé (abr. 2015). «Beraba iuba.» TITAN: Cerambycidae database. Consultado em 26 de outubro de 2019. Cópia arquivada no Wayback Machine
- ↑ Monné, Miguel Angel (25 jul. 2019). Catalogue of the Cerambycidae (Coleoptera) of the Neotropical Region. Rio de Janeiro: Museu Nacional/UFRJ. v. 1. p. 219. Consultado em 26 de outubro de 2019.
- ↑ Martins 1997, p. 69.
- ↑ García, Kimberly et al. (5 mar. 2019). Two new species of Beraba Martins, 1997 and new geographical records of Eburiini (Coleoptera, Cerambycidae). ZooKeys. Sófia: Pensoft Publishers. 827: 125–138. Consultado em 26 de outubro de 2019.
Bibliografia
- Martins, Ubirajara Ribeiro (31 mar. 1997). Contribuições para uma revisão das espécies sul-americanas da Tribo Eburiini (Coleoptera, Cerambycidae). Revista Brasileira de Entomologia. 41 (1): 57–83, 11 figs.
Ligações externas
- Beraba iuba. Biological Library.
- Beraba iuba. Catalogue of Live.
- Beraba iuba. Global Biodiversity Information Facility.
- Beraba iuba. New World Cerambycidae Catalog.
_Figures_1%E2%80%937_(cropped).jpg)